HOME
> Every Day Life > Diary > 2019.4.

日記
(2019年4月)
2019/4/29 (Mon.)

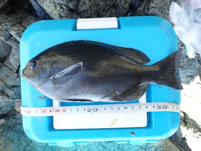
サンノジ37cm

黄金のウミタナゴ。つやつやで美しい

本当の平成最後の釣り 白浜ドンドン岩  曇り@南房総市  

約3週間に渡る南紀、伊豆遠征釣行では思うような釣果を得られず、さすがにこれで平成を締めくくるわけにはいかないと思い、朝早起きして南房の白浜ドンドン岩へ。ゴールデンウィークだけに人は多いと見込んで一番乗りを目指す。

6時前に着き、目論み通りの一番乗り。
朝6時過ぎから実釣開始。
時々荒れてるときはフグ祭りになり手に負えないこともあるが、やはりこの釣り場は裏切らない。

この日は午後4時半くらいまで釣って、メジナ3、サンノジ3、フグ3、ウミタナゴ1、ベラ1。
メジナは33cm、29.5cm、サンノジは37cmを筆頭に、3枚すべてすべて30オーバー(34cm、33cm)。
3月末に続いて、メジナとサンノジの、竿を引き絞るような強烈な引きを堪能。
ここの大物ポテンシャルは計り知れない。

伊豆や南紀の磯のような磯際からドン深のところだと、ポイントがどこになるのか、またどの深さのタナなのか、見極めが難しいんだけど、房総の磯はたいてい浅いから沈み根が見えるのでポイントが絞りやすい、という違いがある。
しかし好事魔多し。
磯にあった小さな丸いタイドプールに滑って落ち、下半身パンツまでずぶ濡れ。
山で転落、磯で転倒、もう完全に老化現象が始まっている。
長靴が滑るというのもあるのだけど、注意力が散漫になっている気がする。
これは危ない。
死なないように気をつけないと。
2019/4/7 (Sun.)〜4/26 (Fri.)

小学校の桜にも葉が混じってきた

木更津アウトレット付近の観覧車(千葉県木更津市)

潮岬は本州最南端

クレ崎遠景

起伏の激しい磯。移動もままならない

釣り座まで急斜面を降りなければならない

クレ崎1日目、グレは釣れたが24cmが最大(和歌山県串本町)

2日目の磯。全く釣れない

この岩場を向こう側から降りられず

昨日の釣り場で釣るがこの日はコッパグレばかり

「サンゴの湯」の休憩スペース

エルトゥールル号が座礁した場所。
写真中心から少し左一番奥の岩礁に激突した

道路に打ち捨てられた絨毯

樫野埼灯台

海金剛

日米修好記念館。独特の外観は、帆船をイメージしているのだろうか

古座川河口の昭和的な街並み

古座川河口と古座大橋

河口部のポイント

フグ祭り

河口に立つ赤灯

グレは4匹のみ。これが最大の23cm(古座川河口)

大島の一級磯と言われる須江崎の遠景。クレ崎よりは起伏が少ない

須江崎の釣り場

須江崎ではグレ3枚のみ。28cmが最大

潮岬キャンプ場。6泊した

潮岬観光タワー

潮岬観光タワーからの展望

潮岬灯台

橋杭岩

重畳山の石仏

小船梅林無料キャンプ場(三重県熊野市)

鬼ヶ城の奇岩風景(三重県熊野市)

鬼ヶ城下の磯。見た目はなかなか良さげなのだが・・・。

大雨のなか苦痛に満ちた車中泊。日付が変わった頃にようやく雨が止む
(三重県熊野市)

熊野市役所に公園でのキャンプの許可をもらいに行く(三重県熊野市)

磯崎港は背後の山とカラフルな家々がとても絵になる(三重県熊野市)

新鹿港。海は青く透き通っている(三重県熊野市)

緑色のヘチ際、無数の小魚がコマセに集まる

ネンブツダイはサビキにも食いつく

シマアジか

最後にメジナ23cmがかかった。サプライズ!

井内浦農村公園で自炊。釣ったベラと小サバを焼く

井内浦農村公園で野営。後ろは山、前は海の絶好のロケーション

30分以上山道を歩いてたどり着いた、楯ヶ崎の磯、千畳敷

見た目は釣れそうだが・・・

まさかのキタマクラと小サバのみ

昔ながらの銭湯、みはま湯

熊野の磯は柱状節理の岩でできている

ハコフグ

荒れ海でコッパメジナが連発の中、久々のイスズミ、23cm

本格的な雨が降り始め、海はさらに荒れてくる

熊野古道、松本峠の石段(三重県熊野市)

七里御浜の美しい海岸線

夢のような入江の風景

熊野名物、さんま寿司にめはり寿司

志摩市に移動し、再び公園で野営

志摩では波切漁港の堤防でゆるりと釣る。カサゴとベラのみ

横山展望台から見下ろす英虞湾(三重県志摩市)

2016年のG7伊勢志摩サミットを記念した各国首脳の似顔絵が
描かれた顔入れ看板(横山ビジターセンター)

大王埼灯台から見下ろす太平洋(三重県志摩市)

波切神社では、人は貝殻に願い事を書き込む

志摩には銭湯がないので、鳥羽まで移動し、かんぽの宿鳥羽で
風呂に入る。最高

2年前と同じ公園で再び野営。とがめられないのが良い

空に浮かぶ富士山

伊豆の富戸公園で野営

富戸の磯、ツバ根。ここの柱状節理の岩

エサ取り地獄の中、30cmのメジナが釣れる(伊豆・富戸の磯)

キタマクラ天国

エサ取りの猛威の中、カワハギがラッキーヒット

終日ここに停めていたら痛恨の駐車違反を取られた

富戸の公園の片隅で野営

城ケ崎の磯、「陸の平根」の先端ポイント

全く釣れない中、何とかサンノジ27cmがヒット

夕方、私の釣る目の前を漁船が来て網かなんかの仕掛けを沈めていった

富戸の公園で野営してたら貼り紙が(前日)。
「ここはキャンプ禁止なので移動してください」

広いサイトの片隅にテントを張る(伊東市青少年キャンプ場)

伊東の商店街。賑わってはいない

ホテルサンハトヤ。営業してるのか?手前の低い建物にはは「温泉マリン
プール」とか「日帰り海底温泉」とか書いてあるが、営業しているのだろうか?

昔ながらの銭湯が伊東にはたくさんある

大雨のキャンプ場

再び城ケ崎「陸の平根」

やっとメジナ28cm。しかし伊豆ではこれが最大

沖縄産唐辛子アカハチを使った激辛柿の種

一人だけのキャンプ場は寂しい

雨の中テントを畳む羽目になる

道の駅マリンタウン(静岡県伊東市)

新元号まであと4日

伊東の街は南国ムード

平成最後の魚釣り野宿旅行     

4月7日日曜日。
今日は統一地方選挙前半日。朝から近くの小学校に行って投票する。どの候補者も知らないが、所属と勘で選択して投票する。

今日はこれから、魚釣りと観光を兼ねた旅行に出かける。宿泊はテントの予定。できるだけ無料キャンプ場を使いたい。
今回は魚釣りが主体であり、四国辺りまで行きたいのだが、ゴールデンウィーク前までに帰還予定なので、南紀と伊豆を中心に釣りたい。
平成最後の旅行となる。
天気はいい。

10時頃友人の石坂宅に行き、長年私の車のトランクに積まれていた彼の釣り道具を引き取らせる。もうすぐこのインテグラも私の手を離れるのだ。その意味では、このインテグラで行く最後の旅行ということにもなる。

石坂から餞別の缶ビール2本をもらい、千葉を出発、アクアラインに乗るために下道で木更津へ。アクアラインの千葉側の起点である木更津金田IC近くには、アウトレットや遊園地があり、田んぼだった場所に忽然と観光地が築かれている。吉野家やマクドナルドといった外食チェーンも軒を連ねている。
吉野家で昼食。
アクアラインに乗ったのは結局午後1時になってしまった。
今日はこれから、紀伊半島最南端の和歌山県串本町までひとっ走りする予定である。木更津からは600kmくらいだろうか。基本高速で行くので、8時間くらいで行けるか。
アクアライン〜東名〜新東名〜伊勢湾岸道〜伊勢道〜紀勢道〜熊野尾鷲道路と走り、一般道の国道42号に降りる。紀伊半島東側、太平洋の海沿いの道を南下する。左は闇に沈んだ黒い海。

もう夜8時。途中休憩を2度したものの、走り始めて7時間。腹減った。しかし開いている食堂はなさそう。やっと明かりがついている店を見つける。お好み焼き屋兼喫茶店で、お好み焼きは食べたくなかったが、「軽食」と書いてあったので何か食べられると思って入る。
店内は喫茶店風。定食もあったが高く、丼ものがまずまず払える価格だったので、親子丼を頼む。
店には地元のおじさんが入って来て、店のおじさん、おばさんと世間話をしている。
親子丼を食べ終え、串本へさらに南下。串本の潮岬にある潮岬無料キャンプ場に着いたのはもう午後9時半。
テントサイトには3つ以上のテントが建っている。日曜の夜、結構キャンパーがいる。
テントを建てて眠る。

4月8日〜4月13日 串本町

4月8日月曜日。串本。
朝7時半ごろから近くで芝刈り機の轟音が始まる。大勢の人が出て、キャンプ場の芝を刈り始めたらしい。その後もテントの中で何とか寝ようとしたが無駄な抵抗だった。
8時半頃に起き出す。大勢のおじさんたちが一斉に芝生を刈っている。
朝からスカッと天気がいい。キャンプ場に隣接して広大な芝生広場(望楼の芝)があり、その先に青い海が水平線まで続いている。ここは本州最南端の地。もう南には海しかない。
芝生広場の北側には潮岬観光タワーが建っている。灯台のような白いタワーが青空に映える。
今日はとりあえず、このキャンプ場から下に降りたところにある磯場、「クレ崎」で釣ることにする。がまずはエサを買う必要がある。
観光タワーの脇にあるお土産屋の女性たちに釣具屋を聞く。スーパーの近くにあるらしい。

一本道の県道を行くと、街が広がっていた。ここはもう串本の中心部にもほど近いらしい。
スーパーAコープで昼飯を買い、釣具屋三平でコマセ用のアミエビと配合エサ(グレベスト)を購入。釣具屋のおじさんに最近の釣果を聞いてみたが、どうもあまり知らないようで、いい情報は得られなかった。

キャンプ場に戻り、釣り支度をして芝生広場を横切って磯に降りる。
クレ崎はとんでもなく凹凸のある磯だった。岩登りと岩降りをしながら磯の先端に近づく。とりあえず先端まで行くのは大変だと悟り、磯の右側で釣ることにする。
しかし足場が悪い。平坦な岩がないのだ、海に向かって落ち込んでいる急斜面を下り、斜めの岩のうえに何とか足場を見つけ釣り始める。

午前11時実釣開始。釣り場は磯先端ではなく、左手前に小島があり、その水道の奥なので潮通しは良くはないが、早い潮がない分釣りやすい。水深は10m近くありそうだ。干潮に近くなって分かったが、底には割と沈み根が点在しており、悪いポイントではない。
ウキはB、ウキ下3m前後で固定。
コマセを撒き始めるとすぐにウキが沈む。グレ。関東ではメジナと呼ぶが、関西ではグレと呼ぶ。ちなみに九州ではクロというらしい。関西にいる間は、グレと呼ばねば釣具屋のおじさんと話ができない。
手のひらサイズ。この後もコマセに付け餌が合えば、かなりの確率でウキが消し込む。グレの活性が高い。合わせてもハリ掛かりしないことも多い。
結局この日は8枚のグレが釣れたが、最大は24cm。型は出ない。

15時半ごろ、他のポイントを探索しに手ぶらで磯先端方面に行ってみるが、とにかく岩の凸凹がひどく、ミゾを越えなくてはならないところもあり、荷物を持ってはとても行けないような磯。先端は磯際から深そうで、確かに潮通しは良さそう。しかしここに来るのだけで一苦労だ。
先端左側はミゾを超える必要はない。ワンド状で穏やか。海が白く見えるので砂地か。こちらはちょっとポイントとしてはイマイチ。
釣り場に戻る。16時過ぎ。

ここで大事件発生。磯に置いていた玉網を蹴とばしてしまい、斜めの岩を滑落して海中に沈んでしまったのだ。とにかく平らな足場がほとんどないので、少し気を許すと物が滑り落ちてしまう。だが何という不注意か!
玉網は瞬く間に磯際に沈み、見えなくなってしまった。呆然。玉網がなくてどうやって大物を取り込めと言うのだ。釣り初日から痛すぎる。
頭がスーパーコンピューターのように周り始める。
釣具屋で玉網売ってるだろうか?いくらくらいするかな?5000円くらいか。痛い出費だ。売ってなかったら売ってる釣具屋はあるか・・・
呆然としながら、もう玉網は諦めて、釣りを再開しようとした。もし大物が釣れたらその時だ。
いや、待てよ。
そう言えば昔、内房の磯で、友人の玉網が波に流されて海に沈んだのを、別の友人がブラクリで釣り上げたことがあったじゃないか。これだ!
私はバスロッドにいつものミャク釣り仕掛けをセットして、玉網を”釣り上げる”ことを試みることにする。
磯際、玉網が沈んでいると思われる地点にハリとオモリのついた仕掛けを底まで沈める。そして引き上げる。それを繰り返す。
さすがに無理か。場所をちょっとずつ変えて、投入と引き上げを繰り返しながら、諦めモードに入る。まぁ始めからダメもとでやっているのだが。
と。
サルベージ作業を始めてからものの10分くらいだったと思う。
竿の先に重みがある。がリールを巻けるので根掛かりではない。もちろんエサはついていないから魚ではない。何かがハリの先に掛かっている手応えがある。しかも重い。
リールを巻き続ける。重い。だが巻ける。えっ、こりゃもしかしたら・・・。
果たして、ハリの先には玉網の網の部分が引っかかり、海底から網と柄がゆっくりと引き上がって来た。
よっしゃあああああああああーーーー!!

やった。釣り上げた。玉網を。奇跡だ。たった10分かそこらでサルベージ作戦が成功したのだ。日頃の行いが良いのだ。多分。やった。
これで余計な出費をしなくて済む。
生還した玉網は、溺れた人が人工呼吸で水を吐き出すようにして柄から水を吹き出す。よく帰って来た。

このような奇跡があり、午後5時に納竿。

キャンプ場に戻った後、再び車で山を下り、釣具店で明日の釣り用のコマセアミエビを購入する。凍結しているので、1日かけて解凍し、明日の朝すぐにコマセを作れるようにしたいのだ。
今日は店には釣りに詳しいおじさんがおり、いろいろ最近の串本近辺の状況を教えてくれる。要約は以下。
・今はグレは型物が釣れない。深いところは全然ダメ。産卵のために大型の口太グレは浅場に移動しているらしい。潮の流れのない浅場がいい。よって際からドン深のクレ崎などはダメ。なにしろ最近は沖磯でも坊主のことがある。本土の地磯などに行った方が良い。古座とか。
・おじさんが子供の頃、40年くらい前は、今でいう高知の沖ノ島のような60cm級のグレが磯からも見えたものだが、ここのところ大きなグレは見えない。
・ここ数年、黒潮が串本に当たっていないので、釣果が悪い。大型の魚は少なくなっている。
・今は季節が悪い。大型のグレは難しい。

こうなると明日はもっと浅場で釣った方が良さそうだ。
Aコープで夕食用のおかずを買い、無料の保冷用氷をもらう。この「スーパーの無料氷」というのが、野宿旅行には必須アイテムである。一昨年の日本一周旅行でも重宝したが、釣りではなおさらだ。クーラーボックス内を冷やすために大変重宝する。

キャンプ場に戻り、ご飯を炊く、長年使っていた兵式飯盒の底が焦げ付いて毎回焦げ飯しかできないようになってしまったので、今回は旅出発前に丸型の飯盒を購入した。初投入。うまく炊けた。いい。

22時ごろ寝袋に入り、眠る。ずっとテントを建てておけるのがいい。
なにしろ一昨年の野宿旅行では、毎日移動しながら公園で野営していたので、夜にテントを建て、翌朝には撤収するという作業を繰り返したのである。

4月9日火曜日。串本。
8時過ぎに起きる。エアマットを敷いてその上に寝袋で寝ているのだが、さすがに地面が固くて眠りは良くない。
観光タワーの近くにあるトイレでお通じし、顔を洗い、菓子パンとコーヒーの朝食。
今日も天気はいい。

今日はクレ崎の左手にある別の小磯で釣ることにする。昨日釣具屋のおじさんが、
「クレ崎にも脇にちょっと浅場の磯があるから、そっちの方がいいと思うよ」
と言っていたのだ。
朝食後、磯に降りて偵察。釣れそうな場所はあることを確認。

車で山を下りてAコープで昼食のおにぎり弁当と半額パン、釣具屋で付けエサのオキアミと配合エサ(グレベスト)を購入。
地図を見て分かったが、串本町は、紀伊半島のいわば本土から、クジラのしっぽのように二股に別れた岬からなっている。本土としっぽをつなぐ細い部分が串本町の中心部で、ここに駅や繁華街がある。

キャンプ場に戻り、釣り支度をして、さっき偵察した磯に降りる。岬状に突き出している小磯である。
一人のおじさんが先端左側で釣っている、。そう言えば昨日はクレ崎(この磯から見て右手にある)では、広い磯なのに一人しか釣り人を見なかった。ここは狭いけど一人いるってことは、有望ってことか。
私は右側の向かいの細い岩礁との間の水道状のよどみで釣ることにする。
11時実釣開始。ウキはB、ウキ下は固定で2m〜3m。
全く釣れない。時々ウキが引き込まれるがハリ掛かりしない。エサ取りの小魚がいるようだ。
外海に面した磯際にも仕掛けを入れてみるがダメ。12時半まで全く釣れず。
これはダメだと移動することにする。行く当てもないので、結局隣のクレ崎の、昨日釣った場所で釣る。

