2019/2/20 (Wed.) 〜2/22 (Fri.)

日の出直後の浜行川港(勝浦市) |

いつものクサフグとは模様が違う(浜行川港) |

不幸なスレ掛かり(浜行川港) |

磯に向かう山が崖崩れ |

実入の磯の背後の山にある洞穴に人がいてびっくり |

実入の磯 |

実入の磯のイケス跡。この四角い部分がイケス跡 |

実入の磯のイケスポイント |

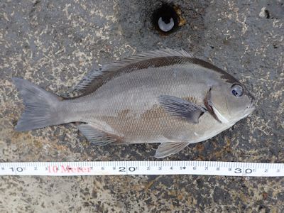
メジナ20cm。20cmでも引き味は抜群(実入の磯) |

またまた釣れたハコフグ(実入の磯) |
 |

夕方の満潮時、イケス跡の背後の磯が水没する
孤立する前に後ろに撤退(実入の磯) |

実入の磯、2日目。朝の満潮時、磯は水に浸っている
長靴でなんとかイケス跡まで渡る |

前日は釣れなかったニシキベラが釣れる(実入の磯) |

メジナ21cm。結局これが最大 |

アイゴ37cm。壮絶なファイト(実入の磯) |

アナハゼ(多分)。目に黒い筋が入っている |
 |

部原港の左右の堤防。手前が船揚げ場。ここが内港側のカマスポイント |

カマスを最低4匹釣りたかったのだが・・・(部原港) |

フグがサビキにスレでかかってくる(部原港) |

カマスは開いて洗濯干しに吊るして干す |

干物となったカマス |

焼かれた干物カマス |
外房釣行 2泊3日(鴨川、勝浦)
またまたまた外房に釣りに出かける。
2月20日水曜日。
天気はあまり良くない。今週は先週までの極寒と打って変わって気温が上がり、今日などは4月並みの暖かさになるとのことである。
道中、房総半島は霧に覆われていた。
今日は浜行川港でやることにする。
朝6:35に港に着く。日の出直後。山の上はまだもやがかかっているが、海側の空は晴れた。
堤防先端に行くと、釣り人はすでに3人いる。いずれもアジのカゴ釣りのようだ。
この3人はほどなくしてみんな帰っていった。
海はやや荒れて、波がある。堤防中ほど外側にあるテトラに波が次々と打ちつけている。堤防先端にも波は来るが、それほど高くない。今日は波が3mくらいの予想だったので、外房の低い磯では釣れないと思い、港に来たのだ。
そして、海は濁っている。
私は外海側を釣るが、ちょうど目の前に朝日があるので、逆光で釣り辛い。
7時半ごろ実釣開始。
今日は円錐ウキはB。昨日、1300円くらいで購入。中通しのリングの径が大きいタイプで、仕掛けが軽くても落ちがいいのではないかと考えたのだ。
ウキ下は3〜4m。チヌバリ2号、ハリス1.5号でスタート。コマセはアミエビ+配合エサ(スーパー1スペシャル)。
ヘチ際には前回同様、小さな小さな魚の群れが漂っている。2cmくらいの魚。
釣れない。全く釣れない。仕掛けは落ちているが、全然アタリがない。タナを変え、ポイントを変える。
外海側だけでなく、船道側も釣ってみるが、アタリなし。
新たに3人のカゴ釣り組がやってきたが、彼らも全く釣れない。
前回(2週前)はヒラマサが港内に入ってきており、アジははこのところ全く釣れていないとのことだったが、状況は変わっていないようだ。
それにしてもウキフカセ釣りの私にも何も釣れない。
昼を過ぎる。だんだん焦ってくる。こないだの釣行では、1日目はメジナが3、2日目はウミタナゴなどが釣れたのだ。何か釣れるだろうと思って選んできたのに、まさか、今日は坊主か?
コンビニ弁当を食べて気分を変える。
やっとウミタナゴが釣れたのは午後1時過ぎ。釣り始めて5時間半以上経っている。ホッと一息。
駐車場管理のおばさんが、駐車場料金を徴収しに、わざわざ堤防先端までやって来た。400円を支払う。
「アジ釣れた?」
「釣れません、私はアジ狙いじゃないんですが」
「去年の今頃は、アジがたくさん釣れてたのよ。今年は全然ダメ」
情報は広まるので、ここはアジが釣れないとなると人が来なくて、駐車料金が稼げなくて、おばさんとしても残念なのだろう。
ハリをグレ7号に変える。
その後は、ぽつぽつと釣れ、ウミタナゴが3、小メジナ1、フグが1。フグは見慣れたクサフグとは模様が違う。後でネットで調べると、「ムシフグ」という種か。
この港にはフグが少なくていいのだが、今日は釣果が渋い。
ウキがスパッと消し込んだのはウミタナゴ3匹目とフグだけ。あとはモゾモゾ、チョンチョン、少し沈む、というなんとも思わせぶりな動きにとどまり、アタリを取るのが難しい。ハリスに打つガン玉の位置を変えて何とかアタリを出そうと試みる。
3匹目のウミタナゴのときは、高速で沈んだので、どんな大物か?と期待したが、小さかった。
今日も不幸にも2〜3cmほどの小魚が、ハリに刺しぬかれて3度も「釣れて」しまった。これらの魚は小さすぎてエサ取りにもならないのだが、とにかくコマセには黒くなるくらいに集まってくる。普通に仕掛けを回収してくる際にハリに引っかかってしまうほど、たくさんい過ぎなのだ。
堤防上でくしゃみが止まらない。花粉症だ。数日前から症状が出ている。目がかゆく、くしゃみと鼻水が止まらない。これだけ明確な症状が出るのは初めてだ。辛い。
アジ釣りの3人は釣れないと分かるとあっという間に帰っていった。きっと別の場所に移動したのだろう。
入れ代わりにアジングの若者2人組と、先々週も来てた事情通のおじさんがやってきた。
事情通のおじさんによれば、夜中の12時ごろならアジが釣れる、と言う。これからそこまでやるんかいな?このひとは、ここの主なのだろうか?
もう午後5時。最後の最後にやっとメジナ20cmが釣れる。
5時半納竿。一日中やったが、寂しい釣果。ウミタナゴ4、メジナ2、フグ1。
宿は新官港近くの民宿に取っているのだが、まずは逆の鴨川方面に向かい、行きつけのアタック5で明日のコマセ、エサを購入。
そしてこれまたもはや行きつけとなった食堂ほほえみで、またまたアジフライ定食。
食べていると水のような鼻水が出てくる。花粉症とはげに苦しいものか。
鼻水と言うのは通常粘ついて、納豆のような糸を引いたりするものであるが、花粉症の鼻水は、鼻血のようにシャバシャバである。
勝浦の宿に着いたのは午後8時前。以前にも一度泊まっている。
昨日、予約の電話で、「宿に着くのは多分6時か7時なると思います」と宿のおばさんに伝えてあったのだが、8時近くになってしまった。携帯を見ると、宿のおばさんであろう、着信が残っていた。時間は7時頃。私は出れなかったのだ。きっと私が来ないから電話したのだろう。
宿は真っ暗で誰もいない。まぁよかろう。ここは放置プレイなのだ。
私は宿に上がり込み、先回と同じ8号室に入る。
風呂に入る。湯船には熱いお湯が張られているのだが、シャワーのお湯が出ない。スイッチが切られているのだろう。
結局湯船にだけ入り、髪の毛も身体も洗わず。
しばらくして宿のおばさんがやって来て、挨拶する。電話に出れなかったことを謝罪。2泊分の宿泊費を払う。
以前言い忘れたが、このおばさんは菅井きんにそっくりである。
シャワーのお湯の出し方を教わる。常連さんにはみんな教えているのだという。冷蔵庫や電子レンジ、流し台のある台所の一画にお湯のスイッチがある。
夜にはこのきんさんは、この宿にはいない。きんさんはここに常時詰めているわけではなく、夜はすぐ近くにある息子夫婦の家にいるのだ。
「あとは適当にやってください」
そう言ってきんさんは去っていった。完全なる放置プレイ。
夜、部屋で鼻水が止まらなくてトイレットペーペーを大量消費していたのだが、布団の中では鼻が詰まるようになる。鼻で息ができず、口で息をする。ツラい。
2月21日木曜日。
きょうも暖かいようだ。天気も良さそうだ。
朝5:10に起きるつもりが寝坊し、起きたのは6時。布団を出ると、また水のような鼻水が出てくる。
6時半に宿を出て、途中ファミマに寄り、国道128号を南下する。
今日は、小湊にある「実入(みいり)の高磯」という磯に行ってみることにする。
実入港という小さな港への入り口が見つからず、行き過ぎたのでUターンして何とか見つけ、港方面に降りる。港横の漁具置き場のようなところに車を置かせてもらい、荷物を持って磯に向かう。
ここは小さな岬状の地形で、磯には山越えで出る、とガイド本には書いてあったのだが、何と、山に入る入口に、土砂崩れが起きている。岩が斜面に崩れ落ちている。行けないじゃないか。
5mほど上を見ると、けもの道が山の中に入っている。あそこまで上がればなんとかなる。
山登り経験豊富な私、両手に竿とクーラーなどの荷物を持ったまま、この崖崩れ斜面を登る。なんとかけもの道まで上がり、その道を辿ると、すぐに磯に出た。
だが、「実入の高磯」と呼ばれる磯までは、一つの大きなワンドを回り込んで磯を延々と歩かねばならないことに気づく。あそこまでこの荷物を持って歩きたくない。15分以上かかりそうだ。
山の斜面に洞窟のような穴が開いている。なんと、ここに人がいてびっくりしてしまった。この磯には誰も人はいない。こんな洞穴で人が座り込んでいたのだ。
私は一応頭を下げて挨拶をする。向こうも頭を下げ返してきた。浮浪者の方だろうか。それとも野宿一人旅だろうか。
私は目の前に広がる磯を見つめる。しかし、水深が浅くて釣り座は取れそうにない。
苦労してここまで来たのだが、ちょっと釣りは出来なさそう。そこで、一旦車に戻る。だが、ここで、山の中を通るのではなく、海岸沿いに行けばもっと簡単だということを発見する。さっき山越えをするとき、当然海から行けないかと海岸線を見たのだが、割と切り立っていて、へつらないと行けなさそうだったので、両手に荷物を持った状態では厳しいと判断したのだが、そうでもなかった。
一旦車に戻り、もう一度ガイドを見る。実は、「実入の高磯」の西側にも釣りポイントがあり、「イケス」というらしい。ここはさっき見なかった。
場所を変えるか、ここで釣るかでしばらく迷っていたが、ここのイケスポイントでやってみることにする。
すると、さっき洞穴に座り込んでいた人が、傘を持って港の方に歩いてきた。そして私の車の脇を通り過ぎ、国道の方に上がっていった。
彼は何者だろうか?あの洞穴に住んでいるのか?それとも昨晩だけ野宿して、これから再び移動するのだろうか?大いなる謎だ。
再び荷物を持って車を出る。今度は海岸沿いに歩く。磯に小山のような突起があり、その先がイケスポイントだった。
イケス跡が4つある。ここにはその昔、アワビなどの貝類を一時保管していたのだという。
今日は昨日に比して波が低い。ここの磯も低く、ときどき波に洗われるが、釣りは出来そうだ。
遅くなったが、9時半ごろ実釣開始。ウキは昨日と同じB、グレバリ7号にハリス2号。
始めは、試しにイケス跡の左手にある、波の穏やかなワンドに仕掛けを入れてみる。ほどなくしてフグが上がる。フグはよくない。
その後、今度はイケス跡の右手にある岩と岩との間のこれまたワンド状の狭いポイントで釣ってみる。ほどなくしてベラが上がる。うんうんいいぞ。
いよいよイケス跡正面の本命ポイントで釣る。
10時半。今日は満潮が6:07、干潮が11:47なので、もう干潮に近づいている。 磯際はまずまず深そうで、水深を測ると、3.5mくらい。
そこには海草林か根があり、深いところはそれほど広くない。根掛かりに注意せねばなるまい。よってウキ下は2.5〜3mくらいで釣る。
コマセを磯際にバンバン撒く。アミエビ+配合エサ(チヌベスト)。
いきなり手のひらサイズのメジナが上がる。小気味いい引きだった。期待が持てる。
1時間後、干潮の潮止まりに20cmのメジナ。さらにコッパを挟んで、再び20cm。その後も小メジナが2尾。
ここのメジナは活きがいい。20cmでも、大物と勘違いするような痛快な引きが楽しめる。ハリ掛かりしたメジナは、どんどん深みに潜ろうとする。水上に出たウキは、メジナに引っ張られて、ガガガガと掘削機のように上下動する。
楽しい、めちゃくちゃ楽しい。これがメジナ釣りの楽しさじゃないか。20cmなんだけど、これだけ活きがいいと、実にワクワクする。
ここでは昨日と打って変わって、ウキが気持ちよく消し込まれる。このポイントにはカジメ林も多いので、海草にハリスが絡まった時にウキが沈むことも多いが、一たび魚が付けエサの前を通れば、ウキを沈ませるほどにエサをくわえ込む。活性が高いのだ。
なかなかハリ掛かりしないこともあるし、魚が掛かった後にハリがすっぽ抜けてバレることもあるが、これだけアタリが出ると、ウキ釣りは楽しい。醍醐味だ。
突然背後に人が来る。地元のおじさんだ。声をかけてくる。
「なんか釣れたかい?」
「メジナが結構釣れますよ。大きくないですけど」
「そういえば最近はここで釣りをしてる人あまり見かけないなぁ。ここはコッパだけだろ?」
「そうですか?」
なるほど、この磯には最近あまり人が入っていないから、魚たちの活性が高いのに違いない。
おじさんは地元の人で、以前は小さな建設会社の社長で、日本全国で仕事をしていたそうだ。トンネルを掘る掘削機械を据え付ける仕事などをしていて、東京の地下鉄工事なんかの仕事も請け負っていたとのこと。
「仕事は何?」と聞かれたので、今は無職であることや、以前は電機メーカーやNPOで働いていたことを話す。このおじさんも話好きで、私にいろいろ聞いてくる。
「NPOって最近よく聞くよな。ボランティアみたいなもんだろ?」
「まぁ、給料は安いですね」
「立派だよ。最近は金儲けしか頭にない人間ばっかりだろ」
「ミャンマーでは職業訓練校の運営をやってたんですよ」
「ミャンマーか。俺も昔はミャンマー人を会社で使ってたよ」
おじさんはいまはもう定年で仕事を辞め、漁業の手伝いをしているそうだ。いま仲間が小舟で海に出ていて、サザエやアワビを取っており、その船が港に戻ってくるのを待っているという。沖を指さして、あの船だよ、という。
おじさんの言葉はなまっている。時々彼の言葉が分からなくて聞き返す。
「サゼって何ですか?」
「サザエだよサザエ。ごめんな、俺なまってんだ」
楽しい人だ。
その後、キタマクラと小メジナを挟んで、重い魚がかかる。メジナの引きではない。ただ重い。ひょっとして・・・。
リールを巻くと水面に魚体が見えてくる。四角い魚体に申し訳程度のヒレがヒラヒラしている。ハコフグだ!
重くて抜けないので玉網を入れる。ハコフグ21cm。
白浜で釣って以来、2度目のハコフグ。白浜で釣ったハコフグよりもでかい。引きはしないが、こんなサプライズが楽しい。磯ではどんな魚が釣れるか分からない。
午後1時半。コンビニ弁当の昼飯。
その後はしばらくアタリがなくなる。というかエサ取りが激しくなり、ウキにあまりアタリが出なくなる。フグだろうか?
気分転換に再び左手のワンドで釣ってみる。フグとオハグロベラが上がる。こっちはワンドで潮流がないので、メジナはいないのかもしれない。
イケス正面に戻り、3時半を過ぎるとまたメジナが上がり始める。大きさは最大でも20cmだが、立て続けに上がる。楽しい。
徐々に潮が満ちてくる。すると、背後の低い磯が海に覆われていくことに気づく。磯の突端であるイケスの部分は少し高く、後ろが始めに水没していく。満潮は17:42だが今日は大潮なので潮位が高い。そろそろ戻らないと孤立してしまう。
午後4時過ぎ、もう長靴で渡れる限界まで潮が満ちてきたので、納竿とする。荷物をまとめて水に浸かった磯を小山の前まで撤退する。
ここは満潮時には磯が水没する釣り場なのだ。
午前中は花粉症の症状はあまり出なかったが、夕方になってだんだんくしゃみが止まらなくなる。鼻水も知らぬ間にしたたり落ちている。
昨日、今日と天気がいいので、花粉が相当に飛んでいるようだ。
ともあれ、今日は楽しい釣りができた。メジナは最大でも20cmだったが、とにかく引きが強い。マシンガンのように引く。魚の活性は高いし、コンディションがいい。いい釣り場だ。
釣果は、メジナ11、ベラ2、クサフグ2、ハコフグ1、キタマクラ1。
宿に戻る。途中のスーパー、ベイシアで弁当を買う。しかし着いたのが5時過ぎで、まだ値引きが始まってなかったので、車の中でネット検索をして時間をつぶす。
6時過ぎ、弁当売り場に行くと、目論見通り値引きされている。40%引きの弁当を3つと、カップサラダを2つ買う。弁当一つとカップサラダ一つは明日の昼飯用だ。
宿に戻り、弁当2つとカップサラダで夕食。風呂に入って早めに寝る。
明日も今日の実入の磯で釣る。夕方、部原港に移動し、先週同様、お土産用のカマスを釣る予定。
2月22日金曜日。
朝は晴れているが、夕方から雨予報。
朝4:30に起きるつもりがまたまた寝坊して5:17起床。5:45に宿を出て、途中のファミマで菓子パンとコーヒーの朝食。
実入港に到着したのは6時半ごろ。ちょうど陽が昇ったところだ。
今日は6:40が満潮で、潮は中潮。ちょうどいま満潮と言うわけだ。満潮時の潮位は141cm。問題は、イケスポイントの釣り座まで行けるか?ということである。昨日は、潮位130cmくらいでイケスが孤立した。
だが、磯に行ってみると、今日は昨日と比べて波がないので、満潮でも長靴でなんとかイケスに渡れた。よし。
早速コマセを作り、釣り開始。7時過ぎ。
しばらく釣れない。あれ?満潮で潮が止まっているか?
だが、エサ取りが激しい。エサがすぐに取られる。エサ取りは活発に活動している。
40分後、釣れたのはクサフグ。フグの暗躍か。幸先は良くない。
そこからさらに1時間半ほど何も釣れない。おかしい、満潮の下げ潮で、朝まづめ、いい時間帯のはずじゃないか。エサは取られる。
やっと小メジナが上がる。そしてニシキベラ。昨日はニシキベラは見なかったが、小さいのはエサ取りとして活動していたのかもしれない。
さらにメジナ18cm、ニシキベラと立て続け。やっと下げ潮で魚が活性化し始めたか。
そして11時前、またメジナの当たりを捉える。引く引く。魚は深みへ深みへと潜ろうとする。21cm。楽しくなってきたぞ。
さらにニシキベラ、メジナ、クサフグ。時合状態。
10時頃に雨がパラつく。予報より大分早い。が、すぐに止む。
12時前、腹が減ったので昼飯、昨日買っておいたスーパーの値引き弁当とカップサラダ。弁当は、ご飯が良くない。1日置いたとはいえ、米が固くなってしまっている。あまりいい米を使っていないようだ。
飯後に釣り再開するが、釣れなくなる。干潮が12:29。潮が止まり、時合は終わったようだ。
そんな午後1時過ぎ。
ウキが光速で沈む。これだけ凄まじいスピードでウキが沈んだのは、最近では弁天島で25cmのメジナを釣って以来のことだ。暴力的で、一種寒気すら感じるウキの沈み方。
すかさず竿を立てて合わせると、ウキの入り方にふさわしく、相手は大物だった。凄まじい勢いで糸が引かれる。魚は沖に向かって泳ぎ、竿を立てると今度は反転して右に向かう。リールは巻けない。竿で魚を制御するのが精一杯。右には磯際にカジメ林があるので、カジメの中に潜られるわけにはいかない。竿を左側に立てて、右に走った魚を少し強引に浮かせ、リールを巻く。魚は反転して今度は左に走る。よし、それでいい。