移動にえらく時間がかかる。海沿いに磯を伝って行けるかと思ったが、途中磯が断崖になり降りられなくなる。荷物を少なくするため、玉網の網の部分を一旦4mくらい下の地面に落としてしまったのだが、足がかりがなくてとても降りられないことに気づく。ここを降りることを断念。玉網は後で回収するしかない。
仕方ないので一旦芝生広場まで上がって、別の降り口から降りる羽目になる。
クレ崎の降り口から降り、玉網を回収して、さらに岩の登り降りをして昨日の釣り座にたどり着いたのは、14時。隣の磯なのに、移動に1時間以上かかったことになる。疲れた。
一休憩し、釣り再開。撒き餌を撒くと大量の魚が集まる。あれ、昨日はこんなにエサ取り的な魚がコマセに集まることはなかったのだが。
コマセを撒いたところに仕掛けを入れると、ウキが次々に沈む。コッパグレ。コマセに集まるのはコッパグレだ。昨日釣れていたグレよりも小さなコッパグレが大量に集まっていた。いきなり釣れて坊主も覚悟した午前中を一気に払しょくしたが、この後は入れても入れても釣れるのはコッパのみ。入れ食い状態。
ポイント変えたりウキ下変えたりいろいろやるがコッパ。コッパは基本浮いているので、ウキ下を3mくらいにして彼らの下を釣ろうとすると、何もアタらない。深いところに大物はいないようだ。コッパ以外にサンバソウ(イシダイの幼魚)も見えるが、大きな魚は見えない。これじゃあ玉網がなくても問題ないじゃないか。
4時以降はコッパも釣れなくなる。
日没前の6時まで粘ったが、釣れたのは手のひらサイズのグレのみ。8匹。落胆。昨日の方がもう少し大きなのが釣れていた。
この釣場にはグレしかいない。サンバソウは見えたが、グレ釣りでつきもののアイゴやサンノジなども釣れない。ただ、釣り師の大敵、フグ類がいないのはありがたい。
重い足取りで磯を陸の方へ戻る。今日は移動時含め、一つの山を登ったくらいの磯場の登り降りをし、疲労感は半端ない。

今日はこの汗だくの岩場移動で疲労困憊したので、風呂に入りたくなった。キャンプ場では私のWiFIはつながらないのでネットは出来ないのだが、山を下りて街なかではネットがつながるので、とりあえず山を下りネットで銭湯を探す。ビジネスホテルの日帰り温泉があったが700円と高いのでやめる。
他を探すと、なんと410円の「サンゴの湯」という日帰り温泉があった。スーパー銭湯を小さくしたような感じで、それほど広くない風呂に、休憩場所の畳6畳のスペースがあるくらいだが、風呂にはシャンプーやボディソープも備え付けられ、これで410円とは安い。

岩登りの後の風呂は最高に気持ちいい。3日ぶりの風呂だが、これほどに風呂が気持ちいいものだと感じることも少ない。
風呂から上がり、休憩スペースで体を冷やす。ここには串本の観光案内やグルメマップがあり、すべてもらっておく。観光や外食するには必需品だ。
風呂に入ってしまったので自炊する気がなくなる。風呂屋の近く、串本目抜き通りにある大阪王将で夕食にする。中華丼餃子セット。まずまずだがやっぱり高い。
ファミレス的な店なので夜遅くまでやっているのかと思いきや、21時ラストオーダーで、21:30閉店。私は21時ごろまで、パソコンでメールを書いたりネットをしたりして粘る。
Aコープも20時閉店なので、今日は氷をもらえずじまい。仕方なく大阪王将近くのエバグリーンという24時間営業のドラッグストア的な店で明日の朝食用の菓子パンとサラダ、ボールペン(日記用、入れたつもりが忘れてしまった)、野菜ジュースを買う。
キャンプ場に戻り、23時過ぎ、就寝。
夜半から雨風が強くなる。明日は雨予報。

4月10日水曜日。串本。
朝8時半起床。朝から大雨。菓子パンと午後の紅茶で朝食。いつもはお湯を沸かしてコーヒーを飲むのだが、今日はテント内で朝食を済ます。
雨が降っているので、車の中でダラダラする。
初日の磯で携帯ラジオを磯の岩の上に落としてしまい、スピーカーが断線してしまったらしく、音が出ない。これが痛い。私は、釣りをしながらずっとラジオを聴くのだが、ラジオがないと釣りにのめり込んでしまい、釣れていればいいのだが、釣れない時間が長いとどんどん精神的に追い詰められてくる。ラジオは、釣れない時間帯に気晴らしとなるのだ。
今日は1日雨の予報なので、釣りを諦め、雨でも大丈夫な観光地に行くことにする。
潮岬タワーには登らない。この天候ではいい景色が望めないからだ。タワーや塔や展望台に上る日は、晴れであることが望ましい。以前九州を旅行した時に鹿児島の開聞岳に登ったのだが、曇りで山一帯がガスで覆われており、山頂からの東シナ海の絶景が全く見えなかった苦い思い出がある。
以前も紹介したと思うが、椎名誠さんのエッセーで、「展望タワーでは、天気に応じて入場料金を変更すべきである。晴れの日に300円なら、曇りで200円、とか」という提案があった。
大賛成である。

まずはAコープの駐車場で、ダラダラとネット検索する。11時、串本町の図書館に行くことにする。釣り情報を仕入れたい。
狭い路地にある小さな図書館。今日は寒いので館内にストーブが焚かれている。
南紀の釣り場を空撮したガイド本があったので、串本近辺のめぼしい釣り場を選び、そのページをコピーする。

昼頃、大島に渡る。大島は、潮岬から串本大橋という橋でつながった島である。クジラのしっぽの東側に位置する。
ここにトルコ記念館がある。
1890年(明治22年)、この樫野崎の眼前の岩礁でトルコの軍艦エルトゥールル号が座礁・沈没し、乗組員の多くが亡くなった。その際、串本の人々は、決死の救助活動を展開し、必要な医療を施し、自分たちが食うのに困っていたにも関わらず、遭難者たちに食べ物を提供したという。
そしてその後、明治政府は、生存者たちを日本の軍船でトルコに移送した。
この出来事を感謝し、トルコは親日国となり、その後の1985年、イラン・イラク戦争勃発時にイランのテヘランに取り残された日本人を、トルコ政府が飛行機を飛ばしてくれて脱出させたのである。トルコは、「(約)100年前の恩返しだ」という思いだったという。
そんなトルコとの友好を記念した「トルコ記念館」が樫野崎にある。エルトゥールル号沈没事件とその後の両国の友好ぶりがさまざまに展示されている。
私は知らなかったが、上記の出来事を描いた『海難1890』という映画があったそうだが、この映画についても展示がある。ロケは串本町で行われたそうだ。
トルコの小学校の教科書が展示されている。この事件のことが記載され、日本のことも紹介されている。富士山の絵(写真だったかな)が描かれている。

雨の中、樫野埼灯台へ。灯台までの道に、エルトゥールル号海難事故で亡くなったトルコ人の慰霊碑がそびえている。相当デカい立派なものである。以前建っていた慰霊碑を、トルコ政府が改修したとのこと。
この道にはトルコの民芸品やアイスを売る店があるが、雨の中回転しているのかよく分からない。道にはトルコじゅうたんが無造作に放置されている。
また、イスラム教徒用の礼拝所がある。さらにはトルコの初代大統領ケマル・アタテュルクの騎馬像まである。ここはアンカラかっ!まさにトルコ通りだ。

樫野埼灯台は、江戸末期の1866年に幕府が米英仏蘭と結んだ、いわゆる江戸条約により建設させられた「条約灯台」8基のうちの一つで、日本にある最古の洋式灯台の一つである。1870年(明治3年)点灯。
ちなみに、いま私が野営している潮岬にある潮岬灯台もその一つである。他の6基は、観音崎、野島崎、神子本島、剱崎、伊王島、佐多岬。そういえば房総最南端の野島崎灯台は、磯釣りをしながらよく見ている灯台だが、そんなに古い灯台だったとは。まさに灯台下暗し。
樫野埼灯台の脇には灯台官舎があり、日本最古の石作り官舎だという。

雨はやんだが風があり寒い。もう15時近い。
昼飯を食っていない。あまりに腹が減ったので、駐車場でコンロでお湯を沸かし、カップ焼きそばとレタスでしょぼい昼食。

このあと、海に三角に突き出たマグマの名残、海金剛や日米修好記念館を見て周る。
なぜ日米修好記念館がこんなところにあるのか?なぜなら、ここ大島は、アメリカの船が初めて来航した場所なのである。アメリカの帆船レイディ・ワシントン号とグレイス号が大島に来航したのは、ペリー提督の黒船来航から62年前の1791年のこと。これが日米の初通商接触だったという。
この記念館は、その日米の初接触エピソードを中心に展示している。
この2隻に乗船したアメリカ人商人たちは、ラッコの毛皮を日本人に売りつけようとしたようだが、当時の日本では毛皮は全く価値を持たないことを知って愕然とする。
時は鎖国の折。当時、幕府は異国船の来航を禁止していた。大島の人々は、この現れた異国船に困惑する。大島に上陸したアメリカ人と村民とのやり取りがあったが、ラッコの毛皮が日本で売れないこと、日本は鎖国しており、紀州藩の掃討役人が迫っていることを知らされた商人たちは日本を離れることになる。徳川譜代の紀州藩の役人が派遣されつつあったのだ。
結局、この「初接触」は、日本側としては漂着ということで片付けられ、長いこと歴史の日の目を見なかった。
この記念館は、1975年にオープン。歴史は面白い。

串本のAコープに戻り、ネットする。近くのスタンドでガソリンを入れる。ハイオク161円/リッターとバカ高。
Aコープで夕食用のかき揚げ、三平で明日の釣り餌を購入し、キャンプ場に戻る。

新飯盒は、ご飯が炊けるのが早い。火力の強いカセットコンロを使っているからか。15分かからずに炊ける。
20時に夕食後、車のなかで日記を書き、司馬遼太郎氏に関する本を読む。
星空がえらく美しい。本州最南端。
22:30就寝。

4月11日木曜日。串本。
朝8時過ぎに起きる。今日も朝から芝刈り機の音がうるさい。無料サイトの横にある広大な芝生広場の芝刈りをしている。昨日は雨だったから中止したんだろう。
今日はまた天気がいい。
今日は、昨日図書館で調べた古座川河口に行き、クロダイ(チヌ)を狙ってみる。どうも磯場ではグレの型物が期待薄だからだ。
朝食後、9時過ぎに出発。潮岬観光タワー横のお土産屋でクジラの耳かきを買う。荷物に入れたはずが見当たらない。南紀はクジラ漁でも有名だ。串本から少し上がったところにある太地町では、いまでもシーシェパードの漁妨害があるのだろうか?以前訪れた際はクジラ漁が解禁前で対決できなかったが、4月も禁漁期だろう、多分。
42号を北上して古座川河口に到着。古座大橋を降りて昔ながらの街並みを少し入ると川岸に駐車場がある。
古座川と言えば上流部が清流で有名な川である。河口は青々として雄大だ。

車を降り、川の中を覗き込みながら河口まで歩く。魚は多い。何だろう?岸壁でくつろいでいたおじいさんに聞いてみる。
「ここ、チヌ釣れますかね?」
「フグが多いよ」
なにーー?フグとは良くない。フグは汽水域にもいるのか。
すぐに古座大橋下の河口部に着く。ここは岩場があり、小さな赤灯台がある。水は澄んでいる。岩場の周りには魚が多い。しかも30cm以上あると思われる大きな魚も見える。グレじゃないか?
こりゃ期待できるぞ。ここで釣ることにし、準備をして釣り開始。10時半ごろ。
ウキはB,ウキ下2〜2.5m。
エサが瞬殺される。フグ天国だった。そのうちフグが釣れる。まずい。

そこへ近所のおじさんがやってくる。
「釣りしてんの?何釣るの?」
「チヌ釣れるって聞いたんで。」
おじさんは海をのぞき込む。相変わらず大きな魚が磯際を泳いでいる。
「あれ、チヌだな。おぅ、釣れるぞ」
「あれグレじゃないですか?だけど見える魚は釣れないっていうから」
「いや、チヌだよ。釣れるだろ」
おじさんは熱心に海の中を見つめている。
「イガミもいるな」
「イガミってなんですか?」
「ブダイだよ」
だけどこのおじさんも釣り師で、チヌやグレを相当釣っているようである。最近の釣果や、仕掛けの話などをする。
今日は誰も釣り人がいないから、最近は釣れてないのか。

コマセができたので撒き始める。コマセには無数の魚が集まってくる。ほとんどがフグだ。釣り人がいないのは、これが原因か。
少し沖に撒くと、フグの後にグレが集まってくる。小さいが、銀色の魚体が水中を乱舞する。コッパというほどの小型ばかりでもないようだ。
「おい、グレも釣れるぞ!」
しかしエサはフグに瞬殺されるので、磯際にコマセを撒き、フグを手前に引きつけておいて、その後に仕掛けを沖に投入してコマセを撒く(または、沖にコマセを投入したあとに仕掛けを投入する)。
すると狙い通りグレが釣れる。20cmくらいあるから、悪くない。
だが、その後はフグが猛威を振るう。フグ対策は、手前と沖の撒き餌投げ分け手でいけると思ったが、フグはそんなにバカじゃない。手前も沖もフグだらけになる。どんどん沖にポイントを移すが、相当沖でもフグが食ってくる。
コマセを混ぜていたら、安物のひしゃくの柄が折れてしまった。これではコマセを投入できない。困った。

しばらくしてさっきのおじさんがまたやってくる。
「おい、さっきのグレだったな?」
「はい、20cmくらい」
「おう、いけるぞ」
この人、私を応援してくれているようである。

おじさんに聞いてみる。
「このあたりに釣具店ありますか?ひしゃくが折れちゃって」
「おう、それなら貸してやるよ」
おじさんはすぐ近くの川沿いに立つ家に戻り、ひしゃくを持ってきて貸してくれた」
「あそこのビールケースの置いてある辺りに返してくれればいいからさ」
「ありがとうございます」
いいひとだ。おじさんは家に戻っていった。

釣り再開。
潮は、始めは川から海への流れだったが、時間とともに変化し、海から川への流れと変わる。干潮への下げ潮と満潮への上げ潮で流れの向きが変わるのだろう。
フグの厄介なところは、ハリスを切られるところである。ここのフグは腹が減っているのか、警戒心が薄いのか、エサをおちょぼ口で突くのではなく、どんどんエサをくわえてくるので、釣れるし、ハリスが切られる。
これはかなわない。
河口の川に向いた岸壁から、海側に突き出た小さな赤灯に移動する。岸壁から階段を降りて登るだけ。
少し沖で再びグレが釣れる。23cm。サイズは悪くない。しかしその後またフグに席巻される。忘れた頃にグレ、そして再びフグ連打。

ウキを3Bに変えるが変わらず。日が傾き、コマセもなくなり、5時にはエサのオキアミもなくなる。
ウキを5Bにして60cmくらいの短ハリス、黄色い練りエサで水深3mの底を狙う。チヌ狙い。しかし練りエサにもフグが食ってきて万事休す。
結局グレは4匹だけ、フグは17匹、ハリは10本くらい失った。

そこへおじさんが3度目の登場。
「一日中やってんのか?」
まだ私が釣っていることに驚いた様だ。
「はい、だけどグレは4匹だけ、あとはフグばっかりです」
「そうか、ダメか。釣れると思ったんだけどなぁ」
もう17時を過ぎ、納竿しようと思っていたのだが、おじさん思いついたように近くの磯で何やら取って来た。イガイだ。
「おい、これつけてやってみろよ」
チヌ狙い。
おじさん自身がハリにエサをつけてくれ、私はおじさんの指示する磯際のポイントに仕掛けを投入する。さすがにこれならフグも手が出まい。
しかし、30分くらいポイントを変えて投入を繰り返したが、アタリのないまま終了。6時。
「いたら釣れるはずなんだけどなぁ。残念だったな」
「まぁ、だけどグレは釣れたし、楽しかったですよ」
「むかしは大魚がたくさんいたよ。ここで62cmのチヌを釣ったこともあるよ。サンマの切り身で釣るのさ」
おじさんも昔話をする。この川や海を長年見てきた人の共通した感慨だろう。
「まぁ、またこれに懲りずに来てくれよ」
ここで釣りをする人の応援団か。
おじさんにひしゃくを返し、礼を言うとおじさんは家に帰っていった。

潮岬までの帰り道、いくつかの釣具屋を周り、コマセ柄杓を2本買う。250円と1231円。250円のものは、安い割には実に良さげな品質だ。
8時の閉店間際のAコープに飛び込み、サラダと菓子パンを買い、氷をもらう。
キャンプ場に戻る道を一度行き過ぎてしまった。夜になると目印の観光タワーも闇に沈んでしまっており、気づかなかったのだ。失態。
8時から夕食を作り始めて、8時半に食べる。カレー、缶詰、サラダ。
車の中で日記を書き、10時に歯を磨いてテントに入る。
今日はキャンパーが一気に増えている。テントの数が多い。
10:25頃眠る。

4月12日金曜日。串本。
7:30に起きる。8時過ぎに街に降りる。しかしAコープはなんと9時開店のためまだ閉まっていた。
駐車場に車を停め、ネットする。今日は晴れの予報だったが雨が降っている。大島の須江崎の釣り場を紹介した動画を確認する。
9時になり開店したAコープで弁当を買い、三平でアミエビ、グレベスト、オキアミを購入。2030円もした。ウキフカセ釣りは金がかかる。
須江崎には10時前に着く。5分ほど森の中を歩き、磯に出る。クレ崎に比べると磯は起伏がなく大分歩きやすい。
釣り人が多い。車は6、7台停まっていた。
「ハゲアジロ」と呼ばれる先端の空いているところに入る。右にも左にも釣り人が並んでいる。
ここ須江崎は、大島の釣り場の中でも一級磯と言われている地磯で、やはりクレ崎と同じように足元から水深がある。
深いところはダメだという話だが、ここまで来て須江崎で釣らないわけにもいくまい。
水深は5m以上。見たところ深そうだ。波は激しくない。
磯際が良さそうに見えるので、まず仕掛けを磯際に投入。10:30頃開始。
ウキはB、ウキ下は3mくらいから始め、2.5〜5mくらいまで変えていく。始めはコマセなし。全く反応がない。エサ取りもいない。
右隣には20〜30mほどのm間隔で2人の釣り人。どうやら仲間らしい。彼らはグレらしき魚を釣り上げている。なかなかのサイズだ。隣の人は、一度大物をバラした後、35〜40cmくらいに見えるいい型のグレを上げていた。
奥の人も、午後にかけてグレをバンバン釣り上げている。
私はと言えば、何も釣れない。なぜだ?エサ取りは激しくないので、悪い状況ではない。
私に初めの魚が釣れたのは釣り開始後1時間半ほどたったお昼ごろ。10mほどの沖で食った。24cmのグレ。
弁当を食べた後、2枚目は午後1時過ぎ。これまた少し沖でかかった。25cmのグレ。
磯際は波が打ち返して来てサラシになり、海面の上下動が激しくなる。
3枚目は午後2時半ごろ、これが一番引いた。28cmのグレ。玉網が届かず取り込みに苦労した。波が来て水位が上がったところで網を入れてなんとかランディング。
沖への潮が速く、撒き餌がなかなか効いていないような感じだ。沖の潮目に投げ込んで釣るも、全くアタリなし。エサ取りはいないのでやりやすいのだが、ポイントが絞れず、難しい。
結局5時までに釣れたのは以上グレ3枚のみ。右の奥の人は、午後になって主に沖でバンバン釣り上げているというのに、私にはほとんどアタリがない。やはりいいポイントというのがあるのだろうか。
5時にコマセがなくなり、磯際とちょい投げでミャク釣りするも不発。最後、何か重いものがかかった(生物ではない)、重くて引き上げられずに糸切れで終了。
5:45納竿。
今日は一日中ほとんど風がなく、釣りやすかったのだが、一級磯と言われる須江崎でも釣果乏しい。20cm台のグレ3枚だけ。残念。

帰り、サンゴの湯で入浴。またまた三日ぶりの風呂。最高に気持ちいい。
そして大阪王将。定番コース。といっても二度目だけど。酢豚定食を頼んだが、酢豚の量が少なく、メニュー写真とはえらい違い。幻滅。コストパフォーマンスが良くない。
キャンプ場に戻る。今日は昨日よりもキャンパーが減っている。昨日はバイク旅行の人が多かったようだ。
いよいよ明日、串本を離れ、北上する予定。

4月13日土曜日。串本。
8時半ごろようやく起きる。昨夜は寒くて目が覚め、ジャンバーを重ね着してなんとか眠れた。上はジャンバー2枚を含めて6枚も着て何とかしのいだ。
今日は素晴らしい天気。菓子パンとコーヒーの朝食後、テントを撤収する。ここ潮岬キャンプ場には6泊もしたことになる。拠点があるのは楽だ。テントを毎日建てたり畳んだりしなくていいのがいい。
一人のおじさんは、私が六日前に来たときからずっといる。デカいテントを張って一人で寝泊まりしている。日中は何をしているのだろう?私は日中釣り場にいるので、朝と夜しかキャンプ場にはいないため、彼が何をしているのか知る由もない。彼は私が釣りをしていることを知っているだろう。なぜなら、このキャンプ場下の磯で2日くらい釣ったので、ライフジャケットを着て釣り場に降りていく私の姿を見ているだろうからだ。彼はまだまだここに居続けるようだ。
今日は串本観光をした後、北上して三重県に入り、無料の小船梅林キャンプ場で野営する予定。

まずはキャンプ場の隣に立っている潮岬観光タワーに上がる。今日は天気が最高だから眺めも良かろう。9時半。
300円払ってエレベーターで展望台へ。展望台には店も何もない。ただ景色を楽しむだけである。
素晴らしい眺め。目の前180度以上、見渡す限りの水平線。太平洋。空の青と海の青。眼下にはキャンプ場の脇に広大な芝生広場。右手には潮岬の灯台。後方には潮岬の陸地。割と住宅街もある。
景色を堪能したあと、タワーを降りる。併設された建物に「エルトゥールル館」という展示コーナーがある。映画『海難1890』のビデオが流れ、エルトゥールル号の模型や、映画で使われたセットの一部などが展示されている。明治時代の樫野村のシーンで使われたのだろう、井戸が展示されている。これを触ってみると、なんと発泡スチロール製だった。見た目はどう見ても石積みの井戸である。これだけの質感を模型で出せるとは、いまの技術の素晴らしさよ。
車で潮岬灯台へ向かう。しかし、灯台の入場料が200円、駐車場代が300円だったのでやめた。入場料はまだしも、灯台という公共施設に行くのに駐車場が有料というのはどうも理解に苦しむ。事業者は誰なのだろうか?私有地の駐車場か?
しかも、管理事務所にいた料金徴収人のおじさんの人相の悪いこと。サングラスをかけ、いかついオッサンだ。この駐車場を管理する人々のことを邪推してしまう。

潮岬周遊道路を走る。クジラのしっぽの西側を北上。海が恐ろしく美しい。白い砂浜の海岸線が緩やかに湾曲し、海はグリーンブルー。
もう昼近い。Aコープで弁当を買ってイートインコーナーで食べる。ジャージ姿の女子高生二人組も弁当を食べている。部活の帰りだろうか。
本州最南端の駅、串本駅へ。JRきのくに線が走っている。西に行くと白浜・和歌山、新大阪、東に行くと新宮である。
さらに少し北に行ったところに、名勝・橋杭岩(はしぐいいわ)がある。大島に向かって、尖った岩が列をなして立っている。
伝説によれば、、弘法大師がここを訪れた際、天邪鬼と朝までに大島まで橋を架けられるか、賭けをしたそうだが、大師が橋の杭をほとんど作り終えたところで天邪鬼はこのままでは賭けに負けると思い、鶏の鳴きまねをして弘法大師にもう朝が来たと勘違いさせた。大使は諦めて作りかけでその場を去ったため、橋の杭だけが残ったという。そもそも、弘法大師ともあろうものが、賭けをするのか、鶏の声で本当に朝が来たと勘違いするのか、まぁ突っ込みどころは満載だ。

すこし北に行ったところ、港の堤防から、横に並ぶ橋杭岩を眺める。とにかく天気がいい。堤防の先では一人の釣り師が投げ釣りをしている。キスのような魚を釣り上げていた。

さらに北上する。古座川河口に偵察に行ってみる。やはり釣り人はいない。今日は土曜日なのにいないということは、みんなきっとここにはフグが多いことを知っているのだろう。
重畳山(かさねやま)に登る。ナビに細い道を誘導され、山頂に近い駐車場まで車で行く。駐車場に車を停め、歩いて歩き始める。
公園があり、その先に真言宗の神王寺、重畳山神社がある。そして山道には多くの古めかしい石仏が並んでいる。四国八十八か所の本尊を刻んだ100体の石仏だという。
途中展望台がある。
301.8mの山頂までは、神社から歩いて10分くらい。展望はない。

山を下り、串本観光はこれにて終了。もうすぐ17時。これからいよいよ串本を離れ、今日の野営地、小船梅林キャンプ場へ向かう。
途中から山に入っていく。国道168号。熊野川沿いの道。山が深い。店が全くなくなることに気づく。夕飯の材料を買わねばならない。
山の中の街、熊野川町に着く。ここならスーパーはあるだろうと思ったが、ネットで探したAコープは、土日休みとのことで閉まっている。
マズい。仕方がないので、キャンプ場に行く前に、熊野本宮方面に車を走らせ、10kmくらいでようやくヤマザキショップがあった。
豆腐とトマトを買う。これで何とかなりそうだ。このヤマザキショップも、途中にポツンとあった小さな商店も、商品の値段がバカ高。イワシの缶詰が220円、サバ缶が300円以上。ヤマザキショップなのにヤマザキパンも通常の価格よりも軒並み高い。山奥だから輸送費などが上乗せされているのだろうか。島よりも高いんじゃないかと思える値段だ。

熊野川町は、平忠度生誕の地、とか、カヌーと瀞峡の街とかの観光看板があるが、観光客は多いようには見えない。自然が圧倒している。

熊野川町に戻り、ネットをつないでナビをかけ、小船梅林へ。18:45ごろ到着。
三重県熊野市にある小船梅林キャンプ場。
熊野川沿いに広々とした草地。ここがキャンプ場で、車乗り入れ可で、車のすぐ横にテントを建てられる。いい。
もちろん梅の季節はとうの昔に終わっている。土曜日ではあるが、キャンパーは多くなく、ポツンポツンとテントを張っている。5、6組くらいか。向かって左手にはバイクツーリングの人が多い。何しろ広大な草地なので、ほとんどが空いている感じ。キャパは半端ない。
トイレと水道が一つだけある。

私は空いているところに車を乗り入れ、みんなと同じように川に近いところに陣取る。
テントを張り、夕食はレトルトの麻婆豆腐にサバ缶、トマト。
22時過ぎ就寝。夜中寒い。下はファイントラックのインナータイツを履き、ジャージに雨具でしのぐ。上はジャンパー2枚の計6枚。

4月14日日曜日。
朝8時頃起きる。朝のお通じ、朝食。周りはもう撤収しつつある。左の方にいるバイク軍団は、それぞれ一人旅らしく、一人ひとり去っていく。だけど彼らは意気投合しやすいのだろう、昨晩は知らない者同士で3人くらいで夜遅くまで話し込んでいた。
私は8:30頃出発。一旦熊野川町に戻りネットをつなぐ。ナビをセットし、熊野市街地に向かって山を下りる。国道311号。
10時過ぎ、2年前の日本一周旅行で野営した山崎運動公園に到着。ここは街なかの公園なのでネットがつながり、付近の釣り場検索などをしてグダグダと過ごす。
今日は悪いことに、午後から雨予報。だがまだ雨は降っていない。
公園内をしばらく歩く。運動公園というだけあって、サッカーコートやスタジアムなどもあり広い。
今晩は2年前と同じようにここに泊まるか・・・。
ネットで付近の公園を検索する。できるだけ海に近い場所を探していたところ、「井内浦農村公園」というのが海の近くにあったので、行ってみることにする。

11時前、井内浦農村公園へ。農村公園という名前とは裏腹に、小さな入り江状の海を見下ろす場所にあり、広々とした芝生広場を持った公園だった。周辺に民家はなく、海に迫った山を削って造られたようである。
トイレもあるし、テントを張るには最高の公園だ。早速「キャンプ禁止」の看板がないかを探す。看板は、あった。そこには「禁止」とは書かれていなくて、
「キャンプする場合は、市役所で手続きをして許可を取ってください」
とある。つまり、「キャンプ禁止ではない」ということだ。
さっそく熊野市役所に電話すると、警備室の人が出て、「今日は日曜日だから手続きは出来ない」という。
明日は月曜なので、明日の8時半の開庁後に市役所で手続きをしればよい、という。そうしよう。この公園は街から離れてひっそりとしており、のびのびとキャンプができそうだ。

この公園に来る途中の山道に、車数台が路駐していた。山には小道が入っており、「磯釣り注意」という看板があるから、どうやらここから山に入って磯場に出るらしい。俄然興味が湧いてくる。ちょっと山道を入ってみるが、舗装路からけもの道のような山道が分岐している。直観的には、磯に出るにはここを山に分け入るようだ。しばらく山道を歩かねばならない。このあたり、三重の磯には、山道を延々歩いてたどり着く入釣が容易でない釣り場が多いらしい。
今日はもう昼を過ぎているし、これからの予報は雨である。磯場に行ってみたいが、どれだけ歩くか分からないので、ここで釣ることは断念。

熊野市に戻る。
腹が減った。台湾料理屋で昼飯。なかなかいい。台湾料理屋ってセットメニューが充実しているところが多い。ここでも定食にラーメンがついている。

今日はどこで釣るか?
結局、鬼ヶ城の磯で釣ることにする。始め、鬼ヶ城を観光する。駐車場に車を停めると、ついに雨がパラパラし出す。さすがに日曜だけあって観光客が多い。以前の旅の際にも車で通ったことがあるが、じっくり見たことはなかった。
鬼ヶ城は、海沿いの岩が浸食されて、洞窟や平場や尖岩といった奇形を呈する奇岩地帯である。岩肌を見ると奇妙な模様が入っている。通路に沿ってこの奇岩風景は延々と続いている。

通路をずっと行くとかなり時間がかかりそうなので、一通り近場を見終わった後、観光客が結構いる中、鬼ヶ城の下の磯で釣ることにする。14時。
さっき買ったアミエビは全然溶けていない。
磯際から結構深そうで、見た目はなかなか良さげな釣り場である。
ウキはB。釣り始めるも全くアタリがない。エサ取りもいない。磯際も沖も反応がない。ウキ下を変えてもダメ。
一度だけハリスが切れ、ハリが取られた。フグだろうか。
ウキをB→5Bに変え、ハリスも60cmに短くして、深場を攻めるが、やっぱりダメ。
ここの釣り場はあまり良さそうじゃないので、今日はコマセを撒かないで温存することにする。

雨が降り始める。カッパを着て続けるが、本降りにはならない。それにしても全く釣れる気配がない。坊主を覚悟する。
最後の最後で、フグが一匹釣れた。その後もエサ取りが時々ある。フグだろう。他の魚はいないのだろうか。

午後5時を過ぎて、雨が激しくなる。5時半ごろ、日没となり、心も折れて終了。フグ1匹のみ。コマセなしとはいえ、完全なる敗北。
磯際からドン深のところでは、攻め場が分からない。どのタナにいるのか。沈み根の位置も分からないので、コマセなしでは磯際を攻めるしかないのだろうか。

失意のまま鬼ヶ城を後にする。雨は本格的に降り始めている。
釣具店で明日のエサを購入(アミエビ、グレベスト、オキアミ)。
釣具屋のおじさんに、熊野の一級磯、楯ヶ崎の状況を聞いてみる。いまはグレはあまり良くないらしい。串本と同じ状況か。だけど、サンノジやイスズミなどの外道は健在だそうで、釣りは楽しめるだろう、という。サンノジならグレ級の引きだから、不足はない。

雨が降りしきる中、再び山崎運動公園の駐車場へ。大雨。ますます激しくなる。こりゃ今日はテントを建てられそうもない。また苦痛の車中泊か。
車の中に閉じ込められる。ネットはつながるのでメールを書き、時間をつぶす。
近くの大衆食堂「まさる」で夕飯。970円と高かったが、ボリュームあり、副菜も多くまずまず。
出来るだけ時間をつぶそうと、『ベルセルク』を読み始めると面白くて止まらなくなる。閉店の9時近くまで粘る。

店を出ると雨はますます激しい。運動公園の駐車場で車中泊。日付が変わる0時ごろに雨はやんだが、テント建てる気はさらさら起きなかった。
後部座席に荷物が多いのでシートはほとんど倒せない。足を助手席側に投げ出して、相当に不自然な体勢で寝る。はじめ全く眠れなかったが、午前3時ごろようやく眠りに落ちる。
それにしても、公園の駐車場というのは、夜中にひっきりなしに車がやって来て、すぐ去ったり、しばらく滞在してから去っていく。彼らは一体何をしているのだろうか?