しばらくファイトが続く。魚は左に走り、奥に向かい、また右に走る。とにかく引かれまくる。相当な大物じゃないか。ドラグは緩めない。釣り場には根や海草林が多く、走られるままにしたら、根に巻かれたり海草の中に潜られたりしてしまう。魚の行く場所をコントロールしなければならない。
誰もいない磯で、5.3mの磯竿を半月のようにたわませ、一人叫ぶ。
「ウォー!」
「バラシたくねぇー!」
だが、魚はだいぶ疲れてきたようで、やっと浮き上がってきた。
この破壊力のある引きからして、メジナの大きなのかと思ったが、アイゴだった。アイゴも引くなぁ。
魚はもうさすがに疲れ切っている。浮き上がって水面に横になっている。引き寄せると最後の抵抗で潜ろうとするが、もはや力はない。玉網を入れ、無事ランディング。
よっしゃあああああーーー。
アイゴ37cm。最近は30cm以上の魚といえばアイゴばっかり。
だが、このアイゴの引きは強烈だった。暴力的な引き。そりゃそうだ、魚だって必死だ。必死の時の火事場の底力は侮れない。
過去、岩井袋の磯で39cmと35cmのアイゴを釣ったが、いずれも今日ほどの引きはなかった。走られまくったが、割とすんなりと浮いてきた。
今日のアイゴは、私が経験した中では、コバンアジ41cmに次ぐ引きの強さだった。ヒットから取り込みまでに、多分1分はかかっているだろう。
魚は変温動物だけに、やはり環境に依って強さが左右されるのに違いない。しばらく食べてない魚や、低水温で元気がない魚は、力が出なくて釣り人にあまり抵抗しないだろうし、逆に活力に満ち溢れた状況にある魚は、壮絶なファイトをするに違いない。
今日のアイゴは相当に体調が良かったとみえる。また、きっと強い個体なのだろう。楽しかった。
写真を撮った後、海に戻す。しかしアイゴは海面に横になったまま、泳ぎ出そうとしない。やはり精根尽き果てるまで私とファイトしたのだろう、もう力が残ってないのだ。しばらくアイゴはユラユラと海面に横になったままである。30秒くらい経っても泳ぎ出さない。さすがに心配になってくる。あれだけ暴れて、陸に釣り上げられ、磯の岩の上に横たえられて、写真を撮られ、挙句に海に戻された。以前何かで聞いたが、ヒメマスは、人間が手で触っただけでもやけどのように熱いと感じるらしい。魚のことを人間の感覚で理解しようとしても無理である。このアイゴも、ひょっとしたらあれだけの出来事の後、瀕死なのかもしれない。それとも、平衡感覚を一時的に失っているのだろうか。
思い返せば、アイゴは割といつもそうである。つまり、釣り上げられるだけで死んだようになってしまうのか、海に戻してもしばらく放心状態で水面に横になったまま動かないことが多い。先回の岩井袋でもそうだった。波にもまれるままになり、磯にそのまま打ち上がってしまうのではないかという有様だったのだ。
このアイゴは、1分くらいかけて正気に戻ったらしく、やがてようやく体を縦に戻し、魚本来の姿となって、思い出したように深みに泳ぎ込んでいった。
アイゴ リリース後の様子&釣り場の様子 動画
しばし休憩。アイゴが縦横無尽にポイントの水中を暴れまわったので、磯の魚は散ってしまっているかもしれない。
再開。しばらくしてアナハゼ(多分)が釣れる。目に黒い筋が入っている。目に体の模様の筋が入っている魚は多いが、アナハゼでは初めて見た気がする。
そしてまたニシキベラ。今日はニシキベラが多い。ニシキベラの引きは明らかにメジナより弱いので、メジナではないことはすぐに分かる。
割と大きなメジナらしき魚がかかるも、ハリがすっぽ抜けて外れた。グレバリとチヌバリでは、どちらがかかりやすいのだろうか?大きな違いは、グレバリにはひねりがなく、チヌバリにはあることだが、一長一短あるに違いない。でなければどちらかになっているはずである。すっぽ抜けに対しては、ひねりがある方が抜けにくいと思うのだが、どうなのだろう。
午後2時過ぎ。付けエサもコマセも少なくなってきた。今の時間帯は、昨日もしばらく釣れなかったので、休憩することにする。
磯を歩き廻る。干潮時だけ渡れる岩礁上に立ち、周りにいいポイントがないかを探す。ここの磯もハバノリ風のノリや青いコケみたいなのが生えており、尋常じゃなく滑る。普通のゴム底の長靴ではおっかなびっくり歩くしかない。
3時過ぎ、釣り再開。雨は時々降るが、全然本降りになる気配はない。どころか、日が射してくる。
エサ取りが相変わらず激しい。やっとニシキベラが釣れ、いよいよエサのオキアミがなくなってきた。
最後の一投。小メジナがかかった。終わり良ければすべて良し。
思えば、エサがなくなって、最後の一投で釣れることが多い気がする。いや、最後だから印象に残っているだけだとは思うが、念じれば通ずるのだ。
午後3時半、納竿。
今日はメジナ5、ニシキベラ5、クサフグ2、アイゴ1、アナハゼ1。メジナは結局良型は釣れず、21cmが最大だったが、引きはよく、楽しめた。
午後4時、部原港に向けて出発。4時半に部原港着。今日は夕まづめ、お土産のカマスを釣って帰るのだ。前回は、日没前後の夕まづめにカマスの活性が上がり、立て続けに釣れたのだ。まるで漁師。
二つある堤防のうち、左堤防の先端に3人、右堤防には、1人がちょうど帰るところで、入れ替わりで別の1人が堤防に向かっていくところだった。
私は前回と同じく、右堤防に入る。満潮が近く、若干波も高くなってきていて、堤防上に波が上がっている。
相変わらずみんなサバを爆釣している。これだけサバが爆釣され続けるというのは、普通なのだろうか?この辺りにはサバが無尽蔵に生息しているような感じである。
早速バスロッドにサビキとナス型オモリ5号をつける。するとトラブル発生。竿のトップガイドのリング部分が壊れて外れてしまったのだ。トップガイドを使わずにやるしかない。
5時過ぎ、内港側に向かって投げ始めるが、投げる度にトップの部分に糸が絡まってしまう。こりゃマズい。
そして、よく見ると左堤防でもギャング釣りをしている人がいる。その動きからすぐに分かった。先週カマスを爆釣していた名人のおじさんだ。彼は今日は左堤防に陣取り、内港に遠投し、相変わらず次々とカマスを引っ掛けている。
私も遠投するが、すぐにこのおじさんと仕掛けがお祭り(仕掛け同士が絡むこと)してしまった。同じところに投げ込んでいるのだ。これじゃぁ、釣れないじゃないか。
おじさんの方が先に釣っていたので、私は遠慮して、しばらく休むことにする。外海側にも投げてみたが、根が多くてすぐ根掛かりしそうだし、名人の配置からして、港の外にはカマスはいないようだ。
日が暮れる。タバコを吸って、おじさんが早く帰らないかを待つ。
暗くなり、6時前におじさんは帰っていった。頭にヘッドライトをつけ、すかさず内港側に投げ始める。
ほどなくカマスがヒット。よし、この調子なら家族分4匹をすぐに釣れそうだ。
しかし。
この後は竿先に糸が絡むわ、糸を直している間にオモリが沈んで仕掛けが海草に絡んで根がかるわで、非常にツラくなる。追い打ちをかけるように雨が降り出す。今日は夕方から雨予報の割には降り出しは遅くなったが、夜になってやっぱり降り出した。
全然アタリがなくなる。投げても投げても糸が絡まり、根掛かりし、しかもフグが引っかかって上がってきたりして、やる気が失せてくる。
結局8時近くまでやって釣れないので、左堤防に移ることにする。釣る場所は内港の一帯で変わりないのだが、おじさんは爆釣していた。ちょっとポイントが違うのかもしれない。
左堤防では先端に二人の釣り人、いずれもアジングのようだ。
左堤防でもやっぱり釣れない。しかも度重なる根掛かりのために結束が緩くなっていたのか、サビキがサルカンから外れてしまった。白いヒラヒラの外房サビキを失う。もう一つ持っているなけなしの蓄光スキンサビキをつける。
雨はますます激しくなる。釣れない。フグが1匹引っかかっただけ。
20:50、心が折れて納竿。都合3時間くらいやってカマスは1匹しか釣れなかった。落胆。釣りは難しいものだ。だが今日は竿の故障が何と言っても痛かった。
バケツの中に入れていたなけなしのカマスは死んでしまったので、持ち帰る。
雨の中千葉に帰る。雨の夜の運転は最悪だ。雨の日、私の車はフロントガラスが曇りがちなので、前方が見にくくて危険度が高い。
幸いなことに、北上するにつれ雨が止む。降っているのは千葉県南部だけのようだ。
午後10時半過ぎ、帰着。
今回の釣行は、先週とは対照的に、3日間とも暖かい日和で、手袋は必要なかったので快適に釣りができた。
釣果としては、誰もいない、最近あまり人が入っていなそうな穴場磯で、メジナの小気味いい引きと、アイゴとの強烈なやり取りがあり、まずまず楽しめた。しかし、最後の最後で竿が壊れ、カマスが1匹しか釣れないのは大誤算だった。
持ち帰ったなけなしのカマスは、今回は干物にしてみることにする。
片袖開きにして、塩水に25分ほどつけ、その後取り出して冷蔵庫に入れておく。
翌朝、このカマスをベランダの洗濯干しに吊るす。陽が出て風も適度にあるので絶好の干物日和だ。
夕方陽が沈んだ後に取り込み、干物完成。干し時間は約10時間。
翌々日、これを焼いて食べる。美味い。刺身は生の魚の新鮮さを楽しむものだが、干物では、天日で熟成することにより旨味が増幅し、深く複雑な味わいとなる。
『美味しんぼ』風に言えば、「太陽光線がたんぱく質を分解し、旨味成分であるアミノ酸を出すのを助長する」というわけだ。
ちょっと塩が足りなかったかな。 |
2019/2/13 (Wed.) 〜2/15 (Fri.)