4月15日月曜日。
辛い辛い車中泊。朝8:30、どうしても達成できない夢を見て目覚める。急ごうと思っても体は動かず、前に進まない。
完全に朝である。昨晩の大雨が嘘のように空は青く晴れ渡っている。
清々しい天気とは正反対に、不自然な格好で寝たし、睡眠時間も短く、不快感が半端ない。
月曜の朝、駐車場にはすでに多くの人々が集まっていた。電気工事か、作業服を着た人々や警備員風の人々が車を次々に乗りつけて集まっている。

車のドアを開けて外に出る。体がバキバキ。トイレで朝のお通じをし、顔を洗って一服する。
この気分と疲労では、釣り場まで起伏のある山道を30分以上楯ヶ崎に行くのは厳しい。加えて、ネットの波予測を見ると、波は2.5mくらいありそうなので、見知らぬ磯での磯釣りは危ない。まぁ実際、昨晩車中泊をせざるを得なくなった時から、今日の楯ヶ崎はほぼあきらめムードだったのだ。

9時過ぎ、熊野市役所へ向かう。昨日偵察した井内浦農村公園でキャンプする許可を得るためだ。
途中、スーパーオークワで、今日の昼食の弁当などを購入。ファミマでコーヒーとアメリカンドッグの朝食。
10時過ぎに市役所に着く。農業振興課でキャンプの申請。対応してくれた巨大な体躯の職員は、こう言う。
「ここでキャンプをするなんて、通ですね」
「そうですか」
「あまりこの公園でキャンプをする人、いないですよ」
「そうでしょうね。だけど普通の公園ではキャンプ禁止が多いでしょう?」
「そうですね。この公園でも特別に許可しているんですが。そう、ここの水は飲めないので注意してください」
「はい、分かりました」
管轄する市としては、要するに、問題起こされたらかなわないので、公園でのキャンプやBBQはできるだけ禁止の方向だろう。2年前の旅行でも書いた通り、最近では自由に公園でキャンプもできない。世知辛いご時世だ。
そもそも、公園の水が飲めないって、おかしくないか?せっかく金をかけて造った公園に、人を来させないようにしているかのようだ。子供を遊ばせようにも、水道の水が飲めないなんて、そんな公園には誰も来ないよ。

市長の印を押すのに少し時間があり、手持無沙汰となった巨漢職員が私に聞いてくる。
「公園でキャンプして何するんですか?」
「いま釣りの旅をしているんですよ」
「何釣るんですか?」
「まぁ、磯の魚です。グレとかチヌとか」
「そうですか。三重は釣りにはいいところでしょう?」

手続きも無事終わり、熊野市長のはんこ入りの許可証をもらった。念のため、日程は3泊にしておく。

市役所を出ると、すぐ近くにJRの熊野市駅があったので、周辺の写真を撮る。ここも紀勢本線が通っている。
昨晩の豪雨が嘘のように空は青く晴れている。
今日の釣りは、磯を諦め、近くの堤防で釣ることにする。だが、磯崎港は釣り禁止、鬼ヶ城周辺の2つの港は、堤防が高すぎて釣り辛そうで、大物かけても取り込めないので止める。西ケーソンの方は一人釣り人がいたが、ぶっこみ釣りのような感じである。
磯崎港は、港の裏まで山が迫っており、その山の斜面に色とりどりの家々が密集していて、実に絵になる港である。
海は空の真っ青を反映し、青く輝く。ヘチ際の水は緑色に透き通っている。美しい。

その後、新鹿(あたしか)港へ。ここなら釣れそう。すでに釣り人がいる。2人はカゴ釣り、2人はルアー。
車を停めて堤防先端へ。カゴ釣りの人に声をかける。アジ釣ってるのかと思ったが、釣れれば何でもいいんです、という答え。
ルアーの2人はイカ釣りのようだ。

堤防先端に陣取り、13時実釣開始。一昨日買って昨日の鬼ヶ城で使わなかったアミエビは完全に溶けている。グレベスト(配合エサ)と混ぜ、コマセはすぐに準備完了。
堤防周りには小魚の大群。いろんな魚がいる。後で釣れて分かったのだが、ネンブツダイにスズメダイ、それに小サバかイワシのような銀色の青物系。これらが大量に堤防の周りを泳いでいる。魚影は濃い。が、こいつらがエサ取りだとちょっと厄介だ。
水は青く澄み切っている。いい海だ。

ウキBで始める。堤防の周りには基礎石が沈んでいて、その先は深い。8mくらいはありそうだ。まずは4〜5mのウキ下で釣る。
始めは案の定エサ取りが多い。ヘチ際にコマセを撒いてエサ取りを引きつけ、10mくらい沖を釣る。
しばらくして勢いよくウキが沈む。グレ?なんと小サバだった。サバらしい変な引き。かかった後、引きが急になくなったりする。
一応この小サバをキープする。このあとたくさん釣れたら、今晩の夕食にすればいい。

しかし、この後は時々勢いよくウキが沈むものの、合わせてもハリ掛かりしない。1匹掛かったっきり、何も釣れない。銀色の小魚はサバではないのだろうか?
小サバ1匹では夕食にならない。試しに、青物ならばと、ヘチ際をサビキで釣ってみる。コマセを撒くと大量の魚が集まってくる。コバルトブルーの小魚も多い。そこにサビキを投入。
サビキに食いついてきたのは、ネンブツダイだけ。他の魚はサビキには見向きもしない。ネンブツダイは食べて美味しいのか分からないし、小さいのでリリース。
結局サビキではネンブツダイ2匹釣ってウキフカセに戻る。

沖を釣る。エサが取られる。やっぱり時々ウキが沈み込むがハリ掛かりしない。サバっぽいけどなぁ。
とにかくエサ取りをかわさねばと、ウキをB→5Bに変え、ウキ下を5〜5.5mとし、深みを釣る。この変更が当たった。
まずはカサゴ。その後ベラ2匹。ベラは20cmあり良型だったので引きも良かった。こいつは食べられるのでキープ。小サバとベラがあれば夕食にはなる。
さらにネンブツダイ、スズメダイがハリ掛かりする。ネンブツダイとスズメダイはエサ取りっぽいが、ウキ下を長くしたらハリ掛かりするようになった。
さらに小さな平べったいアジのような魚もかかる。シマアジか、ヒイラギか?

カゴ釣り2人もルアーの2人もほどなく帰ってしまった。入れ替わりに年配の夫婦が二人でカゴ釣り、もう一人のおじさんがウキ釣りを始めた。

そうこうしているうちにもう午後5時。コマセももうなくなった。
そろそろ終わりか。
もう少しだけ、とウキ下5mで10mほどの沖を釣っていたら、ウキが高速で沈む。合わせると、今日一番の引き。何だ?ベラ?
なんと、グレだった。コマセを撒き続けて、ようやくグレが寄って来たか。夕暮れが近づき、活性が上がったか?5mの割と深いウキ下でグレがかかった。
23cm。やった。最後にサプライズ。食べるかどうか大いに迷ったが、リリースした。グレならば、もう少し成長できるだろう。

コマセがなくなったのが痛い。コマセが残っていれば、これからグレタイムだったかもしれなかった。
17:45までやったが、それっきりグレは釣れず。納竿。
夕方からエギ師が2人、夕まづめを釣りにやって来た。言葉を交わす。
今日は午後だけだったが、いい釣りだった。大物は釣れなかったが、小さいのでも色々な魚種を釣ることができた。夕食用に小サバとベラを持ち帰る。

午後6時過ぎ、熊野市内に戻る。明日のエサを買い、オークワで今晩のサラダ、明日の弁当を買い込む。明日はいよいよ一級磯の楯ヶ崎に挑む予定。
7:20ごろ、井内浦農村公園に到着。途中の道で、猫と鹿が道路に出ていた。鹿はあまり舗装道で見たことはないが、ここはひとけが少ないので、鹿は平気で道に出てくるようだ。房総並みに鹿が多いらしい。

公園駐車場で、早速夕食の調理を始める。ベラと小サバを塩焼にする。アルミホイルに焦げ付いてしまったが、何とかできた。油を敷かねばならなかったか。
ベラは少し生っぽかったが、全然イケる。
魚を焼いていると猫が3匹くらい近づいてくる。どうもこの公園の周りに住んでいるようだ。
食後、ベラと小サバの頭と骨を猫に上げると、2匹の猫はあっという間に骨まで食べつくしてしまった。さすがに動物というのは人間と違って歯も消化器も丈夫なのだ。

夕食後、食器を洗ったあと、テントを芝生広場の片隅に立てる。ここは日中、おとうさんおかあさんたちがゲートボールを時々やっているそうで、テントは邪魔にならないところに建ててほしい、と巨漢の市職員に頼まれていた。
それにしてもキャンプするのに絶好の公園だ。海沿いなので波の音は聞こえるが、静かだし、広々しているし、裏は山なので風も遮られる。
テントに入ると、カエルたちの声に包まれる。人里離れた公園での野営は、落ち着ける。
22:30、就寝。

4月16日火曜日。
7:20ごろ起床。朝食後、8時頃、楯ヶ崎へ出発。国道313号を北上し、8:30、楯ヶ崎遊歩道近くの駐車場に到着。車は1台も停まっていない。あれ?だれも釣り人なし?ちょっとイヤな予感がする。
8:40、楯ヶ崎に向かって山の中の遊歩道を歩き始める。しばらくは下り。15分ほどで港沿いの小さな神社に着く。
そこからは登り。一人の釣り師が上がっていった。
きつい上り坂。両手に竿、バケツなどを持っているので、普通の山登りよりも厳しい。
アップダウンの激しい山道を歩くこと35分。やっとのことで前に磯場が開け、海に到着。
「千畳敷」の名前通り、広々とした平らな岩場が開け、その先には柱状節理の小山のような岩場が盛り上がっている。
見たところ左に釣り人が一人。さっきの人だろうか。
私は岩場を右に降りる。誰もいないので釣り座は選び放題。平らな場所を見つけて落ち着く。釣りをする前から疲れた。

海は磯際からいきなり深そうだ。サラシも弱く、ポイントがどこなのかよく分からない。
9:45実釣開始。アミエビが一袋溶けていたので、すぐにコマセを撒き始める。
水深は10m以上。ウキはB、ウキ下4mから始める。
キタマクラが釣れる。幸先は良くない。その後アタリなし。磯際も沖もウキ下3〜5mで反応なし。ただし、磯際に入れると、エサは取られる。
コマセには細長い、少し青く見える銀色の魚が寄ってくる。それに、茶黒系の小魚の大群が泳いでいる。

しかし何も釣れない。やっと釣れたと思ったらまたキタマクラ。引きはなかなか強かったので期待したのだが・・・。こいつにはハリスを切られて釣り落とした。おとなしく釣られていればよいものを、ハリスを切るからフグ類は嫌われるのだ。

その後再び、全く釣れない時間が延々と続く。まさかの展開だ。南紀の一級磯、楯ヶ崎まで苦労してやって来たというのに、全く釣れない。
そんなとき、やっとウキが高速で沈む。すかさず合わせると大物の手応え。しかし、すぐにハリが外れてしまった。痛恨のフックアウト。すっぽ抜けか。

結構な手応えだったので、「やっぱり釣れるぞ!」とばかりに前のめりになるも、その後再びアタリが全くなくなる。

11:30、昼飯。2時間近く、キタマクラしか釣れない。おかしい。グレはいま難しいとはいえ、もう少し釣れてもいいじゃないか。やっぱりドン深の釣り場ではからっきしなのだろうか?
午後も同じくアタリはないまま時間だけが過ぎる。ウキを5Bにして深場を攻めるも同じく反応はない。磯際ではウキ下6〜7mでエサ取られるが何も釣れない。沖ではエサも取られず、アタリもない。
ウキ下を変えても、コマセを集中的に入れてもダメ。ポイントを2か所ほど変えて釣ったがダメ。
グレの場合、経験上コマセには2m〜4mくらいの浅場まで浮いてきて食うことが多いのだが、全然気配がない。
これほどアタリがないのも珍しい。これほどの海なら、何かしらのアタリがあるものだが。

ようやく釣れたのが小サバ。落胆。小サバなんて、どこでも釣れるじゃないか。ウキ下4m〜5mで小サバ。なんてぇことだい。

以降、午後5時過ぎまで何も釣れず。
最後はウキフカセを諦め、ルアー竿でミャク釣りをしたら、1投目で根掛かりして強引に引っ張ったら竿のトップガイドが折れてしまった。散々な一日。

5:25、終了。6時ごろから帰りの山道を歩き始める。行きは期待に胸を膨らませて意気揚々だったが、帰りは鉛のような足を引きずる。コマセを消費したので、行きに比べて荷物は6kgくらい軽くなっているが、心は100kg以上重くなっている。特に登り道が堪える。

山には鹿が多い。ここの鹿は、房総の鹿よりも警戒心が薄い。もちろん、人を見つけたらすぐに逃げるのだが、ある程度の距離を取ると、止まってこっちの様子をうかがっている。割と人が多く通るので、ちょっと慣れているのかもしれない。房総の鹿は一目散に逃げ去るものが多い。

6時半の日没頃、疲れ果てて駐車場にたどり着く。朝来たときと同様、私の車以外誰も停まっていない。どうも嫌な予感がしたのよ。こんな人気釣り場なのに、平日とはいえ、1台も車が停まっていないってのは。きっといまはあまり時期が良くないということを地元の人は知っているのだろう。

帰り道。沈んだ気持ちで車を運転する。まずは熊野市街に出る。日は暮れた。
途中、突然黒猫が現れて目の前の道路を横切った。急ブレーキ。危うく轢き殺しそうになるが事なきを得た。
しばらく走る。すると数100m先の道路に何かいる。そのまま進む。何かいるがぼんやりしている。車はおそらく、40〜50km/時の速さで走っていたと思う。
近づいてきて初めて、それが鹿であることが分かった。鹿は、道の真ん中で突っ立って、こちらを見たまま動こうとしない。
急ブレーキ!!
鹿は、20mくらいまで近づいたところでようやく事の重大さに気づいたのか、車から回避する運動を始めた。急ブレーキで停まった車の横を、鹿は走り去っていった。
2度目の危機一髪。本当に危なかった。鹿にぶつかったらこっちも無傷では済まない。

普段急ブレーキを踏むことはほとんどない私なのだ。いや、ブレーキを極力踏まないドライバーである。それが、わずか10分ほどで2度もの急ブレーキ。まぁ、猫も鹿も轢き殺さないで済んだのは何よりだったが、本当にいろいろツイてない一日だ。

19時過ぎ、熊野市内に着き、釣具店で明日のアミエビと配合エサを買い、銭湯へ行く。ネットで調べた「みしま湯」。400円。しかし、昔ながらの銭湯なので、シャンプーと石鹸を持参しなければならなかったのだが持っていない。
浴場に入ってから気づいたので、もうどうしようもない。4日ぶりの風呂なのに、髪も身体も洗わないわけにはいかぬではないか。
蛇口の前で呆然としたあと、浴場の周りを見回すと、誰かのだろうか、カゴに入ったシャンプー、リンス、ボディソープがある。湯船に入っている誰かの持ち物かもしれないが、湯船に入っている人はいない。ちょっと拝借することにする。髪と身体をササっと洗い、何事もなかったようにシャンプー、リンスとボディソープを元のカゴに戻す。

湯船に浸かる。気持ちいい。
さっぱりした。番台のおばちゃんは、すべてを見える位置に座っている。だが、もう恥ずかしいなんて言っている歳ではない。
脱衣所でしばらく体を冷やすために休憩する。その後外に出る。外は寒い。

スーパーオークワで明日の朝食用のパンと昼の弁当(半額に値引き)を買い、いつものように氷を2袋もらう。
今日は疲れたので外食にする。台湾料理屋へ。もう9時。
昼ここに来たときはセットメニューが充実していたのだが、夜はセット定食あるが、1080円税抜きと高い。仕方なく回鍋肉丼を頼むが、これが失敗。863円もするのに、汁も何もついていない貧弱な丼だった。今日はとことんツイてない。

10時過ぎ、井内村農村公園に戻る。
期待した楯ヶ崎の磯釣りで、キタマクラと小サバのみというまさかの最貧釣果。
長い一日だった。

4月17日水曜日。
朝7:40起床。8時過ぎ出発。
今日は、キャンプしている公園のすぐ近くに車を停め、そこから山の中に入って山道の果てにあるであろう磯で釣ることにする。道も全く分からないが、とにかくここの山道の入り口に「磯釣り注意」という看板があるのだから、山の果てに磯場が広がっているに違いないのだ。そして、この辺りに路駐している人たちはみんな釣り人なのである。
支度をして山に入る。登山道のような山道を歩く。全然海の気配はない。
アップダウンはあまりない。途中から急激な下りとなり、海が近づいているのではないかと思わせる。そして、15分くらい歩いた後、ついに海を見下ろすところに出た。ここからも岩場を急降下し、無事磯に到達。
遠くの磯の上に一人だけ釣り人が見える。だがそれ以外はいない。先日は車が4台くらい停まっていたが、今日は車が1台しか停まっていなかったので、その人だろうか。車の台数だけ見ると、一級磯の楯ヶ崎よりも人気じゃないか。

9時頃からコマセなしで実釣開始。コマセは解凍中。
釣り座から右側に小さな入り江があり、前が外海。先端の海に突き出た岩は足場が良くないうえに、波をかぶっていて危ない。左手に流れが入り込むちょっとしたミゾとなっているが、そこは白くサラシとなっている。
まずはこの左側のサラシを釣る。ウキはB。ちょっと荒れているがBで行けるだろう。
しかし釣れない。エサ取りはいる。少し外海側の沖に入れてみるがダメ。コマセを撒き始めるも、釣れない。
仕方なく、少し左の平らな磯に移動してそこで釣ってみる。こちらは波が激しくないので釣りやすい。
やっとウキが沈んでキタマクラ。昨日の楯ヶ崎にもいたが、ここにもキタマクラが多いか。こいつらがエサ取りだろう。それ以降はまた何も釣れない。
10時過ぎ干潮で、もう上げ潮に入っている。
ここも釣れないので、右の入り江に移動。もう昼を過ぎてる。
入江の真ん中あたりにコマセを投げ込み、仕掛けを入れる。ようやくウキが沈んだと思ったら全然暴れない。何かと思ったらハコフグだった。
房総で釣ったものとは色が違う。小型だが、れっきとしたハコフグだ。

その後、やっとコマセが効いてきたのか、コッパメジナが連発する。しかし大物は来ない。
再び正面の外海に戻って、サラシがさらにきつくなってきた磯際数mに入れると、ここでもコッパが連発。海が荒れてメジナの活性が上がって来たように思える。
イスズミ。大きくはないが引きはいい。
その後もメジナがかかるが、サイズアップはしない。
雨が降ってくる。そしてすぐに激しくなる。心が折れそうになるも続ける。
20cmくらいの今日一番のメジナが釣れるが、引き上げるときに落ちてしまった。ハリ掛かりが浅かったか。残念。

その後はいくら頑張っても釣れなくなる。満潮が近づき、さらに波が高く激しくなり、ウキが暴れ釣りが難しくなる。
キタマクラが釣れるが、それっきり。最後は雨と波で苦行状態。南紀は雨が多い。日本有数の多雨地域である。
17時終了。雨の中山道を滑りながら登り、車を置いてある道路まで戻る。

山崎運動公園でネットをつないで、明日どうするか考えるが決まらず。とりあえず、串本以来、大型のグレは難しそうな雰囲気だ。チヌは釣りたいが、それも難しい。
だが、ここでの釣りは切り上げよう。

また雨なので自炊する気がなくなり、夕食は再び「まさる食堂」。19時過ぎに行ってトンテキ定食。またまた20:30頃までベルセルクを読む。面白い。

井内村農村公園に戻り、テントで就寝。ここもテントを立てっぱなしだが、全く問題はない。日中でもほとんど訪れる人はいないようだ。交通の便が悪く、山に隠れている場所なのだ。
23時までに寝る。

4月18日木曜日。
今日は釣りをせずに熊野観光をして、さらに北に移動することにする。
朝から晴れ、風も弱く、最高の天気。
起きたのは9:20。朝食、お通じ、洗顔。3泊したこの公園ともお別れ。
テントを畳み、10:30頃出発しようとしていると、ここにウォーキングに来た体のおじさんから声をかけられる。
「ここでキャンプしてたの?」
「はい」
「ここは原発が建つ予定だったんだよ」
「そうなんですか?」
「住民が反対して(建設が)なくなったんだけどな」
「そうですか」
「熊野はイタリア(のどこかの都市)と姉妹都市でな、この公園はイタリアと一緒に造ったんだよ」
「へぇ」
「ここの水は、飲めるよ」
「えっ?飲めないって書いてあるけど・・・」
「いや、飲めるんだよ。近くの井戸水みたいだぞ」
「そうなんですか・・・」
「ここ夜、なんか出なかった?」
「なんかって?」
「この辺りで、結構死んでるんだよ。5人くらい自殺したんだ。一人は高校生で、トイレの中で死んでたんだよ」
「本当ですか」
そのほか、釣りとか旅とかの話もし、おじさんは話し相手を探していたかのように次々に話し続ける。私はそろそろ行かねばならないので、こちらから話を切り上げる。
思えば、国内の天幕一人旅で話す相手といえば、公園に来ているおじさんばかりだ。要するに、公園で野宿している私の行動に興味を持つのは、おじさんばかりということである。

熊野市内に向かって車を走らせる。まずは世界遺産の熊野古道、松本峠を歩くことにする。峠登り口近くの駐車場に車を停め、山道を登り始める。
なかなか急な上り坂だ。途中から古風な石畳の道になる。これぞ古道の風情だ。江戸時代のものらしい。
誰も歩いている人はいない。坂道の途中で、道をほうきで掃いているおじさんがいた。古道を守る会の人だろう。
松本峠には大きめの地蔵が立っている。
ここから鬼ヶ城の方に向かう山道に入る。
途中の東屋風の立派な見晴らし台では、3人のおばさんが弁当を広げて井戸端会議ならぬ、展望台会議をしていた。ここから七里御浜の美しく湾曲する白砂の海岸線がよく見える。絶景なり。
鬼ヶ城跡は、こじんまりとした広場である。
この下には桜通りがあり、桜の木が並ぶ山道には木のテーブルとベンチが設置され、白人の女性と日本人の男性が向き合って話をしている。女性は手に大きなカメラを持っていた。
確かに、非常に絵になる景色がそこには広がっている。鮮やかに青く光る熊野の海と、昨日見た磯崎港が眼下に展開している。海の美しさよ。陽に照らされて青く輝く海を見ると、人間はなぜ「美しい」と思うのだろうか?これは私のDNAに刻まれた原風景なのだろうか?
海と並び、桜の樹々。そしてもう花は大分散ってしまったが、青い海と桜の樹々が共存すると、さらに美しさが増幅する。

山を下りると、鬼ヶ城の駐車場に飛び出た。
Tシャツで十分なくらいに暑い。

花の窟屋を見て、オークワで熊の名物「さんま寿司」と「めはり寿司」を購入。腹が減った。もう14時。山崎運動公園の駐車場で、お湯を沸かしてインスタントみそ汁とともに食べる。美味い。
「めはり寿司」は、高菜を巻いたおにぎりのことである。

これで熊野観光も終了。これから海沿いを北上し、志摩に移動する。
14:30出発。
ナビは有料道路を通ろうとしたので、それを無視して下道で行く。休憩したコンビニのおばさんに、志摩市への行き方を聞く。ちょっと道が悪いかもしれない、とのこと。
国道280号〜260号で海沿いを志摩市に向かう。道は全然悪くない。
18時ごろ、大王崎に着き、ネットで調べておいた城山公園に行ってみるが、高台にある公園で、近くまで車を乗り入れられず、野営は出来ない。
その後いくつかの公園を周るが、いずれも「キャンプ禁止」の看板が立っている。
ようやく、「阿児ふれあい公園」にたどり着き、ここには「キャンプ禁止」の注意書きはなかったのでここで天幕を張ることにする。もう20時。疲れた。

駐車場は奥行きがあり、広い。お湯だけ沸かして夕食。昼に食べきれなかっためはり寿司。美味い。
ネットはつながる。ちょっと街なかにある公園で、隣接して文化会館のような建物があり、広々としている。一方で子供の遊具がある広場はそれほど見通しがきかないので、目立つことはなさそうだ。
遊具のある広場はちょっと傾斜しており、なんとか平らそうな部分を見つけてテントを建てる。
子供の遊具があるということは、明日の朝は子供連れの親子がたくさん来そうな予感である。
22:30頃就寝。

4月19日金曜日。
朝早くから公園には多くの子どもたちの声が聞こえてくる。私のテントのすぐ近くに、公園の遊歩道が通っており、そこを歩いていく子供たちの声だ。中には私のテントを発見し、「テントかよ!」と笑ったり、何かをテントにぶつけて来た輩もいる。ま、大抵は無視して友達同士で話しながら歩き去っていくのだが、そっとしておいてほしいものである。
どうやらこの公園は、通学の中学生たちの通学路になっているらしい。外をチラッと確認すると、赤や青のジャージを着た中学生に見える子供たちが続々と歩いている。とんでもないところにテントを建ててしまったものだ。
そんな喧騒の中、眠くて寝ていたのだが、9時頃に暑くなり起きざるを得なくなる。
さすがにこの公園ではテントを立てっぱなしにすることは気が引けた(人がたくさん来るので目立つ)ので、テントを撤収する。

朝食後、浜島港へ。志摩から北は、磯場がグッと少なくなり、チヌ場がメインとなる。今日は堤防でチヌを釣りたい。
浜島港は浅く、釣り人も少ない。偵察したところでは、フグのような小さな魚がヘチ際に見える。外海側は少し浅いが、悪くはなさそう。しかし、釣り人がいないのはいいサインではないので、別の場所に行くことにする。
大王崎にある波切港へ。
海に突き出た広々とした突堤の先端で、2人組の男女が釣っている。見ているとベラやコッパメジナが釣れていたので、まぁ、今日はゆるりとここで釣ってみよう、ということにする。
狙いはもちろん、チヌ。

先端の左側、内海側で釣る。12時ごろ開始。
水深は10m以上あるので、チヌは難しそうだ。まずはウキ下3〜4mでコマセを撒いて釣る。10mくらいの沖、ウキはB。
何のアタリもない。時々エサは取られるが、釣れる気配は全くない。
2人組が帰ったので、先端に陣取る。目の前の船道で釣る。
チヌ狙いでウキ下9〜10m。軽い仕掛けでは落ちないので、ウキを5Bに換える。
アタリはなかったのだが、引き上げるといつの間にかカサゴがハリを飲み込んでかかっていた。全然ウキは動かなかった。エサを飲み込んでじっとしていたのだろうか。カサゴが釣れるということは、底が釣れているということなのでいい予兆だ。
しかし、その後アタリはない。

しばらくして、始めてウキが沈んだ。ベラが釣れる。ベラも底にいるようだ。
その後はまたダメ。ウキ下を7〜10mくらいに色々変えてチヌを狙うがダメ。

一人のおじさんがやって来て、いろいろ話す。このおじさんは大阪方面から来たらしく、チヌ釣りに詳しい。私が釣るのを見ながらつぶやく。
「チヌ出そうやね」
「そうですか?」
すると、ウキがモゾモゾしている。おじさんによれば、チヌのアタリだという。だが、まだくわえてはいないようだ。
「ここで合わせていいですか?」
と私はおじさんに聞いてしまった。
「どうかな・・。エサをどのくらいの大きさで付けてんのか、分からんからなぁ・・・」
と歯切れが悪い。
明確なウキの動きがないので私は待つことにする。が、何度かモゾモゾしたあと、結局動きはなくなってしまった。やっぱりダメもとで合わせるべきだったか。

おじさんが去った後、もう1匹カサゴ(小)が釣れる。こいつもウキに動きがないままエサを飲み込んでいた。だがカサゴは口が大きいため、エサを飲み込まれてもハリが取れないことはない。リリース。

18時くらいまで釣って、カサゴ2にベラ1のみ。毎日厳しい釣りが続く。
波切港を出て、一旦阿児ふるさと公園に戻る。しばらく明日からの予定を立てるため、ネットで釣り場情報や観光情報、無料キャンプ場情報を検索する。

20時前、食事に出る。今日は外食で済ませる。鵜方駅横のビルに入っている食堂は閉まってしまっていた。
ラーメン屋で酢豚セット。なかなか良い。キムチが食べ放題だったので、大量にキムチを食べる。
食べ終わると21時過ぎ。他に公園はなさそうなので、今日も阿児ふるさと公園でテントを張ることにする。
23時ごろ就寝。

4月20日土曜日。
今日は土曜なので、中学生たちの登校はなく、朝安らかに寝ていられる。
8時頃起きる。朝食、クソ、洗顔。
今日は連合のイベントが公園横の阿児アリーナでイベントがあり、9時頃から公園に車がやって来て、広い駐車場が見る間に満車となる。
9時過ぎ、アリーナ横にあるはずの志摩市図書館に行ったが、改装工事のため閉館している。釣り場ガイド本を閲覧しようと思ったのだが諦める。

今日は志摩市の観光をすることにする。
車で横山展望台へ。
ビジターセンター横に車を停め、ここから道を登っていくと、展望台がある。ここからの英虞湾の入り組んだ海岸線は秀逸の風景である。
海に多くの島が浮かぶ、「多島美」瀬戸内海の風景に似ているが、ここも島も多いが、木の枝のように亀裂の入ったようなリアス式の海岸で、島というよりも島状の陸地が特徴である。
天気が良いのが、青海と緑の陸のコントラストを鮮やかに浮き立たせる。
今日は土曜だけあって観光客が多い。
ここからさらに奥に遊歩道が続いており、いくつかの別の展望台がある。絶景だ。
私は、身体を動かしたい欲求もあり、さらに奥に進む。ここから先は山道となり、横山山頂、さらに浅間山山頂まで行ける。30分くらいで、一番奥の浅間山山頂に到達。山頂の脇に、別の展望台がある。ここまでくると別の角度からの英虞湾となり、また一興である。
ここには大勢の壮年ハイカーたちが休憩していた。
私を待っていたかのように声をかけてくる。
「すみません、写真撮ってもらえんやろか?」
「いいですよ」
私が写真を取ってあげると、彼らは口々に話しかけてくる。どこから来たのか、どちらから歩いてきたのか、あれが伊勢志摩サミットの会場になったホテルだよ、とか、風景の説明までしてくれた。地元の人たちのような、えらく元気のいい人たちだ。そうしてひとしきり話した後、賑やかな一行は去っていった。

ビジターセンターに戻ったのは12:45ごろ。急登はなかったが、いい運動になった。
ビジターセンターでは伊勢志摩地方の自然の展示がしてある。それを見たあと、係の人に「VRやってみますか?」と言われたので、やってみる。
ゴーグルをかぶって見るヴァーチャルリアリティ映像である。360°のドローン映像が展開する。伊勢志摩地方の海とリアス式海岸を空撮した映像。自然が美しいので、本当に爽快な気分になる。
それにしてもVRはすごい。360°、後ろを見て下を見ても上を見ても映像があるのだ。以前、神奈川県横須賀市の「戦艦三笠博物館」で、日露戦争の各場面を再現した映像で体験したが、360°の映像は驚きだ。

13時過ぎ、ビジターセンターを後にし、食堂ふじのやへ。ここが最高。一人のおばさんが切り盛りしているようで、「母さん定食」というのがたった600円で、おふくろの味的お惣菜定食。アジフライ、鶏の唐揚げ、野菜、卵。味噌汁も手作り感あり。さつまいもとさやえんどうという関東ではなじみのない具が入っているのだが、美味い。だが、いい。これで600円って。こんな食堂が全国各地にあればいいのに。貧乏旅行の強い味方。
内装もごちゃごちゃしていて、店の外にも花や鉢植え、それに奇妙な置物などが置いてあり興味を引かれる。
もう一度来たいが、今日で移動だ。もっと早く来ていれば・・・。

その後、昨日釣った波切港に立ち寄ってみる。昨日話しかけてきた物知り風のおじさんは、今日チヌ釣りをしてみようかと言ってたので、いるかどうか確認したが、いないようだった。釣り人は多い。エギのイカ釣り師が多い。

大王埼灯台へ。近くの駐車場はすべて有料(300円)なので、港に車を置いて歩く。灯台は坂道を登ったところにある。
灯台にはカップルや夫婦、おばちゃんグループなどの観光客が多い。ちょうど15時なので、訪問ごろの時間なのだろう。
灯台上に登るとまたまた180°の水平線。真下にはなかなかいい磯があるが、ハナレになっているので渡船でしか行けなさそうだ。
灯台に併設されているミュージアムも見る。灯台の構造、レンズの種類、発光の種類などを勉強する。

崎山公園へ。一昨日初めに野営できないかと見にきた公園である。これも高台にある。その前に波切神社でお参り。絵馬代わりの貝殻に参拝者は願い事を書き込んで結んでいる。崎山公園からは、波切港の全貌を俯瞰で眺めることができ、これまた素晴らしいビューポイントだ。波切港は、真っ直ぐな堤防、折れ曲がった堤防が何本もある巨大な港である。

これにて志摩の観光も終了。16時過ぎ。
今日は何としても風呂に入りたい。ここ3日間入っていない。志摩市内で銭湯を探すが、ない。地元の人に聞いてみるが、大きなホテルの日帰り風呂しかないようだ。これらの風呂はボッタくりで、どんだけ高級なホテルか知らないが、1050円とか1200円とか1300円とか、とにかくバカ高である。
風呂のない志摩にいても意味がないないので、鳥羽に移動することにする。
今晩は、2年前の日本一周で野営した、市民の森公園でテントを張ることにする。朝6時からラジオ体操の大音量で叩き起こされたところである。あそこなら大丈夫だろう。
鳥羽まではそれほど遠くない。ちなみに、伊勢志摩地方と呼ばれる地域は、伊勢神宮の伊勢市、それに鳥羽市、志摩市が含まれる。

スーパー「ぎゅうとら」(牛と虎)でコメなどを買ったあと、鳥羽へ向かう。18時前。
わずか30分くらいで2年前に野営した市民の森公園に到着。変わってない。
ここもネットがつながったので、早速近くの銭湯を調べると、「かんぽの宿鳥羽」に日帰り入浴可ではないか!しかも520円。これだ!
早速向かう。10分くらいで着く。
フロント横に発券機があり、そこで風呂のチケットを買う。フロントもロビーも広々とし、非常に清潔な、高級ホテルと言っても過言ではないかんぽの宿である。
7時頃から30分間、ゆったりと風呂に入る。シャンプーも石鹸もある。最高。

ホテルの売店でお土産を買う。伊勢うどん4人前。鳥羽でも志摩でもないが、まぁ、伊勢も近いからよかろう。
ロビーで身体を冷やすためにしばらく休憩する。ソファーがたくさんあってくつろげる。宴会場では社員旅行か、団体がカラオケで騒いでいる。仲居として働いた瀬戸内海のホテルを思い出す。団体の宴会は、自分が居酒屋の店員になったように感じたものだ。
「おーい、にーちゃん、酒くれ酒!」
的な。

公園に戻る。20:30ごろから夕食作りを始める。カレー、缶詰、トマト、サラダ。レトルトカレーが激辛で驚いた。普通一番辛いのは「大辛」という名称だと思うのだが、このカレーはよく見ると、「激辛」と書いてあった。辛すぎるがなかなかイケる。米をいつも炊きすぎてしまうのだが、カレーでも1合で十分だということを学ぶ。
2年前は駐車場で飯を作っていたら、通報されて、パトカーが来て職務質問されたが、今日は警官のお出ましはない。

後片付け後、22時前にテントを建てる。
相変わらず野営には最高の公園だ。広々とした芝生広場の片隅、土が柔らかいのでペグの刺さりはいいし、下草もあるのでクッション性も抜群。申し分のないテントサイト。キャンプ場じゃないけど。

23:20頃就寝。

4月21日日曜日。
朝早くから公園には元気な老人たちが話しながら散歩するので、否応なしに起こされる。これは2年前も同じだった。
そして今日も6時過ぎから大音量でNHKラジオが流れ、2年前の夏と同じようにラジオ体操が始まった。うるさいがなんとかテントの中で寝ようとする。
6:40にはラジオ体操が終わり、静かになる。
7:40ごろ起きる。朝食、クソ、洗顔。ここのトイレは初めてペーパーがなかった。しかもトイレ内が散らかっている。掃除する人が休んでいるのだろうか。

テントを畳み、9時前に出発。今日は伊豆半島まで長躯走る移動日。
伊勢道、伊勢湾岸道、新東名道でさらに伊豆縦貫道(無料)から伊豆道路(200円)。伊東に13:30頃着。さすがに高速なら早い。

途中、前方に雪をかぶった富士山が見える。まるで天空に浮かんでいる。近くで見る富士山は迫力が違う。

台湾料理屋で昼食。何度も言うようで恐縮だが、台湾料理屋というのはセットメニューが豊富で安い。ここはご飯もお代わり自由。ラーメン+飯セットがドリンク付きで600円。安すぎる。
私は600円のランチ定食、鶏肉黒コショウ炒めを頼む。これは「平日メニュー」となっていたのだが、日曜の今日もOKだという。ご飯をお替りする。とても良い。

14:30頃、伊東市図書館着。伊東の街は都会だ。坂が多く、ごちゃごちゃしていて割と細い道が多い。
図書館で伊豆の磯釣りガイド本を閲覧する。良さげな磯をピックアップしてそのページをコピーしたかったのだが、伊東市民か、伊東市に勤めていないと登録できないそうで、本を借りることもコピーすることもできなかった。仕方ないので紙に磯の情報をメモする。

その後、課題の公園探し。小室山公園はつつじまつり開催中で人が多く、しかもこの時期には駐車場が有料となるとのことでダメ。
だが、次に行った富戸公園は、これが最高だった。県道沿いにあるのだが、道から少し上がったところにあるのでテントを張っている様子は人に見られないし、なにより、「キャンプ禁止」の表示はない。広々とした芝生が広がっていて、小さなトイレと水道もある。穴場で訪れる人も少なく、せいぜい夕方の犬の散歩か忙しい勤め人の母と幼い子くらいなものである。これは掘り出し物だ。
何と言っても、明日から行こうと思っている富戸や城ケ崎の磯からすぐである。こんな夢のような公園があるなんて。私のような野宿キャンパーに最高の贈り物である。

陽が傾いてくる。自炊のため、買い出しに出る。県道109号沿いには、スーパーや食堂、いろんな店があり、栄えている。城ケ崎海岸駅も近く、観光客でにぎわうのだろう。
東急ストアがあったので入る。夕方5時頃だったが、すでに値引きが始まっており、良い。豆腐、メンチ、サツマイモ天、サラダに明日の昼食用弁当まで購入。
この店は夜7時閉店とのこと。早く閉まるから、値引き開始の時間も早いのだろう。

その後釣具店へ。配合エサ、アミエビ4kg、オキアミを買って2300円もした。
釣具店の人に最近のこの辺りの磯の釣果を聞いてみると、南紀同様、近頃メジナは型が出ていないらしい。きっと季節なんだろう。冬の寒グレは型がいいのに違いない。
そしてやはり深場はダメ、とのこと。深場の磯より、ゴロタ的な浅場の方がいい型が出る可能性が高い、という。これまた南紀と同じだ。ただ、「今年は水温が高く、深場ではエサ取りが多い」という理由だった。そうなのかしら?