吉浦の磯(鴨川市) |

ウミタナゴ(吉浦の磯) |

多分オハグロベラ(吉浦の磯) |

吉浦の磯は平らだがハバノリなどで超滑る |

弁天島の釣り場。エサが瞬殺され、何も釣れない |

部原港の右堤防先端部 |

コマセに寄るサバの大群(部原港) |

右堤防から左堤防を見る。こちらが内港側(部原港) |

ダイソーメタルジグにサバが食いついてくる(部原港) |

太海浜の磯。遠くに見えるのは閉業した太海フラワーセンター |

水道状の浅場で釣る(太海浜) |

太海浜の磯では手のひらメジナしか釣れず |

サビキで2匹掛かり(部原港) |

サバに混じってイワシらしき魚も1匹掛かる(部原港) |

ワームのしっぽを魚に噛み切られる。胴にも食いつかれた跡が
(部原港) |

ついにサビキギャング釣りで初カマス(部原港) |

カマスはサビキのハリにスレでかかる(部原港) |
 |

さばいたカマス |

塩焼となったカマス |
外房釣行 2泊3日(鴨川、勝浦)
またまた外房に釣りに出かける。
2月13日水曜日。
天気は曇り。風が強く、寒い。
鴨川の吉浦の磯に到着したのは7時頃。吉浦の磯には吉浦オートキャンプ場があり、釣り人はその駐車場に車を停めて磯に降りる。駐車料金は500円。
オートキャンプ場の管理小屋からおばさんが出てくる。
「今釣れてますか?」
「いまはサヨリがいいんです。それから、正面がイシダイのポイント。向かって右のほうではメジナが釣れます。こないだ、90cmのマダイが釣れたんですよ」
「へぇ、90cm!」
「ここは午後4時に閉めるけどいいですか?」
「午後4時ですか・・・。」
つまり、4時前には上がらないといけないというわけだ。
磯を見ると、6人くらいのおじさんが並んで釣っている。朝早くから来ているらしい。
とにかく風が強い。磯は平らで、遮るものがないので、今日は相当に寒そうだ。だが、やってみることにする。おばさんに500円を払う。
「磯はハバノリっていうノリがついてるので、とても滑りやすいので注意してください」
駐車場の片隅にある簡易トイレで用を済まし、準備して磯に出る。
磯は平らで、岩にはそれほどの凹凸もないのだが、とにかく滑る。おばさんの言った通り。こないだ守谷の磯でコケて右ひざをしたたかに痛めた恐怖が再び頭をよぎる。今でもまだ膝は少し痛む。
抜き足差し足で少しずつ進む。
正面のイシダイポイントから、右のほうにずらりとおじさんたちが並んでいる。みんなウキ釣りだ。
8時頃、始めに正面で竿を出してみるが、根か、海草林が磯際から沖に向かって広がっていて、浅くて根掛かりする。
ちょっと辛いのですぐに右のおじさんたちが並んでいる方に移動するが、入れそうなスペースがないので、もっとずっと右側の先に行くことにする。
ここは海岸線がずっと磯になっていて、駐車場から離れたところでも竿を出せそうである。
だが、ミゾがいたるところに走っていて、長靴では越えられないようなミゾも多い。
深さ80cmくらいのミゾを、途中にある石を頼りに渡ろうとしたところ、海から波がやって来て、長靴の高さを超えて左足が浸かってしまった。長靴の中に水が入る。冷たい。いきなりの試練。
何とかミゾを渡り、竿を出す。ウキは3B、しかし、根だか海草が多くて釣り辛い。さらに横の磯に移動してしばらく釣る。釣れない。
すると根掛かりしてしまう。ラインを引っ張ったところ、なぜか高切れしてしまった。ウキが沖に流される。必死に玉網を掴んでウキに向かって伸ばし、回収しようとする。ウキを網に入れても、網の目よりもウキの方が小さいのですり抜けてしまう。沖に流されないよう、とにかく網に入れ、抜け出たらまた網に入れてを繰り返し、すこしでも寄せる。こうして10分くらい玉網でのれんに腕押し的な努力を続ける。なんとか磯際までウキを誘導してきて、網の目に引っ掛けて陸揚げすることができた。はぁーー。
このウキは1400円以上するので、そう簡単に失うわけにはいかなかったのである。セコイがこれが庶民の悲しさである。しかし釣りではなくこんなことにエネルギーを使っている。
仕掛けを作り直し、釣り再開。釣れない。エサが取られるようになる。ウキに変化はない。またフグか・・・。
今日は時間もそれほどないし、コマセを作らず、コマセなしで釣る。
雨が降り始める。しかも強風、先週と同じパターンじゃないか。手がかじかんで、エサをハリにつけるのが苦痛になる。真冬の釣り、これ以上ない過酷なコンディションだ。
昼頃までには、駐車場の正面にいたたくさんのおじさんたちはみんな帰ってしまった。
私はあまりに釣れないので、彼らが釣っていた場所に移動する。雨は上がった。
水深は5mくらいはある。ここなら何か釣れそうだ。
そこでようやくウミタナゴが釣れる。20cm。なんとか坊主は免れた。
雲が切れ、陽が射して来てやっと人心地着く。
だが、アタリは少ない。エサもあまり取られない。
もう誰も釣り人は来そうにないので、ポイントをいくつか移動して釣る。
ここでまた根掛かりし、あろうことかまた高切れして、ウキが流される。今度は玉網で届かないところに流されてしまい、なすすべなし。一度は救出した1400円がパー。がっくりと肩を落とす。今日はロクな日ではない。
その後やっとオハグロベラが釣れる。
そうこうしているうちに午後3時40分となり、時間切れで納竿。
ウミタナゴ1にベラ1という寂しい釣果。釣り場の雰囲気的にメジナは釣れると思ったのだが、不発。意気消沈。
午後4時に駐車場から出て、今日泊まる宿に向かう。太海港近くの旅館。
いつものように私以外は誰も泊まっていそうにない。チェックイン後、しばらく部屋で休憩して、飯を食いに外に出る。
夕飯は前回の釣行で見つけた食堂、ほほえみ。再びアジフライ定食。とても良い。
明日はどこに行くか。
2月14日木曜日。
朝5時半ごろ起き、6時過ぎに出発、今日は先週雨にたたられた弁天島で釣ることにする。
弁天島の磯は先週ほど荒れてはいない。先週と同じポイント。
私のすぐ後に、右手の張り出した岩の上におじさんが一人入った。
7:20実釣開始。ウキは3B。コマセを撒く。今日のコマセは、オキアミを使う。オキアミ+配合エサ(スーパー1スペシャル)。
普通オキアミは細かく砕くのだが、砕く道具を持ってないので、そのままの形で配合エサと混ぜる。
エサが瞬殺される。またフグだろう。何度投入しても同じ。沖に仕掛けを入れても、フグは沖まで出ているようで、エサが残らない。
ウキを5Bにし、短ハリスにしてエサ取り対策をしても効果なし。ほとんど投入した瞬間にエサが取られる。
らちが明かない。
私の右手のおじさんも同じ状況らしい。彼は早々に引き揚げてしまった。
10:20ごろまで粘るが、状況が変わらないので私も移動することにする。
弁天島、またまた屈辱の坊主。
どこに行くか思案した挙句、勝浦に上がり、部原(へばら)港に行くことにする。先週の浜行川港という手もあったが、新しい釣り場を開拓したい。
部原港に着いたのは11時過ぎ。
小さな港である。左に短い堤防、右に少し長い堤防がある。どちらの先端にも釣り人が入っているが、釣れる場所はありそうだ。
私は右堤防に入る。堤防にはテトラがない。途中、波が堤防上まで打ち上がっている。堤防途中は横から打ちつける波を受ける形となり、満潮時には堤防が洗われるようで、堤防はヌルヌルと滑る。
そこを過ぎると先端。ここには波が来ない。
先端、水道側を釣っているおじさんが二人。内港側を釣っているおじさんが一人。いずれも遠投カゴ釣りのようだ。
よく見ると彼らは青物を爆釣している。アジだろうか。
向かいの左堤防の先端でも、おじさんたちが青物を爆釣している。
私は外海側で釣る。12時ごろ実釣開始。水深は5mくらいありそうだ。根がいたるところにあり、そこが茶色に見え、それ以外は青白い、基本、砂地底らしい。
5Bのウキ。メジナかクロダイが釣れるそうなので、釣りたい。
足下にコマセを撒くと青物とフグが大勢して押し寄せてくる。青物の方が断然足が速いので、すごい勢いでコマセの周りを泳ぎまくる。
コマセに集まるサバの大群 動画
ウキが急激に沈む。こりゃ青物だ。上げると、アジではなくてサバだった。みんなが爆釣しているのはサバだ。15cm〜20cmくらいの、中小サバ。
今日は最終日じゃないので、サバを釣り上げても持ち帰れない。よってあくまで私の狙いはクロダイとメジナ。
腹が減ったのでコンビニ弁当を食べる。
ここから小さなクサフグしか釣れなくなる。フグに次ぐフグ。どこでもフグ。
サバもたくさんいるのだが、ウキ下4mくらいの仕掛けにはなかなか食いつかない。食いついてもハリ掛かりしないことが多い。
そのうち、先端の水道側に竿を出していたおじさん2人が帰っていった。私は先端に移動する。
そうそう、このおじさんの1人が、巨大なヒラメを釣り上げたことを書かねばならない。45cmくらいはあるか。水道側は砂地底が広がっている。
寒い、寒すぎる。ここも全く風を遮るものがないので、吹きっさらしで体が芯まで冷えてくる。完全な北風だ。鼻水が止まらなくなる。ズルズルと常に鼻を鳴らしながら釣る。苦しい。
手は、素手でエサを付けた後、軍手をはめ、仕掛けを投入。エサが取られたら軍手を外してエサをつけ、また軍手をはめて仕掛け投入。軍手のはめ外しが面倒くさいが、素手で釣れないほどに寒い。
その後、2人組と1人の若者がやって来て、内港側に竿を出した。いずれもジグヘッドにワームをつけているようである。
ここから目を疑う光景が始まる。
彼ら3人とも、カマスを爆釣し出したのだ。
始め一人が釣り上げたとき、サバかと思ったのだが、どうも形が違うし、全長も大きい。カマスだった。カマスという魚を初めて見た。サヨリほどではないが割と細長い体型で、尖った口をしている。
内港側にワームをキャストし、ゆっくり引いてきている。5投に1投くらいはカマスがかかる。魔法のようだ。ルアーやワームでの爆釣は初めて見た。
この港にはフグ、サバ、カマスの大群が同居しているのだ。
後で調べたら、カマスは獰猛な肉食魚で、ベイトを追って港に入ってくるという。群れなのだろう。サバは15cm〜20cmくらい、カマスはだいたい25cmくらいだが、サバを食べるのだろうか?
まぁとにかく、カマスはいままであまり縁のない魚だっただけに、これだけ港内にいるというのが驚きである。
私はワームを持っていないので、試しにダイソーのメタルジグをバスロッドにつけて投げてみる。カマスの反応はない。だがサバが食いついてきた。
3人のうち2人は、カマスを釣るだけ釣って帰っていった。
サバを爆釣していたベテランのおじさんと話す。
ここはメジナも大型が出るらしい。クロダイにはまだちょっと早いとのこと。
いい港じゃないか。フグはやっぱり多いが、サバもカマスも爆釣できるし、ヒラメ、メジナ、クロダイと魚種が豊富だ。
私は午後4時半まで釣って納竿。
今日は結局、サバとフグしか釣れなかった。メジナはフグとサバに阻まれて1匹も釣れず。
私は決意する。明日までにワームを購入し、明日またここに来てカマスを爆釣してやる、と。
それともう一つ。ここで釣りをしているおじさんたちの何人かは、釣り上げたフグやサバを、無造作に堤防上に放置する。要らないなら海に戻せばいいものを、生き物をなにかモノのように扱っている。非常に不愉快だ。
放置された魚を狙って、海鳥たちが集まってくる。彼らは人間がいるので遠巻きにじっと魚をうかがっている。
今日の夕食は、ほほえみではなく、宿に近い食堂を試してみる。だが、ここは定食が軒並み1000円以上する。
仕方ないので安めのカツ丼並みを頼む。これでも800円。味は悪くはないが、ほほえみに比べるとコストパフォーマンスが著しく劣る。もうここには来ることはないだろう。
2月15日金曜日。
朝5時半に起き、6時過ぎには宿をチェックアウト。チェックアウトと言っても、宿には誰もいないので、フロントの台に鍵を置くだけである。ここには2泊したが、始めの日のチェックイン時以外、従業員の姿を一度も見なかった。完全なる放置プレイ。以前の勝浦の宿もそうだったが、勝手にやってください的安宿がこの辺りには多い。経営が苦しいのだろう。まぁいまはシーズンオフだということもあるが、常時人を置いておくわけにはいかないと思われる。夏の海水浴シーズンや、春秋の観光シーズンには鴨川シーワールドへ行く客などで少しは賑わうのだろうか。