公園に戻る。6時過ぎ。公園の片隅にテントを建てる。明日どの磯に行くかしばらく検討する。
7時半から夕食作り。マーボー豆腐、メンチ、さつま天、サラダ、ご飯一合。ご飯は抜群にうまく炊けた。

テントの中で、明日は「ツバ根」という富戸の磯に行くことを決める。ここからすぐ近い。
午後10時就寝。

4月22日月曜日。
6時過ぎ起床。この富戸公園は静かなのもいい。
そういえば、昨晩遅く、公園に軽自動車がやって来て私のインテグラの横に駐車し、そのまま運転していた女性は後援を去っていったのだが、その軽がまだ停まっている。
朝食、クソ、洗顔。
テントをどうするか迷ったが、ここに来る人も少ないようだし、建てたままにしておくことにする。3泊はする予定だ。

6時半過ぎ出発。
少し迷ったが、ガイド本に書いてあった駐車場所を見つける。そこは狭い道が網の目のような配された住宅街で、邪魔にならないように端に寄せて駐車し、磯に降りていく。
「ツバ根」には誰もいない。あれ?ここもダメか?
7:30ごろから実釣スタート。いつものウキフカセ釣り。
いきなり足元から深いようだ。5〜6mはある。磯の岩は六角柱のような柱状節理で、タイルの模様のような地面となっている。
釣具屋のおじさんが言っていた通り、エサ取りが激しい。確かにエサ取り地獄と言ってもいいくらいの瞬殺ぶり。
コマセを撒いてもエサ取りの姿は見えない。だがサシエサはすぐに取られる。磯際も沖もダメ。沖にも相当の密度でエサ取りがいる。こりゃあ、串本、熊野、伊豆、全部同じ状況か。「グレは深いところダメ、今は型が出ない」

ほどなくブダイ釣りのおじさんがやって来て、話す。気さくな人だ。彼は私の近くで竿を出す。ブダイは海草をエサにしているのだと言うが、エサ取りが多いと嘆いている。フグ類は海草も食べるので、おそらくフグだろいうという。

私もエサ取りばかりでらちが明かないので、左の切り立った磯、テラス状のところから釣ってみる。やっとベラが釣れる。もう9時。なんとか坊主は回避。
その後、磯の右側に移動して釣ってみる。やはりエサが瞬殺される状況は同じ。すると、ウキが高速で沈んだ。大物かっ!?と合わせたら、フグだった。やはりエサ取りの主役はこいつか。

元のポイントに戻る。ウキ下は2.5〜3.5mくらいでいろいろ試すがダメ。

あまりにエサ取りが激しいので、釣り方を変えることにする、。久々の胴突き。5号のナス型オモリを一番下につけ、3本針で磯際底を狙う。
すると、ベラが3匹釣れる。昼食後、再びウキ釣りに戻る。
午後も苦戦する中、午後2時前。
少し沖に入れていたウキがついに沈んだ。大物の手応え。
メジナだ。磯の下の段まで降りて玉網で取り込む。やった!30cm。
やっと苦労が報われた。

私の釣る様子を見ていたブダイ釣りのおじさんが言う。
「干潮から上げ始めているから、これからいいかもしれないよ」

よっしゃあ、勝負はこれからだ!とばかりに仕掛けを入れるが、エサ取りの激しさは相も変わらず。午後になり海が澄んできて、エサ取りたちが露わに見えてくる。すごい数の小魚がコマセに集まってくる。フグ、キタマクラ、ベラといったところか。
ウキフカセはとにかく苦行状態。エサ取りを回避するすべがないほどにエサ取りの数が明らかに多い。

その後再び胴突き釣りをすると、キタマクラが入れ食いとなる。ここはキタマクラの巣だった。多分、エサ取りの主人公はこいつ等だ。

キタマクラばかり釣っても仕方ないが、かといってウキ釣りも辛い。キタマクラを連続5匹釣ったあと、ウキ釣りに戻り、仕掛けを回収しようとしたら、なにか重い魚がかかった。なんとカワハギ23cm。さっき釣ったメジナとカワハギを今日の夕食にしようかと迷った末に、結局どちらもリリース。

そんななか、白いストライプのような縞が尾びれに入った大魚の群れがコマセに集まって来て、食べている。チャンスとばかりにこの魚たちを釣ろうとするが、全く釣れない。なんだろう?

16:50、エサ取りにやられっぱなしのまま終了。
ブダイ釣りのおじさんも、何も釣れないまま17時ごろに帰っていった。

車に戻ると、なんと駐車違反の黄色いシールがフロントガラスに張られているではないか!!
切符には「放置車両」と書かれている。いや、放置車両じゃないって、分かるだろ!?
ここは路駐ダメなのか?釣りのガイド本に「ここなら停めても大丈夫」と書いてあるのに。駐車禁止の標識もない。
だが、すべては言い訳か。こんな住宅街の狭い道に路駐したら、まぁ普通はよろしくはない。きっと住民が通報したのだろう。悔しいが反論の余地はあまりないように思える。
釣りもいまいち、それに追い打ちをかけるこの駐車違反。いったい罰金はいくらだろう?久々の違反だ。これで最近はゴールド免許な私もブルーに逆戻りか。

愕然としたまま、もう二度と富戸の磯には来るまい、と思いながら、車で公園に戻る。

今日も東急ストアで夕食の餃子とサラダ、明日の昼食用弁当を買う。さらに釣具屋でエサを購入。

伊豆もダメか・・・。
そんな気持ちを抱えながら20時夕食。

テントは荒らされた様子もなく、朝のまま建っていた。
22時過ぎ就寝。

4月23日火曜日。
朝6時過ぎ起床。毎日8時間くらいは寝てるが、テント生活は長くなるにつれ身体がツラくなってくる。何と言っても地面が固いので身体が痛むのだ。数cmのエアマットではこの硬さは吸収しきれない。

6:40出発。今日は城ケ崎の磯に行く。きちんとした駐車場があるからだ。もう富戸の磯には行かない。駐車違反が重く心にのしかかる。
始め変なフラワーランドという施設の駐車場に行ってしまった。「あれ、これかな?」と迷ったが、入らなくてよかった。
何とか門脇灯台の駐車場に到着。誰も停まっていない。この辺りの磯もいまは釣れない時期なのだろうか?
駐車場から森の中の城ケ崎遊歩道を10分〜15分くらい歩いて、「陸の平根」という磯に着く。その名の通り、割と平たい、広々とした磯である。しかし、実際には磯の岩はかなりデコボコしており、歩きにくい。
超人気磯だと聞いていたが、7:30、先行者は左の入江側に一人だけ。彼は本命の釣り座である沖向きの先端部ではなく入江側に入っている。浅場狙いだろうか?
罠かもしれないと思いつつ、私は難なく先端部に釣り座を構える。

8時頃実釣開始。
全くアタリなく、エサ取りもいない。昨日はあれほどエサ取りがいたのに、不思議だ。しかし、しばらくしてエサ取り的小魚は海にたくさんいることに気づく。コマセの周りが茶色の魚で埋め尽くされるのだ。フグかキタマクラか。しかし、ハリにつけたサシエサは取られない。どういうこと?
しかし何も釣れない。とにかく釣れない。磯際も沖も、良いポイントと言われている左のハエ根の際も全然アタリがない。たまにウキが沈むが、エサ取りのようで、エサをくわえて走るのだろうが、合わせてもハリ掛かりはしない。
4時間釣って何も釣れない。見た目は釣れそうな場所なのに。やっぱり罠だったか。

昼頃、一つ右の釣り座に移動する。
際を釣ったら、ようやくエサ取りが釣れる。ネンブツダイ。ウキが消し込まれた。
その後はまた何も釣れない。左のポイントとほぼ同じ状況。
たまりかね、昨日キタマクラが入れ食いだった胴突き仕掛けに変更。これまた何の反応もない。昨日とはえらい違い。
その後、ルアーも試す。今日もコマセの周りには、ボラのようなスズキのような大魚がコマセを食べに来ているのが見えるからだ。しかしルアーにはなにも食いつかない。

ウキフカセ釣りに戻り、午後3時。やっとウキが沈み込み、合わせると引きが強い。メジナかと思ったが、サンノジだった。27cm。やっと今日初めて釣りを楽しんだ気がする。ネンブツダイ1匹だけで終わったらどうしようかと背筋が寒かったが、これで一安心。
サンノジがヒットしたあたりを重点的に攻めるが、時々ウキは沈むものの、ハリ掛かりしない。おそらくエサ取り魚だろう。

そして5時前。
左の磯際のサラシから、大きな銀色の魚が水面上に飛び出した。これを合図にしたかのように、真下の磯際に突然無数の魚が現れ、みんな右に向かって一目散に猛スピードで泳いでいる。よく見ると結構大きな魚の群れである。イワシのような小魚ではない。なにか青物だろうか?
状況を推測するに、サラシでヒラスズキ的な魚食魚がジャンプし、これに追われていた魚たちが逃げ泳いでいた、と思うのだが、よく分からない。
野生の生死を争う生き物たちの活動を、真下に眺める。凄まじい光景である。とにかく魚の数が半端ない。いわゆる「ボイル」と言っても過言ではなかろう。
こいつ等釣れないものかと仕掛けをその一団の中に入れてみるが、エサにかまう魚はまったくいない。
これは追いかけるヒラスズキかなんかを狙うべきだと、ルアー竿を準備したが、あっという間に魚の群れは泳ぎ去り、それを追っていたと思われる大魚の姿は見えずじまい。
魚たちが去った後、念のためにルアーを投入してみるが、反応なし。

こうしてほとんど釣れないまま17:40納竿。
ネンブツダイ1にサンノジ1のみ。なんという情けない釣果であろうか。
メジナ釣りのメッカ、伊豆の磯まで来て、この体たらく。時期が悪いという言い訳はしたくない。

重い足取りで駐車場に戻る。6時過ぎ。門脇灯台の先にあるという「カドカケ」という人気磯を偵察したかったが、どうもかなり歩くようなので途中で断念。
18:30駐車場を後にする。一日500円なら、まずまず良心的な値段。

帰り道も迷う。城ケ崎の住宅街の道は、坂が多く細いうえに入り組んでいる。
東急ストアにたどり着いたのは、閉店間際の18:45。50%オフだった「鶏肉と野菜のガーリック炒め」を買う。フライパンで炒めるだけ。

公園に戻り、20:30夕食。ここの公園は何とかWiFiがつながる。以前勤めていた会社に問い合わせることがあり、元同僚としばらくチャットする。

テントに入る前、テントに何か貼り紙がしてあるのに気づく。ライトを当てて書かれている内容を確認する。
「公園内キャンプ禁止なので移動してください」

ガーン!!やっぱダメなのか。委託を受けて公園を管理する業者のような名前が書かれている。
もう23時である。今日これから移動はあまりに酷だ。「一晩見逃してください」と祈りつつ、今日はこのまま寝させてもらうことにする。
明日の朝撤収か・・・。
23時就寝。

4月24日水曜日。
朝6時起床。催促が来る前に早く撤収しないと。
速攻でまずテントを畳み、クソして朝食、洗顔。まだ7時にもなってないが、3泊した富戸公園を後にする。ここは良かった。
だが、よく考えると、1日目や2日目で気づかれなかったのは不幸中の幸いだ。早い時期に禁止勧告を出されていたら、また浮浪者になるところだった。なにしろ、城ケ崎の釣りの拠点としては、最高の場所なのだ。
実は、この公園に3泊できたというのは、最高の結末なのである。というのは、今晩から、伊東市が運営する無料の「青少年キャンプ場」を2泊で予約しているのである!なんというつながりの良さだろう。

とりあえず伊東市街へ。まずは無料キャンプ場を運営する伊東市の体育センターへ。7時半ごろ着いたが、まだ駐車場にロープが張られており、中に入れない。仕方なくファミマの駐車場でネットをつなぐ。
8時過ぎにセンターに行くと、駐車場は開いていたので入る。8時半にセンターは開くとのことなので、降車の中で待機する。雨がパラつき始めている。
すると、センターの従業員らしいおじさんに声をかけられる。
「キャンプ場予約してる人?」
「はい、そうです」
「いやぁ、千葉の人って聞いてたけど、宮城ナンバーだからさぁ」
と言って笑う。千葉から来る人間がキャンプするということが知られているらしい。
8:30にキャンプ場の受付。今日から2泊。12時から使用、と伝えてあったが、係の女性が親切で、前に使っていた人はもう昨日出たので、これからすぐ今から使ってもいい、というではないか。実はこのキャンプ場、毎日一組のキャンパーしか受け入れていない。
それはありがたい、とお願いする。この女性はとても気さくな人で、「車、インテグラですか?いいですよね。軽くて走る」と車に詳しいような口ぶり。女走り屋だろうか?
見たところ40代か。インテグラとかプレリュード世代なのかもしれない。
「インテグラ、知ってますか?」
「もちろん」

こうしてキャンプ場の入口のカギやら物置のカギやら一式をもらい、キャンプ場に向かう。
キャンプ場は市街地から少し離れている。山を登ったところにある。15分くらいで到着。雨が降り始めている。
入口の南京錠がなかなか外れず、センターの例の女性に電話して確認すると、使っているカギが違っていた。トホホ。
キャンプ場は、林の中にちょっとした草地を作ったもので、炊事場や水道、トイレが設置されている。これで無料なら最高だ。
早速テントを建てる。広いサイトの片隅に立てる。独り占め状態。なぜ一度に一組しか使えないのか、不思議である。いろいろ管理が大変なのはわかるが、貧乏キャンパーのためにもっと開放すればいいのにと思う。
雲行きが怪しいので早めに建てねばならない。すでに雨がポツポツ来ている。

テントを建て終わり、まだ9時半。今日の予報は雨なので、釣りは難しい。伊豆でも釣果が上がらないので心が折れかかっているのもある。
山を下りてまず図書館へ。磯釣りの本と堤防釣りの本を閲覧する。明日は波が高そうなので堤防で釣ろうと考えている。
次に銭湯へ行くが、14時開店とのことでまだ開いていない。伊東は温泉町だけあって、昔ながらの銭湯がまちなかにたくさん点在している。

釣具屋でオキアミ、アミエビ、配合エサを購入。ここのおじさんと話し込む。今日は時間がある。伊豆のメジナ釣りについて色々聞いてみる。
おじさんは伊豆の磯で長年釣ってきたベテランらしく、いろいろ教えてくれた。彼の話の概要は以下。
・いまでもうまくやればメジナの良型は釣れる。エサ取りで釣れないなんてことはない。エサ取りなんて、年中いるだろ?
・深場で釣れないなんてウソ。ゴロタ的浅場がいい?そんなことはない。
・伊豆の磯は、深場を攻めなければならない。ウキは3mくらい沈めて、ハリス2mでウキはその上1mに固定(よってウキ下は3m)して、よって6mくらいの深さを釣る。オモリの重さは、ウキが3m沈むくらいの重さを調整しながら見つける。
・ウキを沈めて、あとはサラシや潮の流れに流していく。
・私は「ウキを沈めて、ラインを出していくってことは、ラインを張るわけじゃないから、一体どうやってアタリを取るんですか?」と聞くと、「ウキが見えないので、アタリはラインの動きや穂先の動きで見る。穂先の動きでアタリを取るには、穂先が0.8mmくらいの細さでなければ難しい。」とのこと。ここで私が、「私の竿の穂先は多分1.2mmくらいです」と言ったら、「2.5万〜3万円くらい出せば、細い穂先の竿が買えるから、買え」とのこと。やはり高いものにはそれなりの理由があるようだ。
・私が、「明日は波が2.5mくらいで高いから、ハトヤホテル裏の堤防とか、堤防で釣ろうと思ってんだけど」というと、これまた強く否定される。
「2.5mなんて伊豆じゃ大した波じゃない。全然磯釣りできる。メジナは、波っ気があった方が釣れるんだ。堤防なんてやめとけ。釣れるだろうけど、小物しか釣れない。せいぜい25〜30cm。大物釣るんなら磯へ行け。どうしても堤防というなら、伊東港かな。あそこなら大物も期待できる」
確かに、伊豆の磯は房総と違って高い磯が多いから、2.5mくらいではびくともしないのかもしれない。
おじさんの助言によって、明日も磯に行くことにした。
・私が、富戸のツバ根、城ケ崎の陸の平根で釣果が乏しかったことを告げると、おじさんはこう言う。
「どちらもいい磯だ。同じところに何度も通った方がいい。陸の平根はいいところだから、明日は陸の平根に行け。」
もうここまで強気で断言されると、私もこのおじさんを信じようという気になってくる。ちょっとサイコ系の雰囲気はあるが、面白いおじさんだ。