今日は午前中、宿にほど近い太海浜の磯で釣ってみることにする。ダメならすぐにワームを買って、部原港でカマス爆釣だ!
太海浜の磯は、太海港の堤防の外側に広がっている。宿からは車でたったの1分。
太海港は以前アジ狙いでサバを爆釣したところだ。今日も堤防先端に釣り人の姿が見える。アジだろう。
磯に降りる。誰もいない。右手後方には、「太海フラワーセンター」という閉業してしまった建物群が廃墟となっている。
イケス跡の前にあるちょっとしたワンドで釣ってみる。水深は3m弱か。
7時頃から実釣開始。コマセを撒く。アタリはない。エサも取られない。
一度外海側に釣り座を構えて釣ってみるが、手前は海草林が広がっており、浅くてすぐに根掛かりする。少し沖に深めの場所が見えるが、そこまで投げるとウキが見にくい。昨日Lサイズの1400円もするウキを失ったので、小型のウキしか持っていないのだ。すぐにここで釣ることを断念。
ワンドに戻り、向かいに岩礁のある水道状の水路で釣ってみることにする。しばらくするといきなりウキが沈み、魚がかかる。手のひらサイズのメジナ。メジナ、久々に見た気がする。1週間ぶりだけど。
その後、時々ウキが鬼のようなスピードで沈むようになる。すかさず合わせても、なにもかからない。エサが取られている。
始めはメジナかと思ったが、ウキの勢いがおかしい。サバかアジといった青物的な消し込み方だ。
サバだろうか?ここは太海港とつながっているので、前回と同じ状況ならば、この辺りをサバが群れをなしていても不思議ではない。
何度も何度も同じことが繰り返される。ウキが沈み、合わせての空振り。魚がかかったような手応えも何回かあったが、途中で手応えがなくなってしまう。
一度フグのような魚がかかったが、引き上げる途中でハリが外れた。
コマセを撒いてもサバの姿は見えない。だがウキは沈む。ひょっとしたら、下にある海草の生えた根にハリが巻き込まれてウキが沈んでいるのかもしれない。ユラユラの海草に仕掛けが絡みついた際に、ブルブルと魚がかかったような感触になることはいままでにも経験している。
確かに、いつも同じところでウキが沈み込むような気もする。
私は躍起になってなんとかこの正体を突き止めようと何度も何度も仕掛けを投入するが、魚はかからない。
あまりに掛からないので、やっぱり海草かと諦め始める。
結局10:40まで粘ったが、メジナ以降は何も釣れず。釈然としないまま釣り場を移動する。今日は部原港に行かねばならないのだ。
途中のアタック5でワームとジグヘッドを購入。何しろ海でワーム釣りなど初めてなので、昨晩、ネットでカマス釣りの仕掛けを色々検索してみた。サビキとかメタルジグでも釣れるそうだが、何と言っても昨日、ワームで爆釣を見てしまっているので、私の眼中にはワームしかない。
アタック5の店員さんに聞き、カマスには目立つ色のワームがいいというので、白と黄色を買う。確かに、昨日の若者たちもそんな感じの色だった。
途中のコンビニで弁当を買い、もう昼近いので駐車場で食べる。
部原港に着いたのは12時過ぎ。右堤防にはやっぱり3人の釣り人が入っている。先端に2人、手前の内港側に1人。ま、カマスは内港で釣れるので、問題なかろう。先端の2人の後ろに陣取る。
12時半ごろ、実釣開始。
まずは状況を確認するため、コマセをヘチ際に撒いてみる。昨日同様、凄まじい勢いでフグとサバが寄ってくる。
今日はカマス狙いだが、カマスが釣れなかった時のことを考え、お土産用にサバを釣っておくことにする。5.3mの磯竿にウキ仕掛けをセットし、ウキ下2mでサバを釣る。
コマセを足元に撒くと、どこからかぎつけたのか、あっという間にサバたちが湧き上がる。まさにイケスへの餌付け状態。
そのような状態にもかかわらず、なかなかチヌバリ2号にハリ掛かりしない。ウキ下も長すぎるのだろう。それでも、フグが混じりながらもサバを数匹上げる。
それにしてもヘチ際での釣りは、5.3mの竿だと長すぎて非常に釣りにくい。
さあ、いよいよカマスのワーム釣りだ。バスロッドにワーム(グラスミノー)+ジグヘッド2gの仕掛けをつけ、キャスト。ゆっくりゆっくりと引いてくる。
しかし、何度投げても全くアタリがない。あれ、おかしい?こんなはずではないのだが。
昨日は、午後から来た若者たちが、ワームで爆釣していたのだ。日中から釣れるはずなのだ。1日でカマスがぱったりいなくなったとでもいうのか?
だが、カマスはまだウジャウジャいることが程なく分かる。
私の後ろで、内港側を釣っていたおじさんは、サビキにごついナス型オモリをつけて遠投していたのだが、なんとこれが、カマスのサビキギャング釣りだった。
おじさんは、キャスト後、仕掛けを引いてくるときに、何度も何度も、大きく竿を手前に動かして、引っ掛ける動きをするのだ。すると、カマスが面白いように掛かる。
私は愕然としておじさんに見入る。彼は、ほとんど毎投、カマスを引っ掛けて釣り上げている。これは昨日のワームの若者たちよりも「爆釣」という言葉にふさわしい。
カマスはサビキハリにスレで引っかかって上がってくる。まさにギャング釣り。アユの友釣りのような感じか。サビキのキラキラバリに、食いついてくるのではなくて、体当たりしてくるのだろうか。
それにしても恐るべき爆釣ぶりだ。
私はしばらくワームを投げていたが、全然釣れないので、おじさんのギャング釣りに挑戦することにする。
バスロッドのワーム仕掛けを外し、サビキの下にナス型オモリ3号をつける。サビキは外房仕様のアジ用。白いヒラヒラがついている。
仕掛けの長さが1.5mくらいあって、竿が1.7mなので非常に投げ辛いが、何度か投げて、おじさんのようなアクションを見よう見まねでやってみる。全然ダメ。
オモリが3号だと向かい風の中遠投がきかないので、5号に変更。これで大分遠くまで飛ぶようになった。
しばらくやってみるがダメ。
そのうち、おじさんは帰っていった。彼はおそらく、クーラーボックス一杯のカマスを釣り上げただろう。50匹くらいは釣っているのではあるまいか。
私はおじさんが投げていたところで釣ってみる。本当の港内側である。普通なら、外海の潮通しのいいところがポイントとなるのだが、こんな内港で、しかもそれほど水深もなさそうなところでカマス爆釣である。
しばらくして、ついにアタリあり。引いてくると、カマスがスレでかかっていた。ついにやった!
初カマス。全長は25cm。鋭い歯を何本も持っている。精悍な魚だ。
その後もおじさん並みの爆釣を狙うが、それっきりかからない。
すると二人組のルアーマンの若者がやってきた。彼らはしばらくは釣れなかったが、一人の方がカマスを釣り上げた。やっぱりワームだ。
彼の動きを観察する。キャスト後、彼はリールを巻かない。竿を立てて、竿先をチョンチョンと動かしてワームにアクションを加える。そうか、ルアー釣りとは全然違うのか。
私はギャング釣りが釣れないので、再びワームをつけ、若者のようにやってみる。だが釣れない。釣れないどころか、ワームにはペリカンの足のようなヒラヒラした「しっぽ」がついているのだが、このしっぽ部分を、次々と魚に噛み切られるようになる。ヘチ際でワームを見ていると、ワームの後ろから魚が追っかけてくる。どうやらフグにちぎられているようだ。
ワームを新しいのに変えても、すぐにしっぽを噛み切られる。チクショー、フグめ。エサ釣りではエサを取り、ハリスを切り、ワームにも噛みつくか。手に負えない。
仕方ないのでシーバス用の必殺メタルバイブやダイソー100円メタルジグを投げてみるが、何度かアタリはあったものの、ハリに乗らない。
時間だけが過ぎる。
漫画のような出来事が一つ。メタルジグを投げた際、なんと右から左に空を飛ぶ鳥にラインが引っかかってしまったのだ!鳥はそのまま飛び去ろうとして、ラインがどんどん引っ張られる。まさに、鳥のゲイラカイト状態。
このままではマズい。鳥に引っ張られてメタルジグが鳥まで行き、ハリに引っかかって鳥が釣れてしまうかもしれない。慌てて竿を振って鳥からラインを外そうと試みる。すると程なくしてラインは鳥から外れ、事なきを得た。
危なかった。鳥にハリをかけて墜落させたなんてことになったら、動物愛護団体に訴えられてしまう。
気分転換のために再びサバ釣りに戻る。今度は5.3m磯竿のウキ釣りではなく、バスロッドの短竿に再びアジ用のサビキをつけ、サビキ釣り。ヘチ際にコマセを投入してはサビキ仕掛けを入れる。面白いようにサバがかかる。2匹掛かりも珍しくない。こうして計15匹は釣ったので、これで十分。ちなみに、イワシらしき魚も1匹釣れた。堤防でぴちぴち跳ねているうちに、ウロコがどんどん剥げてしまう。
コマセにはフグも集まってくるのだが、サバの方が圧倒的に足が速いうえに、サビキであればほぼサバを選別して釣ることができる(注:フグは何にでも食いついてくるので、サビキでも釣れる)。エサ釣りだとこうはいかない。フグが掛かる可能性が高くなる。
日が傾いてくる。
ワームの若者の1人がカマスを爆釣し始める。もう一人の連れ合いの方は全然釣れないので、誰でも釣れるわけではなく、やはり技術が必要なことが分かる。ルアー釣りはそんなに甘くない。
誘い方なんだろう。いかにカマスを引きつけるアクションを与えるか。
サバはもう充分釣ったので、私は最後、ギャング釣りにかけることにする。もうすぐ暗くなってしまう。カマスはまだ1匹しか釣っていない。家族4人分まで、あと3匹は釣らねばならない。
内港側に何度もサビキを遠投し、引いてくる。5時を過ぎ、もうすぐ日没という頃、ついに2匹目がヒットする。
その後は、夕まづめでカマスの活性が上がったのだろう、20分のうちに立て続けに3匹掛かった。やった、これで〆て5匹。
さらに投げ続けるが、もう暗くなり、周りが見えなくなる。こちらの堤防には2人の若者がルアー釣り、向かいの左堤防では2人のおじさんがサバを爆釣している。あっちも昼から入れ代わり立ち代わり地元と思われるおじさんがやって来て、みんなカゴ釣りでサバを爆釣。みんなよく飽きないでせっせと釣るものだ。全員50〜100は釣っているように思われる。
そんなに獲って食い切れるのかいな?冷凍して毎日サバか。100匹ともなると、さばくのだけでも大変だ。
一方、カマスを爆釣していたのは、さっき帰ったギャング釣りのおじさんだけだったようだ。向かいの堤防でも同じようにギャング釣りをしているおじさんがいたが、あまり釣れていた様子はなかった。
まだまだやり続ければカマスがさらに釣れそうだったが、暗くなり、雨も降り始めたので終了する。午後5時50分。
ヘッドライトをつけ、竿をたたみ、荷物を片付ける。今日はカマス釣りに時間を割いたので、コマセは大分余ってしまった。海に捨てる。
持ち帰りはサバ17、イワシ1、カマス5。今日はフグもエサ釣りで1匹だけ釣れたが、フグがこれだけ大量にいるのに他の魚が爆釣できるのは今までにないパターンだ。もっとも、昨日はメジナ・クロダイ狙いのウキ釣りでフグばかりだったが、今日はサバ・カマス狙いのサビキ釣りが中心だったせいもある。
家に帰り着いたのは午後8時前。
夕食後、魚をさばく。カマスはすべて25cm前後。ウロコををはがして内臓を取り、血合いをよく洗う。明日にでも塩焼だ。サバとイワシは15〜20cm。頭を落として内臓を取る。こちらも血合いをよく洗って臭みが残らないようにする。キッチンペーパーで水気を取り、塩コショウをして保存。
3枚におろすわけではないのに、23匹さばくのに30分以上かかる。こりゃあ、100匹なんてとてもさばいてられない。
翌日、カマスを塩焼にして、大根おろしでいただく。白身がしっかりしていて美味い。
カマスは干物も美味しいというから、次は干物を作ってみたい。
今回の釣行は、2日目までは全くの貧釣果、3日目もカマスがなかなか釣れなくてどうなることかと思ったが、最終的にはなんとか帳尻は合った。ギャング釣りのおじさんさまさまだ。彼がいなかったらギャング釣りをすることもなかった。ワームでは結局釣れなかったので、もっと研究せねばなるまい。 |
2019/2/10 (Sun.)