11時、ハトヤ裏の釣り場を見に行くが、今は立入禁止のようで、工事の人たちがなにやら工事をしている。サンハトヤも営業しているのか分からないくらいに寂れている。一応送迎バスは駐車場に止まっているが、どうもつぶれてしまったかのような風情である。ハトヤって、たしか昔よくコマーシャルやってた有名ホテルのはずだが・・・。
いつの間にかもう13時近い。しおさい公園向かいの定食屋で昼食。ここが最高。各種定食が550円からで高くても700円か750円。アジフライ定食550円を頼む。全く問題ない質と量。これで550円とは安すぎる。
会計時、お菓子を一つもらう。
ようやく銭湯が開く14時が近づいてくる。昔ながらの銭湯に入るにあたり、前の過ちを犯すまいと、マックスバリュでシャンプーと石鹸を買う。
前述の通り、伊東には昔ながらの銭湯が多くある。七福神になぞらえて、恵比寿の湯とか大黒の湯とかそれぞれに名称がついている。私は布袋の湯へ行ったのだが、5台しか停まれない駐車場が満車。どころか、待ちの車までが路上に止まっていて、車が出る度にすぐそこに入るから、全く空かない。仕方ないので店に入って他に駐車場はないかを聞くと、番台のおばさんが、「健康センター(銭湯の裏にある大きな施設)の駐車場にも停められるよ」と教えてくれた。

長く待ったが、15時、ついに念願の銭湯で汗を流す。昔ながらの銭湯、250円。ただし、シャワーはなく、石鹸やシャンプーももちろんない。
いい湯だ。日本語ペラペラの外人も入っている。ほとんどが地元の老人。まさに、古き良きコミュニケーションの場がここにある。
脱衣所では、パークゴルフクラブで発生した問題について、会長と見えるおじさんと会員らしきおじさんとが熱い議論を交わしている。社交場だ。

15:40頃、銭湯を出る。外は雨が降っているが、それほど寒くない。
健康センターの駐車場に戻ると、ケータイに着信があるのに気づく。今度はいる会社で上司になる人からだったので、折り返し電話する。入社後の予定などを話し、だんだんと入社が近づいていることが実感されてくる。今日は23日、5月1日入社なので、あと1週間だ。もっとも、今年は休みが長いので5月7日が初出社日となる。

マックスバリュで今晩の夕食、明日の朝食、昼食を買い込む。明日は釣具屋のおじさんに強く勧められた通り、磯に行くことにする。ハトヤ裏は釣れそうにないし。ただ、朝は雨らしいので、どうなるか。

キャンプ場に戻る。午後6時過ぎ。しばらく車の中で過ごす。寒いし雨なので外に出たくない。
7時半、お湯を沸かすだけの夕食。カップラーメン、値引き弁当、アジフライ、キャベツ。
ますます雨が激しくなってくる。
テントに入る。すでにグランドシートが水で濡れている。水が下から上がってくるのだ。この大雨では地面に水が浮き、テントの薄っぺらなグランドシートでは水の侵入を防げない。エアマットがあるので、何とか濡れていないところで寝れるのでよかった。
22時前、大雨がテントを叩く音が遠くに去っていき、眠りに落ちる。雨は夜通し激しく降っていた。

4月25日木曜日。
今回の釣り旅はゴールデンウィークまでと決めている。なぜなら、ゴールデンウィークに入れば、世の中数百万人の釣り人がこぞって釣り場に押し寄せるので、思うように釣れなくなるからだ。
というわけで、ゴールデンウィークは明後日27日に実質スタートするので、今日と明日でこの旅行も終了となる。
朝6時に起きるが、まだ雨が降っている。6:30、少し小降りになったのでテントから起き出す。
テントの前室に置いておいた靴の片方が、雨でびしょぬれになり、中に水が入ってしまっている。厳しい。
クソ、朝食、洗顔。もう雨は大分止んだ。

7時すぎ、出発。おじさんの進言通り、今日も城ケ崎の「陸の平根」で釣ることにする。本釣行最後の釣り。
灯台駐車場に7:40ごろ到着。車は1台しか停まっていない。さすがにあれだけ雨だったし、今日は平日だ。
カドカケ方面に行くか迷ったが、やっぱり初志貫徹で陸の平根で釣ることにする。
8時過ぎに平根に着いて、誰もいないので先端右に構える。
8:30、実釣開始。
今日は一昨日と比べ、波っ気がある。右側のサラシが沖に延びている。
まずはウキBで固定、ウキ下3m、ハリスはフロロ2号で2m弱、グレバリ7号。
9時過ぎアタリあり。メジナ23cm。幸先はいい。
今日は一昨日と違い、エサが取られる。磯際のサラシ内では、エサが瞬殺される。荒れ海に強いフグか。
沖に出せばエサ取りは少ない。1発目のメジナも沖でかかった。

しかしそれ以降、全くアタリがなくなる。時合じゃないのか?サラシの先から潮に乗せて沖に流すもダメ。
沖に出すとBのウキが見にくいので、Lサイズの3Bに変える。しかしアタリないのは変わりない。糸を出しているからか、2度もリール糸がバックラッシュし、復旧に時間がかかる。
ここで、おじさんお薦めの沈め釣りをしてみることにする。オモリを加えてもなかなかウキが沈まなかったが、3Bのウキに対して3Bのオモリを2個打ったらどんどん沈んだ。この状態で流していく。ウキが見えないので、ほぼミャク釣りに近いが、風でラインが膨らみ、ラインを張りながらというわけにはいかないので、やっぱりどうやってアタリを取ればいいのかが分からない。ラインとか穂先で見るって、ウソだろっ?そんなの無理だ。
しばらく沈め釣りをやったがアタリもなく、というかハリを飲み込んで走られない限りアタリが取れそうにないし、ウキがどこまで沈んでいるのかも分からない。ウキは見えなくなっているが、それが3m沈んでいるのか、2mなのか、5mなのか、全然わからない。多分、6mの深さを釣りたいのなら、6mのところに目印でもつけておくべきだろう。
釣れそうにないので固定(または半遊動)に戻す。しかしそれでもアタリはない。

左側のハエ根付近を釣ってみるもダメ。
よく見ると、沖のある表層に、白っぽい魚がたくさん集まっている。なんか輪のように集まっている。子育てでもしているのだろうか?100匹以上の群れだ。
試しにウキをそこまで投げてみるが、ウキが近くに着水すると、群れは散ってしまう。ルアーを投入しても同じ。
この群れは、徐々に移動していって、沖の方で見えなくなった。

その他にも、白っぽい30cmはあろうかという魚の群れが数10匹でゆっくり泳いで移動している姿も見える。何度か同じような群れが左から右に泳ぎ去っていった。何という魚だろうか?ボラっぽくはなかった。
昨日の大群といい、ここには豊富な生命があふれている。相当に豊かな海だ。だが、釣れない。

昼を過ぎると、波が穏やかになり、サラシも消え、沖への潮の流れもなくなる。
なんか釣れなさそうな状況なので、左側のワンドを釣ってみることにする。こっちは白波がワンド内に押し寄せ、真っ白にサラシている。向かいの磯の手前もサラシが出ているので、この辺りにウキを投入。しかしダメ。エサ取りはいるようだが、何も釣れない。


元の釣り座に戻る。右側は穏やかになり、深く、沈み根も見えないので、ポイントがどこだかわからない。よって左のハエ根を再び攻める。
グレバリを7号→6号に小さくする。
フグがかかって、釣り上げる途中、ハリスが切られてしまった。新しいハリにして一投目でハリが取られた。今まで何も釣れなかったのに、こういう時に急に釣れた上に邪魔をするのがフグ。
再びグレバリ7号をつける。引き続き左のハエ根際。もう4時半。時間が少ない。
やっとアタリ。引きは強い。やっとグレだ。28cm。やっと釣れた。喉の奥までハリを飲み込んでいたが、先端が曲がったプライヤーで外す。以前も書いたかもしれないが、このプライヤーがあれば、ほとんどの場合外せる。
その後、凄まじい勢いでウキがむ。よっしゃ大物!と合わせたらスズメダイだった。スズメダイという魚は、時々すごい勢いでエサを食って走る。そのウキの沈み方は尋常ではないのだが、相手はかわいいスズメダイでがっかりすることもしばしば。
続けて釣れているのでここぞとばかりに攻める。しかし、アタリは時々あるがどうもエサ取りの微小なアタリのようだ。残り少ないコマセをバンバン投入。夕方の時合を導きたい。
しかし時間は無情に過ぎていき、もう5時半。コマセはなくなるも、一縷の望みをかけて、「最後の一投!」と何度も何度も投入を繰り返す。
18時。タイムアップ、と思った最後にフグが釣れる。このこの旅一連の貧釣果を象徴する最後のフグ。これでこの旅の釣りはおしまい。
結局最終日の今日も、メジナ2(23cm、28cm)、スズメダイ1、フグ1という惨憺たる結果。
伊豆は魚影は濃そうで、海面すぐ近くを泳ぐたくさんの魚(割と大きな魚)を目撃したが、釣りは全然ダメ。釣技不足か。おじさんの言うようにウキを沈めて釣る釣法を駆使しないとダメなのだろうか。

18:40、駐車場に戻る。マックスバリュの駐車場でしばらくネットして、店内に入って今日の夕食のおかず、キハダマグロの刺身と酢豚を買って、いつものように無料の氷をもらってキャンプ場に戻る。8時15分。

夕食を作る。ご飯を炊き、お湯を沸かす。ホンダカーズの店長と、N−VANの納車日について電話で会話する。
9時に夕食食べ終わったが、今日はこの旅最後の夜なので、出発の時に友人の石坂からもらった缶ビールを飲む。つまみは激辛柿の種。沖縄産のアカハチという激辛唐辛子を使った柿の種だ。これが激辛。ビールが進む。そしてこれを書く。

今日は昨日の土砂降りから午後には晴れ間も出て良かった。釣りはダメだったが。
明日は千葉に帰る。

4月26日金曜日。
天気は昨日回復したと思ったのだが、また今朝は雨模様である。
テントを撤収するときに雨が降っているというのも、設営するときに雨が降っているのと同じくらい最悪だ。
朝食後、雨の中テントを畳む。最悪だ。フライもテント本体も雨でぐしょぐしょになり、ケースに入れるどころではない。返ったらどこかで干さねばならない。

何とかテントを畳み、濡れたまま車のトランクに突っ込む。
キャンプ場の後片付け。と言っても水栓を閉めるくらいだ。
車で入口の外に出、入口のポールを立てて鎖を張って南京錠を閉めれば撤収完了。
あとはカギ類一式を伊東市体育センターに返すだけだ。

今日は伊東の観光してから千葉に帰ろうと思っていたが、この雨では観光どころではない。
帰り道、伊東の海岸道路を走る。雨模様で気分爽快とはいかない。途中、道の駅マリンタウンに立ち寄る。
寒い。。このマリンタウンは、お土産屋、レストラン、日帰り風呂などが入った複合施設で、私は伊豆みやげを購入。

そうこうしているうちに昼となり、一昨日に行った大衆食堂で、安くて質量ともに十分なハンバーグ定食を食す。

午後1時、帰路につく。熱海の温泉街を抜け、熱海ビーチラインに乗り、雨ながらも海沿いのカーブを飛ばす。厚木から東名高速道路に乗り、最後はアクアラインを渡って千葉県に入る。
高速を降り、約3週間前に旅をスタートさせた木更津アウトレット付近から下道を千葉に北上する。
千葉に午後6時ごろ到着。
散々な釣果だったが、釣り旅行は楽しい。時々釣具屋におかしなおじさんがいるし。
しばらくはこのような旅行に行けないと考えると、悲しい。
2019/4/6 (Sat.)

友人と飲み会    晴れ@千葉市 

今日は、2か月の魚釣り日本一周の旅に出ていた友人の裕助が千葉に戻って来たので、みやげ話を聞く飲み会。
中学時代の友人6人で飲む。
裕助は、1月の終わりから先日までおよそ2カ月間、車中泊の旅をしていた。日中は海で魚釣りをし、車の中で寝泊まりして移動するという、私が今一番したい、夢のような旅である。彼の車は荷台にほろ付きの軽トラで、旅の前に荷台にベッドとなる板やテーブルを据え付け、万全の車中泊車となっていた。
南は鹿児島まで、北は新潟、宮城まで行って来たそうだ。うらやましい。
彼は車の板金屋であり、いま板金業界は人手不足とのことで、いつでも仕事にはつけるらしいので、まだまだしばらく旅を続けたかったそうだが、母親のプレッシャーに負け、泣く泣く帰って来たとのこと。
裕助は最近はルアー釣りしかしていなかったのだが、旅の途中からウキフカセ釣りに切り替え、30cm以上のメジナやクロダイを釣り上げたというのだ。うらやましい。私は15cm以上のクロダイを釣ったことがない。

私は来月からまたサラリーマンに戻るので、来月車中泊仕様の新車、N−VANを購入するものの、しばらくは裕助のような旅には出れそうにない。
が、明日から、愛車インテグラと最後の旅に出る予定である。
2019/4/5 (Fri.)

桜(千葉県千葉市)

日本人のモラルは崩壊したのか    晴れ@千葉市 

最近、腹立たしいことが一つ。
3月上旬、千葉駅周辺の安駐車場に車を入れた際、精算時に、料金機が動かなくなってしまった。駐車料金は400円で、100円玉を一つずつ料金機に投入し、300円までは受け付けたのだが、残りの100円が機械に飲み込まれ、うんともすんとも言わない。
車の下の板は上がったままである。このままでは出庫できない。
仕方がないので、駐車場の看板に書かれている駐車場管理会社の電話番号に電話する。
応対した女性は、私に指示をしてくる。
「もう一度駐車番号を押して、硬貨を入れてみてください」
私は100円玉はもうなく、1000円札しかなかったのでそう言うと、それじゃあ1000円札を入れてみてください、という。
ところが、この入れた1000円まで機械に飲まれてしまったのだ。

結局、1000円余分に払っているので、それを郵送で返却してもらうことになった。名前と住所を告げる。
1週間ほどでお金は郵送されるという。
車の下の制御板は、遠隔で操作できるようで、下げてもらって無事出庫。

しかし。
2週間たってもお金は送られてこない。再び電話すると、3月22日に料金機から売上金を回収予定であり、その際に実際に1000円の差額が出ていたら返金手続きを取る、という。よって、お金の郵送は3月下旬になるというではないか。
全然話が変わっている。
すぐに返送すると言っておきながら、料金回収後になってしまった。3月下旬と言えば、1000円を失ってから3週間も経っていることになる。
ここで私は疑念に駆られる。
(こいつら、ひょっとして、何とかして私が失った1000円を返さなくていいようにしたいのではないだろうか?)
何だかんだ理由をつけて、1000円をかすめ取ろうとしているのではないか?
私は少し強い口調で対応した女性に告げる。
「料金確認したら、一刻も早く郵送してください。こっちは被害者なんだから」

そして3月も終わった。1000円は送られてこない。やはりこれは悪質な駐車場管理会社じゃないか。金を飲み込む自動料金機を使い、金をだまし取っているのと同じことである。
「料金を回収しましたが、1000円余分に投入されたという事実は確認できませんでした」
とでも言うのだろうか?もしそう開き直られたらどうするか。警察に1000円の窃盗被害を届け出ればいいのだろうか?
私の頭の中は、次の対応をどうするかで一杯になる。

そして4月1日月曜日。満を持して再び管理会社に電話をかける。
今度は男性が対応する。
「3月末までに返金されるべき1000円が、まだ送られてこないんだけど。もう1か月近くも経っているのに、何やってるんだ?」
とまぁ、上記の文言そのまま言ったわけでないが、かなり強い口調で苦情を申し述べる。
男性は、確認しますと言って私を待たせる。
すると、経緯はすべて把握していた。一応、私からの連絡はきちんと記録されているらしい。
「申し訳ありません。手続きが遅くなり、本日まで発送できておりませんでした。本日1000円を郵便小切手で発送しますので、今しばらくお待ちください」
と平謝りしてくる。
まったくどういう会社だ?私がもしクレームしなかったら、このままお蔵入りにしてまんまと1000円を詐取しようという醜悪な意図が明らかじゃないか。
私ははらわたが煮えくり返る憤りを抑え、努めて冷静に言う。
「始め1週間で返送すると言われていて、もう1か月近く経ってんですよ?早くしてくださいよ」
相手は丁重に私に詫び、すぐに発送することを強調した。
電話を切る。

そしてようやく昨日か一昨日、私が釣りに出かけている間に、1000円の郵便小切手が送られてきた。1000円が機械に飲まれてから1か月近く経っている。
本当に、日本人または日本の会社というのは、モラルを失ってしまったのだろうか?
とにかく詐欺まがいの悪質な手法が多過ぎる。いや、ほとんど詐欺じゃないか。
今回も、私が何度も電話し、強く言わなければ、彼らは1000円をわざわざ送ったりはしなかっただろう。そういう対応である。

最近の世の中、すべからくそうである。
例えばモバイルWiFiを契約した際も、「キャッシュバック31300円」とか大々的に謳っていて、それなら初めから31300円を値引きした月額料金を設定すればいいと思うのだが、そうではなくキャッシュバックが得られるのは契約後1年後で、しかも、ユーザーが手続きしなければ得られないのだ。手続きを忘れたらもらえないし、会社側からは、キャッシュバックの期日が近づいてくると、普段全く使わない彼ら独自のメールシステムにひっそりとメールが送られてくるだけである。もしユーザーが手続きしなければ、会社はこのキャッシュバックを払う必要はないのである。1年後である。忘れてしまってキャッシュバックをもらえなかった人はきっと少なからずいるだろう。
「キャッシュバック」と謳うからには、すべての人がそれを享受できるようなシステムにすべきである。ユーザーの自己申告がなければ払いません、なんて詐欺に近い。

何かの契約などの書類でも、ユーザーの権利で、会社側には都合の悪いことなどは、見えないくらいの小さな文字で下の方に注意書きが書いてあることも多い。こんなん、老眼の老人たちには絶対読めないって。

料金機の不具合で言えば、飲料の自販機については全然良心的である。
自販機に金が飲み込まれたり商品が出てこない場合は、自販機のに記載されている電話番号に電話すると、割とすぐに係員が駆けつけてくれ、返金などの対応をしてくれる。
私も過去、何度か対応してもらった記憶がある。

話を戻すと、オレオレ詐欺なども、日本人の道徳的悪質化・劣化を顕著に表す事案である。
最近は、摘発されにくいよう、タイや中国に拠点を移し、そこから詐欺電話をかけてくるという。
犯罪を犯してまで金が欲しいのか?金がなくて今日食うものにも困っているのなら分からないこともないが、詐欺グループは決してそうではない。

武士道精神は完全に失われてしまったと感じる。
清貧を旨とする武士の精神はどこに行ってしまったのだろうか?
日本人の精神、例えば常に相手に敬意を表する、近所で助け合う、などの美徳は、世界に誇れるものだと考えてきたが、上記のような会社による詐欺的手法やオレオレ詐欺の増大などを鑑みると、日本人の道徳は地に落ちてしまったようである。

人から金をだまし取ってもいい、と思う人間が多いのは、教育が悪いのだろうか?
それとも、昔からそのような醜悪な精神を持っている人間の比率は変わっていなくて、今は大々的に報道されるから、それが目立つのでそう感じるだけなのだろうか?