田染の荘(たしぶのしょう)の景観(大分県豊後高田市) |

熊野磨崖仏(大分県豊後高田市) |
 |

東九州自動車道の空 |
床屋、パソコン修理完了、美味しんぼ 晴れ時々曇り@千葉市
今日は行きつけの床屋に西小山まで行く。ここではきっちりと3か月ごとに髪を切るのだが、前回の11月は瀬戸内海の島に滞在していたため、島の床屋に行ったのだが、おかしなことにはならず、初入店にしてはとてもいい床屋だった、というのは日記に書いた通り。
というわけで西小山の床屋は6か月ぶり。店長といつも通り色々な話をする。今回は3か月ではなく、ここ6か月に起こったことを話したので話が尽きない。瀬戸内海でのホテル勤務のことを話して聞かせる。仕事がら、店長は聞き上手なので、楽しく会話できる。
帰り、千葉のヨドバシカメラで修理に出していたパソコンを回収。一昨日修理完了の連絡が来ていた。1月28日に修理に出したので、ちょうど2週間での回収。
それにしても、この2週間というもの、パソコンなしで過ごしたところ、とても手持無沙汰となってしまったことに気づき、愕然とする。
よく考えれば、日々パソコンに向かっている時間のなんと多いことか。ニュース、動画の閲覧、調べもの、物書き、動画編集、写真の整理などにもはやパソコンは日常になくてはならない品物となっている。
結局私も電脳世界の住人である。
あまりに暇なので、この2週間は、釣りに行っていない時間は、ずっと漫画『美味しんぼ』を読んでいた。私の家には母が好きなので『美味しんぼ』が全巻揃っている。なにしろ全111巻もあり、しかもこの漫画、文字がやたらと多いので、読むのに時間がかかる。時間つぶしには持って来いと言える。全巻読み終わるのにはまだまだ相当の時間がかかるだろう。料理の作り方や食材の説明がとんでもなく多いし、なにしろ登場人物たちが、味わった料理を評するのにこれでもかと言葉を使う。
「パルミジャーノの甘みのある深い味に、ネギ味噌の渋い味がぴったり合う!」とか、
「豆の柔らかな感触、数の子のプリッとした歯触り、この取り合わせが快い」とか、
「むっちりといい歯触りで、とろりとして!とても贅沢なおいしさだよ!」とか、登場人物すべてが料理評論家となり、言葉を尽くして味の説明をするのだ。
よくよく読んでみるとこの漫画、作者の主張が一貫して明確で心地よい。農薬・化学肥料の使い過ぎなどによる食品の安全性に警鐘を鳴らし、環境破壊による生態系の崩壊を憂い、そして様々な社会問題、例えばコメ輸入問題や捕鯨問題に対しては、明確な主張を展開する。どっちつかずではなく、スタンスを明確に打ち出しているところが実に潔い。しかもその考え方のスタンスに私がほとんど賛同できるのがいいではないか。たとえば、欧米の反捕鯨勢力に明快に反論しているところなどは痛快である。
最近知ったのだが、この『美味しんぼ』の内容が大論争を巻き起こしたらしい。それは、福島の原発事故を扱った、「福島の真実」編である(2014年)。
福島を取材して東京に戻った主人公が、鼻血を出したり、疲れやすくなったのは、低線量の放射線被ばくをしたからではないか?という記述が波紋を呼んだ。こういう記述は風評被害を助長する、という批判が巻き起こったのである。
私も早速単行本を読んでみたが、とりわけ問題がある内容には思えなかった。いつも明確な主張をする作者も、この福島の問題ばかりは断定的には書けないため、「そういう可能性もある」というニュアンスで書いていたので、それほど違和感は感じなかった。(※注:私が読んだ単行本は、スピリッツでの連載版から、様々な論議や批判を受け、いくつかの記述が訂正されているそうである)
以前も震災後に書いたと思うが、原発問題に関して常に大論争があるのは、何と言っても、「どのくらいの線量を被ばくしたら人体に問題なのか?」「どのくらいの放射性物質を含む食品を食べたら人体に問題なのか?」という、線量や放射線含有量の安全基準が分からないからである。今の科学・医学では、解明しきれていないのだ。政府や国際機関が設定した基準値が信じられるか?ということだ。
それを前提にすれば、人によって対応に差があるのは当然である。大丈夫と言っている学者もいれば、危ないと言っている学者もいる。もちろん放射線量だけの問題ではないが、みんな分からないので、福島から出ていく人もいるし、福島に留まる人もいる。
そのように色々なことが分かっていない中で、放射線量の基準値を引き上げた(緩和した)政府の対応は、明らかにおかしい、ということだけは言える。国民の安全と健康を守るべき政府が、賠償金や移住費用が賄えないからと言って「安全です」と言っているのだとすれば、それは政府ではない。
そして、本当に分からないのは、これだけの事故を起こしておきながら、政府がまだ原発を動かそうとしていることだ。これも金や利権絡みだろう。
原発なんてなくても我々はやっていけるのだ。
政府の人間たちは、故郷を失った人びとの痛みが、まるで分かっていない。政治家の資質というよりも、人間の資質に欠けるとしか言いようがない。
ちなみに、『美味しんぼ』は、この「福島の真実」編(2014年)を最後に、休載中である。だが、長年確執を続けていた主人公とその父親が、「福島の真実」編で最終和解したので、まぁ、これで完結としても問題ないだろう。
ちょっととりとめなくなりましたが、こんなところで。 |
2019/2/9 (Sat.)
大雪 雪時々曇り@千葉市
昨晩遅くから千葉は大雪。1日で5cmくらい積もったか。
だが、夕方には止んで、すぐに溶け始めた。
今日の最高気温は4℃くらいまでしか上がらなかったようだ。
寒くて外に出る気はまったくしない。
車で出かけようにもタイヤはノーマルなので無理。
ミャンマーから帰ってからこのかた、寒さに弱くなったと何度か書いたが、スキーなどもう行く気もしない。
札幌なんかは真冬日だというが、1日中0℃以下なんて、とても信じられない。
以前は仙台とか郡山とか、わりと寒いところに住んでいたのだが、今住んだらきついだろうなぁ。 |
2019/2/6 (Wed.) 〜2/8 (Fri.)

弁天島の磯際。荒れている |

雨上がり、鴨川港の堤防で釣るも何も釣れない |

安房鴨川駅近くのお薦め食堂、ほほえみ |

朝焼け(鴨川) |

浜行川港の赤灯堤防先端 |

不幸にもハリに貫かれてしまった小魚(浜行川港) |

やっと釣れたメジナ23cm(浜行川港) |

ウミウが魚を獲りまくる(浜行川港) |

浜行川港 |

美しいウミタナゴの魚体(浜行川港) |

アナハゼの頭を上から(浜行川港) |

28cmのジャンボヒガンフグ(浜行川港) |

ジャンボフグともなると歯が人間のよう(浜行川港) |
外房釣行 2泊3日(鴨川、勝浦)
2泊3日で外房に釣行に出る。
2月6日水曜日。
朝から雨模様。天気予報によれば、昼頃には雨が止むはずである。
まずは鴨川港に隣接した弁天島で釣ることにする。前回はフグに悩まされながらも、なんとかメジナ25cmを釣った場所である。その時は港に近い浅場にしか入れなかったが、今日はもっと奥の深いところに入りたい。
鴨川港に着いたのが6時半。ちょうど日の出の時刻。雨が降っているが釣れないほどの大雨でもないので、準備して島に渡る。駐車している車は1台のみ。
弁天島のなかほど、南に向いた磯に入る。釣り人の姿は一人。私の右手の張り出した突起状の磯で釣っている。
7時半ごろ実釣開始。コマセはまだ解凍中。
磯際の水深は、5m以上ある。波が次々に打ち寄せ、磯際は一面白くさらしている。だが、それほど海面は上下しないので、何とか釣れる状態。
オキアミエサの半遊動ウキ釣り。ウキは円錐3B。
アタリがない。エサも取られない。海は荒れ気味で、魚が摂食活動をしてないような感じである。上下動はそれほど大きくないが、海中は激しく動いているような感じである。仕掛けが落ち着かない感じ。
ウキ下、ポイントを変えてもダメ。無反応のまま時は過ぎ、そのうち雨が激しくなってくる。
右手で釣っていたおじさんは撤収してしまった。
雨が激しくなり、釣れる感じもないので、10時頃、私も釣りを諦める。
車に戻り、車の中で雨宿り。持ってきた漫画『美味しんぼ』を読む。そのうちに睡魔が襲ってきて、ウトウト眠る。
昼頃には雨が止むとの予報だったがとんでもない、午後に入り、3時になっても止まないどころか、ずっと激しい雨が降り続く。
天気予報も当てにならない。
車の中で弁当を食べ、漫画を読み、昼寝する。
午後4時、ようやく雨が止んだので、日没までの時間、鴨川港の堤防で釣ることにする。右堤防の奥に突き出た突堤の先。
水深は5m以上ある。水道側に仕掛けを投入。朝余ったコマセをバンバン撒くが、全くアタリなし。エサ取りもなし。
結局日没後5時半まで釣ったが全く釣れず。今日は大雨だったとはいえ、屈辱の坊主。
鴨川市内、ヤックスに併設したアタック5で、明日のコマセ用のアミエビを購入。それから泊まる宿にチェックイン。
泊まる宿は鴨川港からほど近い、洋風の建物。従業員のおばさんに、この近くの食堂を聞くと、いくつかありそうだ。
教えてもらった食堂が閉まっていたので、安房鴨川駅方面に歩き、駅近くの食堂「ほほえみ」に入る。午後6時。
アジフライ定食750円。ボリュームもあり味もよく、大満足。ここはいい。明日も来よう。
天気は回復した。
明日の釣りに備えて早めに寝る。
2月7日木曜日。
寝坊。5時半に起きるつもりが、起きたのは6:20。7時に宿を出発。
朝から晴れている。
今日は浜行川港で釣ることにする。弁天島はなんとなく釣れなさそうな気がするのだ。
浜行川港は、勝浦市の鴨川寄りにある漁港。クロダイ、メジナ、アジが釣れるとガイドには載っている。
8時頃到着。
有料駐車場にはおばさんが待ち構えている。駐車料金は400円。おばさんと会話する。
「ここんとこ、アジが釣れてないのよ。だから最近釣りの人も少なくて、昨日は雨だったけど、10時まで誰も来なかったから帰っちゃったわよ」
昨日はさすがに大雨で釣り人はほとんどいなかったそうだが、今日はすでに3台くらい車が停まっている。ちょうど2組4人の釣り人が朝の釣りを終え堤防から戻ってきた。きっと暗いうちから釣ったのだろう。東京から来たというおじさん二人組が嘆いている。
「せっかく東京から来たのに、アジの1匹でも釣れれば良かったんだけど」
おばさんが謝る。
「ごめんなさいねぇ。ここんとこアジが釣れないのよ」
「いや、奥さんが謝ることじゃないよ」
私は準備して堤防に向かう。私はアジ狙いではなく、メジナ、クロダイを釣りたい。もちろんアジが釣れればうれしい。
赤灯堤防は外側にテトラが入っていて、赤灯の建つ先端は四角の平地となっていてテトラはない。ここに釣り人は集中する。
私が入った時は1人しかいなかったので、ベストポイントに見える堤防先端の角に入ることができた。
ここから主に外海側を狙う。堤防から3mくらいは基礎石が入っていて、その奥が深くなっている、その際が狙い目らしい。奥の水深は5m〜6mある。
ヘチ際には小さな小さな魚が無数に遊泳している。堤防のヘチ際ずっと取り囲んでいるようだ。3cmくらいの小さな魚。凄まじい数。
風が強い。
円錐ウキ5B、コマセはアミエビ+配合エサ(スーパー1スペシャル)。ウキ下は3mくらいからスタート。8時半。
基礎石の際〜沖10mくらいまでを探る。釣れない。エサもなかなか取られないが、何かいそうな気配はある。海は穏やかで長い磯竿なので仕掛けは入るので、ウキを5B→3Bに変更し、仕掛けを軽くする。
9時半ごろ、ようやく手のひらサイズのメジナが釣れる。
風がさらに強まり、気をつけてはいたのだが、水くみバケツが風に流されて海に落ちてしまった。玉網を懸命に伸ばすも届かず。
この水くみバケツには、ルアーの針が刺さって穴が開いてしまい、汲んだ水が徐々に抜けていってしまうため、水が少なくなって重量が軽くなり、風に飛ばされてしまったのだ。痛恨だが仕方ない。600円くらいで買えるはずなので、また購入しよう。ちなみに、この流されたバケツは2代目で、いずれも海の藻屑と消えてしまった。
その後、私の脇にフカセ釣りのオヤジが新しくやって来て、ずうずうしくもウキを私の前方にどんどん投入してくる。私はムカついたが、我慢する。狭い釣り場なので助け合いの精神が肝要だ。
だが、時々明らかに私の領域にウキを入れてきたときには、警告のために奴のすぐ近くにウキを投入した。すると、オヤジはようやく気づいたのか、ウキを引っ込める。しかし、その後も私の領域への仕掛け投入は一向になくならない。確かに奴の目の前の海は、浅めでポイントとしては今一つである。しかし、それは言い訳にもならない。
このオヤジはとにかく盛んにコマセを撒きまくり、釣る。私は彼のウキが目の前に来るし、なかなか釣りに集中できない。そんなこんなで私もこのオッサンも釣れない。
始めのメジナ以来、全く何も釣れずに時が過ぎる。もぞもぞしたアタリはあるのだが、明確なアタリがなく、エサが取られるようになる。
昼過ぎ、何かがハリに掛かったと思ったら、例の小魚だった。2〜3cmしかない、イワシの子どもか?ハリに串刺しになっている。不幸にも私のハリの周りにいたのだろう。
昼飯はコンビニ弁当。
海にはウミウがいて、盛んに我々の前で海に潜って魚を捕えている。海面近くで例の小さな小魚を追い回したり、もっと深く潜っていたりする。これが邪魔でいけない。裏を返せば、それだけ魚影が濃いということで、釣り人にとってはいい情報なのだが。
午後、私はついにオヤジの圧力に耐えかね、右手の水道側にポイントを移動する。
すると、隣のオヤジにアタリが。ウミタナゴのようだ。しかしその後、奴は足裏サイズのメジナを釣り上げる。チクショー。私は焦る。もう3時を過ぎている。今日はメジナ1匹しか釣れていない。
水道側、5m〜10mくらい沖にコマセを撒き、ポイントを作る。するとようやくアタリ。掛かった魚は右に左に暴れまくる。メジナだ。抜き上げる。23cm。足裏サイズ。
その間、例のオヤジにもアタリがあり、奴は何匹かの足裏サイズのメジナを釣り上げていた。チクショー。
私も30分後に再びメジナ。これも走りまくり、引きは強く楽しめた。同じく23cm。
夕方、アジのカゴ釣りのおじさん3人組と2人組がやってきて、私の脇に陣取る。狭い堤防先端は、人で一杯になる。だが、やっぱりアジは全然釣れないようだ。
夕方、私の隣の浸食オヤジが声を上げる。
「ヒラマサだ!」
1mはあろうかという巨大なヒラマサが、ヘチ際、我々の足下を悠々と泳いでいるのだ。始めはサメかと思った。こういうヒラマサが港内にいれば、アジは怖くて近寄れないわけである。このヒラマサのおかげでアジが釣れなくなっているようである。
堤防にいる釣り人たちが感嘆の声を上げる。アジ釣りのおじさんたちは「ダメだ、こりゃ」状態に陥る。
日が暮れる前に、浸食オヤジは帰っていった。私は日が暮れたあと、午後5時半、納竿。
結局今日はメジナ3のみ。23cmの足裏が2枚なので引きは楽しめたが、あまりに少なすぎる。
この浜行川港で特筆すべきは、フグがいないことである。勝浦近辺の海には、とにかくフグが多く、エサは取られる、ハリスは切られるで最近は勝浦を敬遠していた。しかし、今日はエサ取りに悩まされることもなく、結果的にはあまり釣れなかったが、なんか精神的に期待感が持てる釣りができた。
隣の浸食オヤジは、足裏サイズを5枚くらいは釣っていたようだ。悔しい。敗北感。
アジ釣りのおじさんたちはしばらく夜釣りをするようだ。夕まづめとはいえ、ヒラマサがいるんじゃ期待薄だろう。
それにしても、こんな港内になぜヒラマサが入ってきているのだろうか?
今日も夕食は鴨川駅近くの食堂ほほえみ。サバの味噌煮定食はサバがないというので、中性脂肪が気になる私ではあるが、トンカツ定食。これも良かった。カツも良し、キャベツも大量、ご飯の量も多い。これで800円なら大満足。
アタック5で新しい水くみバケツを購入。宿に戻る。
明日こそは早く起きて、浜行川港でリベンジだ。足裏がいるなら、もっと大型のメジナもいるかもしれない。
2月8日金曜日。
今日も大物を求めて、浜行川港で釣る。
朝6時に宿をチェックアウトし、6時40分、日の出頃に浜行川港に到着。堤防先端には誰もいない。いいぞ。天気は良さそうだ。
昨日と同じ、外海側を釣る。7時過ぎ、実釣開始。ウキは3B。ウキ下は3m〜4m。
1時間ほど何も釣れなかったが、ウキがやや動いたところを合わせるとウミタナゴが釣れた。20cm。オレンジ銀の魚体が美しい。
10分後、再びウミタナゴ。ウミタナゴは口が小さく、飲み込むまで吸い込むこともあるが、ほとんどはエサを突いている感じで、ウキにあまり動きが出ないことが多い気がする。
その後1時間再び何も釣れなかったが、左手のテトラに近いところでアナハゼが釣れる。そこは水深が浅いため、結果的に底スレスレを釣っていたことになったのだろう。
その頃、アジ釣りのおじさん2人組がやってきた。私とは反対側の内港側に遠投ウキを投げてカゴ釣り。だがやっぱり釣れない。
10時50分、私に大きな魚がかかる。始めは根掛かりかと思うほど重い手応えだったが、竿を立てると魚は暴れ出した。大物か?期待に胸が高鳴る。
魚は泳ぎまくるが、どうもメジナのようなスピード感はない。がとにかく重い。
水面に上がってきた魚を見て愕然とする。フグである。それも巨大な。
とても抜き上げられないので、玉網ですくい上げる。なんと、28cmのヒガンフグ。メジナやクロダイの大物記録は更新できないが、フグは最近着々と大物を釣り上げている。
28cmのフグは、とにかく重い。同じ全長の平べったい魚に比べると、断然重い。
友人が言っていたが、最近、温暖化の影響か、暖かい海にいるヒガンフグが日本近海に増えているという。簡単に彼岸に行けるほどの猛毒を持っているのでヒガンフグという名前だそうな。ヒガンフグの歯は鋭く、噛まれると人間の指も引きちぎられるという。
確かに、28cmのヒガンフグともなると、口は大きく、噛まれたら痛そうである。フグに噛まれたことは2度ほどあるが、いずれも小型のクサフグだったので、ハンコのような丸い跡がついたくらいで済んだが、このジャンボフグには気をつけねばなるまい。
ハリを外してリリース。
その後、昼から午後にかけて、全く釣れなくなる。今日は大メジナを期待して釣っているのだが、メジナが現れない。干潮が12:41(勝浦)。干潮の潮止まりか。
午後3時を過ぎて、ようやくウミタナゴがかかる。この時はウキが明確に消し込んだ。
4時半ごろ、昨日と同じく、そこらじゅうにいる3cmくらいの小魚が、運悪くハリに刺されて上がってきた。
夕方、さらに一人のおじさんがやって来た。やはりアジ釣りのようだ。このおじさんが話好きで、色々教えてくれる。
そこへ、昨日と同様、巨大なヒラマサが現れる。2匹いる。ヘチ際を悠々と泳いでいる。さすがに小さなウミウではこのヒラマサは食えない。
おじさんはこの辺りの釣りの事情通らしく、解説してくれる。
「去年の11月くらいから、この雌雄のヒラマサが港内に入って来て、アジが釣れなくなってるんですよ。どうやら繁殖行動のためらしい。こんな人間の足元に来てるってことは、人間を害をなすものとしてみてないからなんですよ。要するに港内には天敵がいないから、居心地が良くて居座っちゃうんです。ヒラマサの天敵と言えば鳥と人間だけど、ここは安全だと思ってるみたいです。」
「誰か強力タックルで釣らないんですか?」
「繁殖行動中はなかなか釣れないようです。だけど、このまま手をこまねいていてはアジが入って来ないので、彼らを釣る動きもあるようです」
なるほどねぇ。外房沖にはヒラマサが棲息しているが、港まで入ってくることは通常ないらしい。面白い話だ。
この事情通のおじさんは、いろいろ教えてくれた。浜行川港でのメジナやクロダイの隠れポイント、クロダイやメジナ狙いなら、近くの磯「実入の磯」が有望、などなど。
アジ釣りのおじさん2人組は、全く釣れずに夕方帰っていった。ここでは今まで来ればアジが釣れていたそうだが、坊主は2度目だと言っていた。
私も、午後5時半に納竿。
午後はエサ取りが激しく、クロダイ狙いの黄色い練エサを使ってもみたが不発、練エサも食べられているので、おそらくエサ取りはフグだろう。フグにはお手上げだ。
結局今日の釣果はウミタナゴ3、アナハゼ1、ジャンボヒガンフグ1。
今回の外房釣行も、パッとしない釣果で終わった。クロダイもメジナも、大きなものが釣れない。クロダイは姿すら見えない。乗っ込みシーズンにはまだ少し早いとはいえ、難しいものだ。
今回の収穫と言えば、だいぶ5.3mの磯竿の扱いに慣れてきたことだ。3日間使って、仕掛けの扱いやエサ付けの手返しなど、取り回しの仕方のコツを覚えてきた。
この竿を振り回した翌日は相変わらず筋肉痛であるが。
|
2019/2/3 (Sun.)
通夜参列 晴れ時々曇り@千葉市
先日、小中学校時代の同級生の母上が亡くなり、その通夜に参列した。私含め、同級生は4人参加。
場所は日蓮宗の立派なお寺。日蓮宗では、僧侶の指導のもと、「南無妙法蓮華経」を参列者全員で延々と唱和する。ちなみに、創価学会や立正佼成会も日蓮宗系(法華経系)の宗派である。
参列した友人の1人が、香典袋に香典を入れ忘れたことが判明し、係の人から指摘され、改めて袋に入れるという失態を演じる。
僧侶の読経と焼香を終え、参列者は別室で食事。寿司、天ぷら、煮物が大量に用意され、食べても食べても新しいのが回されてきて食べきれない。
明日の告別式は親族だけで行うとのこと。お世話になった人の最期に立ち会うのは大事なことだとあらためて感じる。 |
2019/2/1 (Fri.)
 |