人間の強欲は留まるところを知らないのだろうか?
「足るを知る」ことが、幸せな人生を送るためにもっとも重要なことの一つだと思う。
それこそ武士道である。
上を見始めたらきりがない。そりゃ、人生何が起こるか分からないから、金はたくさんあるに越したことはない。不意の事故や病気などで、いつまとまった金がかかるか、誰にも予測はできない。そんなことは分かり切っている。
だからといって、人を騙してまで金を奪おうとするのはなぜか?
また、自動車大メーカーの社長で、年間報酬を10億円ももらっているような立派な人間が、なぜさらに会社の金を私的に流用したりするのだろうか?有り余るくらいの金をもらってるじゃないか?どこまで強欲になれば気が済むんだ?まぁ、この人はフランス人だが。

貧しさに身を置くしかない人でも、懸命に生きている。開発途上国なんかでは、もちろん金をだまし取る人もいるだろうが、私から見たらみんな人から金をだまし取ろうとすることなんか考えずに、楽しそうに生きていますよ。
もちろん、大部分の日本人もそうだと思うが、身近でこのような詐欺的な現象に出会うと、どうしても日本人の道徳的劣化を考えてしまう。
2019/4/3 (Wed.)〜4/4 (Thu.)

朝5時半、朝日が昇る(砂取港脇の磯)

金色のつややかなウミタナゴ(砂取港脇の磯)

カサゴかソイか(砂取港脇の磯)

最後の最後でアイゴ34cm(砂取港脇の磯)

2日目、ガーデン下の磯

2日目。メジナ29cm(ガーデン下の磯)

磯と打って変わって穏やかな乙浜港の堤防

フグにエサが瞬殺される状況で、アイゴ37cmがヒット。
ラッキーヒットか。

コマセに集まるフグの大群(乙浜港)

外海の堤防、テトラ上で釣るも、やっぱりフグ天国(乙浜港)

フグにやられまくり(乙浜港)

南房総へ釣行 1泊2日     

4月3日水曜日。
先週の大物連発が忘れられず、今週もあの磯に繰り出す。南房はこのところずっと波が高かったのだが、今日明日は波が低そうなので狙って出かける。
朝3時過ぎに起き、4時前に出発、高速に4時直前に乗る。平日はETCの割引は深夜の時間帯だけで、0時から4時までに乗れば、安くなる。先週は4時を過ぎてから乗ったので高速料金が2440円もかかったが、4時前に乗れば割引が効いて、1750円となる。およそ700円の値引きは大きい。

白浜の砂取港脇の磯に到着したのは午前5時過ぎ。車は停まっていない。一番乗りだ。
今日は40cmオーバーのメジナを釣りたい。
天気はいい。風も強くない。
先週と同じポイント。波はそれほど高くない。ちょうど朝日が昇った。
6時ごろ実釣開始。
ウキはB、ウキ下は2m〜2.5m。エサはオキアミ、コマセはアミエビ+チヌベスト。
満潮が4:06なので、いま下げ潮のいい時間帯だ。
エサ取りは激しくないが、アタリはない。
ほどなくフグが釣れる。まずい。幸先悪い。

その後7時頃にウキが高速で沈む。すかさず合わせる。大物、来たか?
しかし引きが弱い。金色の魚体。ウミタナゴだった。20cmくらいあり、ウミタナゴとしてはなかなかだが、大物ではなかった。それにしてもこのウミタナゴはつやつやしていて美しい。

その後、アタリがなくなる。
エサ取りはいる。瞬殺というほどではないが、エサが取られる。
8:20、磯際をタイトに攻めると、やっと何かがかかる。メジナではない。茶色の太った身体。
カサゴかソイ。根の底にエサが入ったらしい。20cm近いなかなかの大きさだが、リリース。

その後は2時間以上アタリなし。今日は先週とは状況が違いそうだ。
干潮の9:54の頃には、晴れの天気と澄み潮で、底が見えるほどの海となる。水深がないので、この状況では釣れそうにない。
先週は、雨が降って適度に濁っていたのが良かったのではないかと推測する。濁りがあると魚もよく見えないので警戒心が弱まるのだ。多分。

ようやく11時前に小フグと小さなニシキベラが上がる。今日はメジナの姿が現れない。
その後また全く釣れない。だんだん波も激しくなってきて、私のポイントは波が行ったり来たりするようになり、釣り辛くなる。

私の右脇の外海側の磯の先端で、私の後に一人のおじさんが釣っている。
彼は一度大物を釣りあげた。黒い魚体だったので、多分メジナだろう。だが、それ以外は彼も苦戦しているようだ。

昼飯休憩後も全然釣れない。
午後2時過ぎ、ようやくメジナ。だが手のひらにも満たないコッパ。
コマセがなくなったが、このままでは終われない。コマセなしで釣りを続ける。

午後3時ごろ、私の右手で釣っていたおじさんは帰っていった。
私はおじさんのポイントに移動する。こちらにも波が打ち寄せるが、私のポイントよりはマシだ。
波にもまれながら、何とか仕掛けを落ち着かせようと四苦八苦する。
午後4時、ついにウキが沈み、大物がかかった。走る。引きはメジナの引きに思える。磯際を走りまくる。今日初めての大物、こいつだけはバラしたくない。
一人の磯で竿を大きくたわませながら叫ぶ。
「バラしたくねー!」
走られまくってなかなか浮かせられず、ハリスに傷が入ってないか、気が気でなくなる。
だがようやく魚は疲れて浮いてきた。
アイゴだった。アイゴ、やっぱり引く。メジナは深く深く潜ろうとするが、アイゴは左右に走りまくる。竿を引く力は相当に強い。

ポイントを移動した際、玉網を忘れた。玉網が手元にない。どうやって取り込む?
仕方なく、寄せてくる波を利用して一度低い磯に上げ、そこからさらに岩の低くなっているところから抜き上げた。竿は折れず。良かった。
アイゴ34cm。引きはやっぱりものすごかった。コンディションがいいのだろう。
リリースすると、いつものようにアイゴは横になって死んだように海面に漂っている。1分くらいしてようやく泳ぎ込んでいく。

これで納竿する気になり、終了。
今日は残念な釣果。アイゴ34cmが救い。他は、ウミタナゴ1、カサゴ(ソイ)1、フグ2、ニシキベラ1。

館山の釣具店で明日のエサとコマセ、配合エサを購入し、看板が落ちた食堂で夕食。カキフライ定食。大玉のカキフライが4つで860円。なかなかイケる。
いつもの民宿にチェックインし、風呂に入って早く寝る。
明日はガーデン下に入りたい。


4月4日木曜日。
朝4時に起き、5時前に宿を出る。ガーデン下には人影はない。よし。
コンビニで弁当を買い、ガーデン下に戻ってくると、なんと人の姿が磯の上に見える。また先を越されたか!
だが、道路から見ると人は立っていない。一縷の望みをかけて、荷物を持って磯に行ってみたが、やっぱりおじさん釣り師がいた。岩の陰で、座って仕掛けかコマセでも作っていたのだろう。見えなかっただけだった。

一番いいポイントは取られたが、まだ陸側に釣れそうな場所はある。ここで過去に釣っている人を見たことはないし、ガイド本にもポイントとして載っていないが、また別の場所に行くのが面倒なので、ここで試しに釣ってみることにする。水深は8mくらいありそうだ。これなら何か釣れるだろう。

アミエビを解凍している間、コマセなしで釣り始める。午前6時。
ウキはB、ウキ下は5mくらいから始める。
満潮は4:26なので今日も下げ潮のいい時間だ。
しかし、エサ取りはなく、アタリもない。釣れない。
ウキ下を3.5mくらいまで小刻みに下げてみるが、反応はない。

左手で釣っているおじさんは、竿を一度大きく曲げていた。やっぱりあそこは大物場なのだ。うらやましい。

1時間くらいしてやっとアミエビが融けてきたので、チヌベスト(配合エサ)を混ぜ、コマセを撒き始める。
すると7:40、磯際に入れていたウキが急速に沈む。よっしゃ!
合わせると負荷が竿から腕に伝わる。大きい。磯際に潜ろうとするので、やや強引に浮かせる。メジナだ。
今回も玉網が手元になく、仕方ないので磯の低い部分に波を利用して上げた。
メジナ29cm。よし。こうこなくちゃ。

時合を逃すまいと、前のめりになって仕掛けを投入する。
ほどなく、再びウキが凄まじい勢いで沈む。合わせるとやはり大きい。しかし、数秒後にバレてしまった。糸を見ると、ハリスがスパッと切られている。
ハリを飲み込まれたために歯でハリスを切られたのだろうか?痛い、痛すぎる。
だが、傷ついたハリスを使っていたわけではないので、これはどうしようもないと気持ちを切り替える。
ハリスとハリを付け直し、投入。

しかし、これっきり大物のアタリはなかった。
9時にフグが釣れたきりで、全くアタリがなくなる。
そして、悪いことに波がどんどん激しくなってきて、磯際はサラシで真っ白になり、全く仕掛けが安定しなくなる。少し沖のポイントも波が激しく寄せては返し、ウキがどんどん流されてしまう。
水中ウキで仕掛けを抑えられないか試すために、先日買った水中ウキを投入してみるが、全然ダメ。水中ウキを見ていると、仕掛けは下潮で浮き上がってしまっており、全然入っていない。こりゃダメだ。
沖やさらに陸側も釣ってみるが、とにかく仕掛けが流されまくりで釣りにならない。
11時、ここで釣るのを断念。大物バラシは痛かったが、29cmのメジナが釣れただけで良しとするか。

車に戻る。どこに行くか?昨日釣った砂取港脇の磯も、この波ではダメだろう。磯がダメとすると、堤防しかない。
乙浜港に行くことにする。最近、ユーチューブでここの堤防でクロダイを上げている動画を見たのだ。
乙浜港には釣り師の姿は少ない。
内港向きの長い堤防というか、岸壁の端で釣りたかったが、運のいいことに、そこで釣っていたおじさんが、ちょうど帰るところだった。
岸壁端に陣取る。
もう昼なので、まずは腹ごしらえのコンビニ弁当。
磯ではあれだけ波が高かったが、ここ乙浜港の堤防は、驚くほどに波はない。凪日のように穏やかな海面。真っ青に透き通っている。

12時過ぎ、実釣開始。
クロダイ狙い。水深を測ると、5m〜7mで所によって違うが、とりあえず底狙いでウキ下6mくらいで釣ってみる。まずコマセを前方10mくらいのところに集め、ポイントを作る。
仕掛けはさっきと同じ。ウキはB。コマセはアミエビ+チヌベスト。
しかし。
エサが瞬殺される、文字通り、仕掛けを入れて数秒でエサが食われる。試しに足元にコマセを撒くと、来るわ来るわ、フグの大群が。これはとても良くない状況だ。
先週の根元港と同様のフグ天国、大小無数のフグが、泳ぎ回っている。
エサ取りはこいつらに間違いない。10m沖でもウキが着水する音やコマセにすぐに反応して集まってくるのだろう。

何度も何度も機械のように仕掛けを投入し続けるが、いずれも数秒でエサが取られる、ウキ下を変えても全く状況は変わらない。おそらく、付けエサが着水した瞬間にもうフグはエサの近くに集まり、寄ってたかってエサをなぶり殺しにするのだ。付けエサが6mのタナまで沈む1分くらいの間に、確実にエサは食われている。
だから、ウキにアタリはほとんど出ない。なにしろ、ウキがウキ止めで固定されるまでにエサはすでにないのだ。
さらに悪いことに、昼頃から西よりの風が強くなり、風で道糸が張られてなかなか仕掛けがウキ下に入っていかない。

そういう悪戦苦闘を1時間くらい続け、試しに外海の堤防に移動するか、と思い始めたその時。
いままであれだけエサが瞬殺されていて、ウキにアタリが出なかったのだが、突然ウキが急速に沈んだ。
慌てて合わせると、大きな魚がかかった感触。
何だなんだ???
魚は目の前の広々とした平坦な海を走りまくる。まさか、ついに本命のクロダイか?
竿が絞られる。風で竿がヒューンと鳴りまくる。魚は右に左に走り、深みに突っ込む。とにかくデカそうだ。これもバラしたくない。
やがて魚は疲れて浮いてきた。銀色の魚体を想像していたが違った。上がってきたのは茶色の魚。
またまたアイゴである。半端ない引き。
玉網を入れ、無事取り込み成功。よっしゃああああ!!!

アイゴ37cm。デカい。そして引きまくられた。
始め薄茶色だったアイゴは、熱いコンクリートの上に横たわると、みるみるうちに体色を変え、濃い茶色に変化した。
バケツの水をアイゴにかけてやる。

写真を撮ってリリース。やっぱり精根尽き果てたアイゴは、海面に横たわっている。そりゃ、あれだけ暴れれば疲れるさ。このところのアイゴは壮絶なファイトをするのでとても楽しい。先週のサンノジも強烈だった。楽しい釣りだ。

アイゴの大物が釣れたおかげで、ここでもまだ釣れる、クロダイがひょっとしたら来るんじゃないか?と夢想してしまったが、やはりその後はエサがフグに瞬殺される。
アイゴはラッキーヒットだったか。
ヘチ際をよく見ると、フグの他に、平べったい魚がいる。小さなヒラメだろうか?

午後2時過ぎ、心が折れて、外海にあるテトラのある堤防に移動することにする。
こちらも夫婦と見えるおじさんとおばさんが釣っているだけで、人影は少ない。
ガイドによれば、外海側のテトラ際でメジナやクロダイの大物が食ってくる、という好場所らしい。波はそれほど激しくない。
しかし。
ここもフグに席巻されていた。エサは瞬殺、コマセを撒くと黒い影が猛然とコマセに集まってくる。テトラ際でも少し沖でも状況は変わらない。
ダメだこりゃ。お手上げとはこのことだ。
しばらくして、フグがスレで釣れる。付けエサに群がっているフグの、左胸鰭あたりにハリが刺さっていた。

悪夢に追い打ちをかけるように、さらに風が強くなる。南西風で、真正面から吹き付けてきて、竿を制御するのが困難となる。
午後3時、たった1時間で再び心が折れる。

再び内港の堤防へ。さっきまでいた端には、私の左で釣っていたエギングの男女二人組が移動していた。
私は、彼らから15mくらいのところで気を取り直して釣ることにする。フグの状態が変わらなかったら、もう納竿だ。
コマセを撒いてポイントを作る。西風がますます強くなったため、仕掛けを早く落とすべく、ウキを5Bに変える。
しかし、やっぱりエサは瞬殺される。
4時半と5時にフグが釣れる。もう疲れた・・・。
風の中竿を抑え込むのに握力と筋力を使うので、上腕と前腕部の筋肉が張り、だんだん左手の握力がなくなってくる。

ところが5時ごろ、ぱったりとエサが取られなくなる。大チャンスだ。大きな怖い魚が来ると、エサ取りがいなくなると聞いたことがある。もしかして、クロダイがついに入ってきたんじゃあるまいか。
逆転ホームランを狙って、ポイントに仕掛けを投入し続ける、左から吹く風のために、ウキはどんどん右に流される。流されては回収し、向かって左に投入。コマセを集中したポイント上をウキが通過するようにする。それを繰り返す。
しかし、アタリはない。望みを捨てずに投げ続ける。今までの経験上、釣りでは最後に何かが釣れることも多いのだ。昨日だってコマセはとっくの昔に切れてしまっていたが、最後の最後でアイゴが釣れた。
日が暮れてくる。
だが、逆転ホームランはならず。最後までエサ取りはいなかったが、何も釣れなかった。9回裏も0点で試合終了。落胆。
午後6時、日没とともに、失意のまま終了。

結局今日も残念な結果。朝6時から夕方6時まで、移動時間を除いても正味10時間くらい釣って、朝のガーデン下でのメジナ29cmと乙浜港でのアイゴ37cmは良かったが、その他はフグが4匹釣れただけ。
毎回毎回夢のような釣果とはいかない。
HOME > Every Day Life > Diary > 2019.4.