フレディが生まれた街、ザンジバル島・ストーンタウンの街並み
(タンザニア) |

ストーンタウンの街並み |

ストーンタウンの街並み |
ボヘミアン・ラプソディ 晴れ時々曇り@千葉市
今日はファーストデーなので、映画を見に行くことにする。何を見ようかとネットで検討する。いま多方面で大絶賛されている『ボヘミアン・ラプソディ』にする。他に見たいと思える映画もなかった。
午後6時10分上映開始。広い映画館に観客は12人くらい。公開されてから大分時間が経っているため、大ヒット映画の入りではない。いつも私はそういう映画を見ている。いつも通り、真ん中後ろ寄りのベスト席に陣取る。
フレディ・マーキュリーの半生を軸としてクイーンの音楽を全編にフィーチャーした映画。最後は延々とライブエイドでのライブの再現がなされるが、基本は人間ドラマ。
映画館で、男性同士がキスする場面を見たのはこれが初めてだろう。
伝説のバンドの映画化は今までも数多くあったが、なぜこの映画がいまこんなに大絶賛・大人気なのだろうか?
フレディ・マーキュリーというカリスマが、エイズに罹り、若くして無念の死を遂げるという悲劇性が人々の興味を引くのだろう。坂本龍馬や西郷隆盛など、非業の死を遂げたヒーローは、そのヒーロー性がさらに増幅されるのと同じ構図である。「カリスマの悲劇性」は日本人の好むところである。
80年代に10代を過ごした私としては、クイーンと言うと、1984年『レディオ・ガ・ガ』くらいからリアルタイム。まさにライブエイドの頃である。中学〜高校生当時、私は基本的にアメリカントップ40音楽を聴いていた。レディオ・ガ・ガはもちろんチャートインしたのだが、全然いい曲だと思わなかった。もちろん当時は、歌詞の内容は分からない。
(ちなみにこの『レディオ・ガ・ガ』の歌詞をよく見ると、テレビやビデオに侵略されたラジオへの賛歌的な内容であり、バグルスの『レディオスターの悲劇』(1979年)に通ずるものがある)
その後70年代の輝かしきクイーンの名曲の数々に触れることになるが、特にのめり込むこともなかった。やはりフレディの「色物感」と、ロックらしからぬ仰々しい曲調が、当時の私の琴線に触れなかったのだろう。
そんな私のクイーンに関する想い出。
クイーンの曲で一番印象に残っているのは、「Now I'm Here」。90年代初め、私が大学院生の頃、当時仲の良かった女の子がバンドでベースをやっていて、そのバンドのライブを見に行ったときにこの曲を演った。その後彼女からこの曲のスコアをもらって自分でもギターで弾いてみたりしたことが懐かしい。あのギターリフがいい。それらの思い出とともに心に残っている。お察しの通り、やや切ない思い出である。
クイーンで好きだった曲は『地獄へ道連れ(Another One Bites the Dust)』。あのベースリフがかっこ良過ぎる。劇中でもその着想のシーンがあった。
この曲はレディオ・ガ・ガの前、1980年リリースなので、私は当時小学生。まだアメリカントップ40は聴いてなかっただろうから、リアルタイム曲としてのクイーンとの初コンタクトではなかったように思う。
その他、フラッシュゴードンのテーマも、1980年リリースだが、よくラジオや巷でかかっていた覚えがある。映画の日本での公開が1981年なので、きっとその頃によく耳にしていたのだろう。この曲が私のクイーンとの出会いだったろうか?
映画『ウェインズ・ワールド』(1992年)。若者たちが乗る車の中で、『ボヘミアン・ラプソディ』がかかり、みんなで歌いながら街を走る。オペラパートが終わってギターリフに移行した瞬間、みんなで頭を上下に振ってノリノリ状態になる、あの爆笑シーンを忘れるわけにはいかない。ボヘミアン・ラプソディといえば、このヘッドバンギング、というのが私の記憶回路だ。
フレディ・マーキュリーが現タンザニアのザンジバル島生まれのインド系イギリス人だということは最近知った。
確かに、その外観からアングロサクソンではないだろうとはおぼろげながら思ってはいたが。
ザンジバルは、帝国主義の時代、奴隷貿易の拠点として繁栄した島である。
私が2006年の年末にザンジバルを訪れた際、島にはフレディの痕跡はまったく目につかなかった。というか、ガイド本でもそのように紹介されることもないし(多分)、彼の生家などが観光地化していることもなかった。
(参考までに、その旅の模様は、こちら「ザンジバル島旅行記」で。)
1991年、彼がエイズで死去した際、私は大学生だったが、さすがに大きな衝撃を受けたことを覚えている。ゲイ、そして当時不治の病として社会問題となっていたエイズ。押しも押されぬスーパースターがそのような死を遂げたことに衝撃を受けない方がおかしい。
映画を見て、そのようなクイーンに関する断片的な記憶が、なんとなく一本の私的な線につながったような気がする。 |